
Reading view
“İmişli” növbəti mərhələdə – VİDEO
Azərbaycan kubokunun II təsnifat mərhələsində “İmişli” “Qaradağ Lökbatan”la qarşılaşıb.
“Kəpəz”dən darmadağın – VİDEO
Bizon Azərbaycan kubokunun II təsnifat mərhələsində “Kəpəz” “Ağstafa Gəncləri” ilə qarşılaşıb.
Bu klubumuz özünə stadion tikir?: “Demək olar ki, bu məsələ böyük ölçüdə həll olunub”
“Stadion məsələsi təkcə “Şəfa”nın deyil, ümumi futbolumuzda bir problemə çevrilib. Artıq anlaşmamız var. Qoy bu sürpriz olaraq qalsın. Demək olar ki, 90 faiz bu məsələ həllini tapıb”.
Bu sözləri İdmanxeber.az saytına “Şəfa”nın prezidenti Sərdar Salmanzadə deyib. Klub rəhbəri daha sonra belə davam edib:
“İstəmirəm ki, müqaviləyə imza atmamış bunu açıqlayım. Bizim yanaşmamız budur. Amma belə deyim ki, Bakı üzrə stadion tikmək üçün ərazilər var. Mən stadion problemi olan klub rəhbərlərinə, bu işə yatırım etmək istəyən ivestorlara sizin vasitənizlə səslənirəm ki, torpaq sahəsi alıb və ya icarəyə götürüb yeni arenalar inşa edə bilərlər.
Bizim uzunmüddətlik torpaq sahəsi icarəyə götürmək və stadion tikmək fikrimiz var. Bu dövlətə aid torpaq olacaqsa, lap yaxşı. Həmin inşa olunacaq arena bir müddət sonra ölkə futbolu üçün faydalı olacaq”.
“Dinamo” – “Turan Tovuz”: CANLI YAYIM
Azərbaycan kubokunun II təsnifat mərhələsində “Turan Tovuz” “Dinamo” ilə üz-üzə gələcək.
“İnter”in qapıçısı adam öldürdü
“İnter”in ispaniyalı qapıçısı Xosep Martines ölümlə nəticələnən yol qəzasına səbəb olub.
İdmanxeber.az-ın məlumatına görə, 27 yaşlı futbolçunun idarə etdiyi avtomobil bu səhər 81 yaşlı əlil arabasındakı kişiyə çırpılıb. Nəticədə yaşlı şəxs hadisə yerində həlak olub.
Xatırladaq ki, Martines 2024-cü ilin yayında “Cenoa”dan “İnter”ə 14 milyon avroya transfer olunub. O, bu mövsüm Milan klubunun heyətində 2 oyuna çıxıb.
“Barselona”da Levandovski sevinci
“Barselona”nın zədəli olan hücumçuau La Liqanın XI turunda “Elçe” ilə matçda iştirak edə bilər.
İdmanxeber.az-ın məlumatına görə, söhbət Robert Levandovskidən gedir. Polşalı forvard artıq komanda üzvləri ilə məşqlərə qoşulub.
“Barselona” “Elçe” ilə noyabrın 2-də üz-üzə gələcək.
Volkan Demirel Ankara klubuna baş məşqçi oldu
Türkiyə millisinin və “Fənərbağça”nın sabiq qapıçısı Volkan Demirel “Gençlerbirliyi”nin baş məşqçisi təyin olunub.
İdmanxeber.az-ın məlumatına görə, bu barədə klubun mətbuat katibi Aykut Çakmaklı “Ajansspor”a açıqlama verib. 44 yaşlı mütəxəssis bu gün Ankaraya yollanacaq.
Demirel bu vəzifədə Hüseyn Eroğlunu əvəz edəcək. Onun son klubu “Bodrumspor” olub.
Alves kilsədə ruhaniliyə başladı
“Barcelona” klubunun sabiq futbolçusu Dani Alves Kataloniyada yerləşən bir kilsədə ruhani rəhbər kimi fəaliyyətə başlayıb.
İdmanxeber.az xəbər verir ki, bu barədə AS nəşri məlumat yayıb.
Alvesin kilsədə “Siz Allaha inanmalısınız. Mən bunun canlı sübutuyam. Mən Allahla bir müqavilə bağlamışam!” deyə, bildirdiyi iddia edilib.
Qeyd edək ki, Alves ötən illərdə cinsi təcavüz ittihamı ilə 14 ay müddətinə həbs edilmiş, daha sonra isə bəraət almışdı.
“Fənərbağça”ya 10 milyon təklif edildi
“Betis” Sofian Amrabatı transfer etmək istəyir.
İdmanxeber.az “Fichajes”ə istinadən xəbər verir ki, İspaniya klubu “Fənərbağça”ya 29 yaşlı mərakeşli yarımmüdafiəçi üçün 10 milyon avro təklif etməyi planlaşdırır.
Qeyd edək ki, Amrabat mövsümün əvvəlində “Betis”ə icarəyə verilmiş və La Liqada 6 oyunda forma geyinib.
“Yuventus” Spalletti ilə danışıqlara başlayır
“Yuventus” Luçano Spalletti ilə danışıqlara başlayır.
İdmanxeber.az xəbər verir ki, Turin klubu İtaliya millisinin sabiq baş məşqçisinə mövsümün sonuna qədər müqavilə, əlavə olaraq uzadılma imkanı təklif etməyi planlaşdırır.
Qeyd edək ki, “Yuventus” son turda “Latsio”ya 0:1 hesabı ilə uduzub və ardıcıl səkkiz oyundur qələbə qazana bilmir. Komanda hazırda A Seriyasında 12 xalla 8-ci yerdədir.
Lumiere: First Autonomous River Dock2Dock Voyage
Royal Caribbean to Open Beach Club in Santorini
Royal Caribbean Reports 2025 Q3, Increases Guidance
Vermont topped the list for its love of skiing, camping, kayaking, and year…
:max_bytes(150000):strip_icc():format(jpeg)/TAL-hiking-vermont-MSTOUTDRSYST1025-5b356bd55b594ffaa91aa694c55b9fec.jpg)
The Netherlands topped Berkshire Hathaway’s 2025 ranking for its peace-lovi…
:max_bytes(150000):strip_icc():format(jpeg)/TAL-giethoorn-netherlands-SAFESTCNTRY1025-ac6f977a84bd480a94759a346760fdff.jpg)
Searches for stays in Milan, Lombardy, and the Dolomites have skyrocketed a…
:max_bytes(150000):strip_icc():format(jpeg)/TAL-santiago-metropolitan-region-chile-GLBALWNTRDEST1025-e72804fb625a4e068619e222c5f15ad6.jpg)
From boot cut to cropped styles, here are affordable yoga pants you’ll love…
:max_bytes(150000):strip_icc():format(jpeg)/tal-comfy-yoga-pants-tout-4d67bbe451004b988ce8e46a2b3150f1.jpg)
Circle’s Arc testnet brings institutional rivals onto one ledger
The reason new crypto ETFs launched despite the U.S. government shutdown
XRP price prediction ahead of Fed Interest rate decision today
PayPal partners with OpenAI for ChatGPT payments
Adobe’s End-Of-Year Updates Are All AI, and Sometimes Not Even Its Own AI
Adobe MAX kicks off this week and, historically, that has meant a large drop of updates across the company's portfolio of apps. That is technically true this year too, but everything is revolving around AI -- and sometimes, that doesn't even mean Adobe's own technology.
Modified Insta360 Camera Sent to the Edge of Space to Inspire the ‘Overview Effect’
A team of scientists and artists sent a modified Insta360 camera to the edge of space, capturing breathtaking images meant to inspire people to reconnect with Earth.
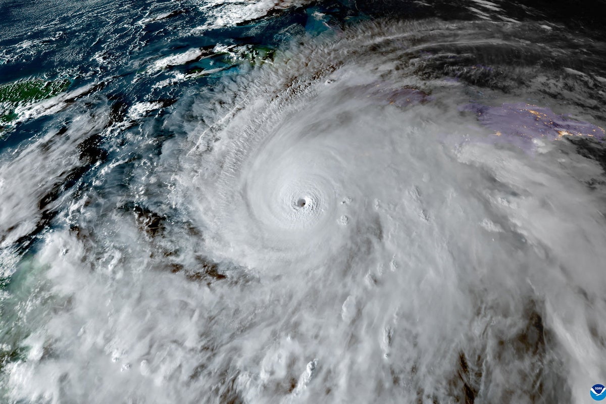
Airplane Captures Striking ‘Stadium Effect’ Inside Hurricane Melissa’s Eye
A U.S. Air Force Reserve Crew from the 53rd Weather Reconnaissance Squadron, known as the "Hurricane Hunters," made multiple passes inside Hurricane Melissa capturing astonishing footage that showcases the "stadium effect."
Google Beam will use AI to bring 3D video calls to military families
Google’s first Pixel Watch gets its final update, ending official support
Xiaomi kicks off Android 16 rollout, starting with the 15T series
This new Samsung update will make your Galaxy Buds 3 sound richer
Here's our first official look at Samsung's long-awaited trifold phone
One Flip 50: MagicX announces first clamshell gaming handheld as new Retroid Pocket Flip 2 rival for under $100

8 GB VRAM: still fine today, or already outdated? A look at the Legion Pro 5 16

New Insta360 X4 Air 8K action camera launches with sleek design and 100 minutes of runtime

PNY CS3250: Fast PCIe 5.0 SSD launches in two model variants

DJI Neo 2 global launch date revealed as new pricing information for more markets also leaks

Galaxy Z Fold 8 to resolve one key foldable issue while packing big battery

New iPod-like "Sundial" swappable keypad revealed for upcoming premium modular dumb phone

"Amazing game" — Highly rated by gamers, this horror game is 85% off on Steam

iPhone 20 tipped to offer an impressive camera upgrade
The iPhone is turning 20 in 2027 and Apple will mark the anniversary with a special iPhone 20 release. We’ve already heard about the big redesign with its sloping display bezels that are supposed to make the device look like a single piece of glass when viewed from the front. We now get an additional report that suggests some major camera upgrades as well. The 2027 iPhone model – likely the Pro variant will reportedly bring Lateral Overflow Integration Capacitor (LOFIC) camera sensor. In short, this means the cameras will capture more light per pixel, leading to higher dynamic range and...
Galaxy Z Fold8 display and battery details leaked
Samsung’s Galaxy Z Fold8 isn’t expected to debut until next year, but rumors about the upcoming foldable are already making the rounds. The latest leak sheds light on its display specifications and battery capacity. According to the leak, the upcoming Galaxy Z Fold8 will use a new ‘laser-drilling metal plate technology’ for its hinge, which is said to reduce the display crease. The same technology will also be used on the rumored iPhone Fold. The leak also states that the foldable will pack a battery with a capacity over 5,000mAh. Notably, the current Galaxy Z Fold7 has a 4,400mAh...
New report claims Apple hasn't cut iPhone Air production
Multiple reports in recent times claimed that Apple is cutting production of the iPhone Air unveiled last month, with one even claiming that this sleek iPhone had entered almost end-of-production mode. However, a new report contradicts those claims. In a note to investors on October 26, TD Cowen said Apple isn't reducing the number of iPhone Air units it will produce in 2025. TD Cowen's report states that the iPhone Air forecasts for October remain unchanged. The forecasts for the iPhone Air remain at 3 million for Q3 2025 and at 7 million for Q4 2025. The September quarter builds...
Samsung showcases its tri-fold prototype
While not exactly launched as tipped yesterday, Samsung did showcase its tri-fold smartphone at the 2025 K-Tech Showcase event. The device, which still does not have an official name, was seen at the Samsung booth behind a protective glass display case. Attendees were not allowed to touch or hold the device. Samsung tri-fold prototype (image: Park Ji-min) South Korea’s ChosunMedia shared images of the device, which reveal its folded and fully unfolded states. We say it is fully unfolded as it features two hinges allowing it to stretch its display diagonal up to 10 inches. In its...
PayPal’s Agentic Commerce Play Shows Why Flexibility, Not Standards, Will Define the Next E-Commerce Wave
While enterprises looking to sell goods and services online wait for the backbone of agentic commerce to be hashed out, PayPal is hoping its new features will bridge the gap.
The payments company is launching a discoverability solution that allows enterprises to make its product available on any chat platform, regardless of the model or agent payment protocol.
PayPal, which is one of the participants for Google’s Agent Payments Protocol (AP2), found that it can leverage its relationship with merchants and enterprises to help pave the way for an easier transition into agentic commerce and offer the kind of flexibility they learned will benefit the ecosystem.
Michelle Gill, PayPal general manager for small business and financial services, told VentureBeat that AI-powered shopping will continue to grow, so enterprises and brands need to start laying the groundwork early.
“We think that merchants who've historically sold through web stores, particularly in the e-commerce space, are really going to need a way to get active on all of these large language models,” Gill said. “The challenge is that no one really knows how fast all of this is going to move. The issue that we’re trying to help merchants think through is how to do all of this as low-touch as possible while using the infrastructure you already have without doing a bazillion integrations.”
She added AI shopping would also bring about “a resurgence from consumers trying to ensure their investment is protected.”
PayPal partnered with website builder Wix, Cymbio, Commerce and Shopware to bring products to chat platforms like Perplexity.
Agent-powered shopping
PayPal’s Agentic Commerce Services include two features. The first is Agent Ready, which would allow existing PayPal merchants to accept payments on AI platforms. The second is called Shop Sync, which will enable companies’ product data to be discoverable through different AI chat interfaces. It takes a company’s catalog information and plug its inventory and fulfillment data to chat platforms.
Gill said the data goes into a central repository where AI models can ingest the information.
Right now, companies can access shop sync with Agent Ready coming in 2026.
Gill said Agentic Commerce Services is a one-to-many solution, that would be helpful right now, as different LLMs scrape different data sources to surface information.
Other benefits include:
Fast integration with current and future partners
More product discovery over the traditional search, browse and cart experiences
Preserved customer insights and relationships where the brand continues to have control over their records and communications with customers.
Right now, the service is only available through Perplexity, but Gill said more platforms will be added soon.
Fragmented AI platforms
Agentic commerce is still very much in the early stages. AI agents are just beginning to get better at reading a browser. while platforms like ChatGPT, Gemini and Perplexity can now surface products and services based on user queries, people cannot technically buy things from chat yet.
There’s a race right now to create a standard to enable agents to transact on behalf of users and pay for items. Other than Google’s AP2, OpenAI and Stripe have the Agentic Commerce Protocol (ACP) and Visa launched its Trusted Agent Protocol.
Other than enabling a trust layer for agents to transact, another issue enterprises face with agentic commerce is fragmentation. Different chat platforms use different models which also interpret information in slightly different ways. Gill said PayPal learned that when it comes to working with merchants, flexibility is important.
“How do you decide if you're going to spend your time integrating with Google, Microsoft, ChatGPT or Perplexity? And each one of them right now has a different protocol, a different catalog, config, a different everything. That is a lot of time to make a bet as to like where you should spend your time,” Gill said.

All is coming up stablecoins: volume soars, tradfi firms want in
Stablecoin transaction volume is soaring; meanwhile, tradfi companies are leaning in hard, and Japan’s first yen-denominated token has roared.
The post All is coming up stablecoins: volume soars, tradfi firms want in appeared first on CoinGeek.
Trump Media unveils Truth Predict for real-time event trading on Truth Social
Truth Predict's launch could reshape social media engagement, blending financial speculation with real-time event discussions and analysis.
The post Trump Media unveils Truth Predict for real-time event trading on Truth Social appeared first on Crypto Briefing.

BlackRock-backed Securitize to go public through SPAC deal
The SPAC deal could accelerate institutional adoption of blockchain technology, reshaping financial markets with tokenized assets.
The post BlackRock-backed Securitize to go public through SPAC deal appeared first on Crypto Briefing.

Circle’s Arc testnet debuts with over 100 global partners and institutions
Circle's Arc testnet could revolutionize institutional finance by enhancing transaction speed, privacy, and regulatory compliance with stablecoin use.
The post Circle’s Arc testnet debuts with over 100 global partners and institutions appeared first on Crypto Briefing.

Kia to Produce 120,000 Units Annually of Second-Generation Telluride in the U.S.
Kia has confirmed that its all-new, second-generation Telluride — the brand’s flagship SUV for the American market — will be produced at scale in the United States, with a planned annual output of 120,000 units. The move strengthens Kia’s local manufacturing strategy and prepares the brand for growing demand in the large SUV and hybrid […]
The post Kia to Produce 120,000 Units Annually of Second-Generation Telluride in the U.S. appeared first on Korean Car Blog.
Kia Teases EV4 GT with Striking New GT Wrap Design
Kia is setting the stage for the next chapter in electric performance mobility with its latest reveal — the GT Wrap, a bold new foil design created exclusively for its high-performance electric GT prototypes, including the upcoming Kia EV4 GT. A New Visual Identity for Kia’s Electric GT Lineup The GT Wrap is far more […]
The post Kia Teases EV4 GT with Striking New GT Wrap Design appeared first on Korean Car Blog.
Honda Prelude e:HEV Marks the Return of an Iconic Sports Coupe
After a 25-year hiatus, Honda has revived the legendary Prelude nameplate with the launch of the all-new Prelude e:HEV sports coupe in Europe. The sixth-generation model reimagines the classic with a full hybrid powertrain and the brand’s new S+ Shift technology, designed to blend electric efficiency with traditional sports car engagement.
Under the hood, the Prelude e:HEV pairs a 2.0-litre petrol engine with a dual electric motor transmission, delivering 184 PS (135 kW). Drivers can choose between Comfort, GT, Sport and Individual modes, which adjust steering, suspension and power delivery. The highlight is Honda’s S+ Shift system, which simulates an eight-speed gearbox with rev-matching and realistic engine sounds, controlled via paddle shifters for an engaging drive.
Sharing suspension DNA with the Civic Type R, the Prelude features an advanced multi-link setup, adaptive dampers, and Agile Handling Assist (AHA) for sharp cornering and stability. The coupe’s design draws inspiration from aircraft gliders, giving it a sleek, aerodynamic profile. Inside, a 10.2-inch digital driver display and 9-inch infotainment system with Apple CarPlay, Android Auto, and a Bose audio system ensure a premium experience.
Also read: Honda CR-V Turns 30: 15 Million Units and Still Going Strong
Despite its sporty silhouette, the Prelude offers four-seat practicality and 663 litres of luggage space via a hatchback tailgate. Available in four elegant colours—Moonlit White Pearl, Meteoroid Grey Metallic, Crystal Black Pearl, and Racing Blue Pearl—the model comes equipped with the Honda SENSING suite, offering Adaptive Cruise Control, Lane Keeping Assist and more.
Renault Confirms the Return of the Iconic Duster SUV to India
Renault India has officially confirmed that its upcoming all-new SUV will revive one of the brand’s most celebrated nameplates — the Duster. Set to debut on Republic Day, January 26, 2026, the next-generation Duster marks a major milestone in Renault’s renewed focus on the Indian market.
First launched in 2012, the Renault Duster reshaped India’s SUV segment with its rugged design, car-like handling, and unbeatable value. It went on to create a strong legacy, selling over 200,000 units in India and earning a cult following among enthusiasts. Globally, more than 1.8 million Dusters have found homes, solidifying its position as one of Renault’s most successful SUVs.
The new Duster will be the first product under Renault’s “International Game Plan 2027”, and a cornerstone of its India-specific transformation strategy, renault. rethink. Designed to combine modern technology with the Duster’s go-anywhere DNA, the SUV is expected to re-establish Renault as a serious player in the compact SUV market.
Also read: Renault KWID Marks 10 Years with Exclusive Anniversary Edition
Renault has also launched a waiting program for those eager to be among the first to experience the reborn icon. With its legacy, loyal fan base, and promise of rugged charm meeting modern sophistication, the Duster’s comeback is set to reignite the segment it once defined.
Poranna „zabawa” trzech pijanych mężczyzn w Bydgoszczy. Zaśmiecali ulice i jeździli na hulajnodze [wideo]
Miejski monitoring namierzył trzech młodych mężczyzn, których zachowanie zdecydowanie odbiegało od normy. Styl jazdy na hulajnodze nasuwał podejrzenia co do stanu trzeźwości osób na zmianę jadących jednośladem. Do tego wypchnęli pojemnik na śmieci na ulicę oraz rozrzucili odzież.
Rankiem, 19 października zachowanie trzech młodych mężczyzn zwróciło uwagę pracowników Straży Miejskiej obsługujących miejski monitoring.Zaczęło się od tego, że około godziny 5:47 wszyscy wsiedli na hulajnogę na ulicy Mostowej w Bydgoszczy i ruszyli w kierunku mostu Sulimy-Kamińskiego. Po chwili postanowili zmienić taktykę przemieszczania się i na zmianę korzystać z jednośladu.
– W ten sposób dotarli na ulicę Gdańską. Ich poczynania przez cały czas dalekie były od ideału, co możemy zobaczyć na filmie. Następnie obsługa monitoringu zauważyła, jak dwóch z nich wysypało ciuchy na torowisko na wysokości Placu Wolności, a finałem było wypchnięcie kontenera na śmieci na jezdnię na ulicy Krasińskiego – przekazał nadkom. Lidia Kowalska z Komendy Miejskiej Policji w Bydgoszczy.
Informacja o tym trafiła do dyżurnego bydgoskiej komendy miejskiej, który natychmiast…

Cysterna z gazem wylądowała w rowie na DK 91. Jezdnia jest zablokowana
Groźny wypadek na drodze krajowej numer 91 pod Lubieniem Kujawskim. Na wysokości wioski Narty cysterna przewożąca skroplony gaz ziemny, wylądowała w rowie.
Nikomu nic się nie stało, ale istnieje ryzyko rozszczelnienia. Na miejscu są już służby ratunkowe. Droga krajowa numer 91, czyli dawna „jedynka”, jest całkowicie zablokowana. Odblokowanie ruchu na lubieńskim odcinku trasy będzie możliwe po stwierdzeniu, że nie ma ryzyka wycieku, albo też po przepompowaniu gazu do innej cysterny. Trwa oczekiwanie na przyjazd holownika, który wyciągnie pojazd na drogę. Miejsce zdarzenia zabezpieczają strażacy. Objazd przez miejscowości: Kamienna, Kobyla Łąka i Lubień Kujawski. Utrudnienia mogą potrwać około dwóch godzin.
Policja z Bydgoszczy szuka mężczyzny w związku z kradzieżą. Rozpoznajesz go? [wideo]
Policjanci z Komisariatu Policji Bydgoszcz-Śródmieście zwracają się z prośbą o pomoc w identyfikacji osoby przedstawionej na zdjęciu oraz filmie. Wszyscy, którzy rozpoznają mężczyznę, bądź posiadają jakiekolwiek informacje o osobie mogącej mieć związek z przestępstwem, proszeni są o kontakt osobisty lub telefoniczny z policjantami.
Policjanci z bydgoskiego Śródmieścia prowadzą postępowanie w sprawie kradzieży pieniędzy o wartości ponad 10 tysięcy złotych. Do zdarzenia doszło przy ulicy Marii Skłodowskiej-Curie w Bydgoszczy. Monitoring zarejestrował wizerunek mężczyzny mającego związek z tym zdarzeniem. Mundurowi zbierają informacje mogące przyczynić się do jego identyfikacji na podstawie załączonego zdjęcia oraz filmu. Informację można przekazać prowadzącej sprawę policjantce pod numerem telefonu 47 751 11 83, a także całodobowo pod numerami 47 751 11 60 lub 112 powołując się na znak sprawy L.dz. Krm 770/25.
Kto zostanie nowym prezesem IPN? Wśród kandydatów dr Marcin Wałdoch z UKW
Dziewięcioro kandydatów ubiega się o stanowisko prezesa Instytutu Pamięci Narodowej. Wśród nich jest dr Marcin Wałdoch, naukowiec z naszego regionu, wykładowca na Uniwersytecie Kazimierza Wielkiego.
Kolegium Instytutu przesłuchuje kandydatów. Jak nam powiedział Marcin Wałdoch, ubieganie się o funkcję szefa Instytutu jest wielkim honorem. – Takie stanowisko, jak prezes Instytutu Pamięci Narodowej to jest zaszczytne stanowisko i poczytuję sobie za honor możliwość startu w tym konkursie. Swoją działalnością edukacyjną i naukową wyznaczyłem ścieżkę, która doprowadziła mnie do tego momentu, w którym stanę przed Kolegium Instytutu Pamięci Narodowej. Przez ostatnie dwie dekady Instytut przywrócił Polakom godność, poczucie sprawiedliwości, szczególnie ofiarom dwóch totalitaryzmów – podkreślił dr Wałdoch. – IPN jest czymś nieodzownym, biorąc pod wzgląd, że działa na ziemiach, które nazwano skrwawionymi ziemiami, jak pisał Timothy Snyder. Oznacza to, że ta instytucja na trwałe wpisała się w naszą rzeczywistość i bierze udział w budowaniu tożsamości narodowej, przywracaniu nam tej godności…
Chcą zapobiegać kradzieży gałęzi drzew iglastych. W lasach i na targowiskach trwa akcja Stroisz
Trwa akcja Stroisz. Jej celem jest przeciwdziałanie nielegalnemu pozyskiwaniu gałęzi drzew iglastych, wykorzystywanych do produkcji okolicznościowych wieńców i świątecznych ozdób. Uczestniczą w niej funkcjonariusze Straży Leśnej i współpracujących z nią służb.
Na przełomie października i listopada dochodzi do kradzieży stroiszu, czyli gałęzi drzew iglastych, wykorzystywanych do zrobienia okolicznościowych wieńców i świątecznych ozdób. – Ich nielegalne pozyskiwanie prowadzi do dużych szkód – mówi Anna Choszcz-Sendrowska, rzeczniczka prasowa Lasów Państwowych. – Niestety rosnący popyt na stroisz powoduje coraz częstsze przypadki jego kradzieży oraz zniszczenia młodych drzew. Bardzo często wycięcie gałęzi na zaledwie jedną wiązankę stroiszu oznacza zniszczenie całego młodego drzewa: jodły bądź świerka. W niektórych miejscach skala zniszczeń jest tak duża, że całe fragmenty młodego lasu wymagają ponownego odnowienia – dodaje Choszcz-Sendrowska. – Leśnicy podkreślają, że nie ma potrzeby rezygnować z ozdób wykonanych ze stroiszów. Ważne, by pochodziły one z legalnych źródeł. Stroisz można pozyskać z plantacji lub z zabiegów pielęgnacyjnych…
Cała Polska widziała w niej morderczynię. Ale w sprawie Rity Gorgonowej nic się nie klei
Ostatnie godziny Blik Week. "Newsweek" w promocji i bez podpinania karty
Gigantyczna transakcja. Ikea kupuje lasy nad Bałtykiem za 720 milionów euro
Ingka Group, największy franczyzobiorca sieci Ikea, podejmuje historyczną inwestycję, przejmując od szwedzkiej firmy Södra aż 153 000 hektarów lasów na Łotwie i w Estonii. Transakcja o wartości 720 milionów euro to największy w historii koncernu zakup gruntów leśnych, który ma zapewnić bezpieczeństwo dostaw drewna do produkcji mebli.
Afera z działką wokół CPK. Prokuratura i politycy żądają wyjaśnień
Sprzedaż 160-hektarowej działki w Zabłotni, przez którą ma przebiegać linia kolei dużych prędkości do Centralnego Portu Komunikacyjnego, wzbudziła ogromne emocje. Transakcja, dokonana tuż przed zmianą władzy, jest obecnie przedmiotem śledztwa prokuratury, a politycy różnych ugrupowań domagają się rozliczenia winnych.
Tusk o działce pod CPK: "Cały PiS kradnie". Wszystko odbyło się w ciągu doby
"Nie będę już używał skrótu CPK do opisania wielkiej inwestycji komunikacyjnej. Dzisiaj wszyscy w Polsce odczytują ten skrót jako: cały PiS kradnie" - powiedział we wtorek Donald Tusk. Ujawnił, że proces sprzedaży działki pod CPK i załatwiania formalności trwał 24 godziny. Słowa premiera są pokłosiem doniesień Wirtualnej Polski o tym, że Ministerstwo Rolnictwa i Rozwoju Wsi tuż przed oddaniem władzy przez Prawo i Sprawiedliwość wydało zgodę na sprzedaż 160 hektarów ziemi wiceprezesowi prywatnej firmy Dawtona. Transakcja została...
Setki zachorowań w Europie. Słynne sycylijskie pomidory winne epidemii salmonelli?
Setki zachorowań, międzynarodowe śledztwo i zaskakujące doniesienia z serca Morza Śródziemnego. Europejskie Centrum ds. Zapobiegania i Kontroli Chorób (ECDC) ostrzega: epidemia salmonelli, która od dwóch lat niepokoi całą Europę, najprawdopodobniej ma swoje źródło w pomidorkach koktajlowych z Sycylii. Czy to początek końca włoskiej legendy o najpyszniejszych pomidorach świata?
Zgwałcił i zabił Lizę. Wyłączono jawność apelacji
Ruszył proces apelacyjny w sprawie brutalnego gwałtu i morderstwa w centrum Warszawy. Chodzi o wydarzenia z 25 lutego 2024, kiedy Elizawieta - 25-letnia Białorusinka - została zgwałcona przy ul. Żurawiej w stolicy. W tej głośnej sprawie sąd pierwszej instancji skazał Doriana S. na dożywocie w systemie terapeutycznym. Wniesiono apelację, która jest rozpatrywana przez Sąd Apelacyjny w Warszawie. We wtorek częściowo wyłączył on jawność procesu.
Jak długo musisz ćwiczyć, by chronić serce? Zaskakujące wyniki badań
Regularna aktywność fizyczna to jeden z najważniejszych filarów zdrowego stylu życia - o tym wiemy nie od dziś, a lekarze codziennie nam o tym przypominają. Jednak wyniki najnowszych badań, opublikowane w czasopiśmie "Nature Cardiovascular Research", sugerują, że nie dla wszystkich ta recepta na zdrowe serce wygląda tak samo. Międzynarodowy zespół naukowców z Chin, USA i Australii odkrył, że mężczyźni po pięćdziesiątce muszą ćwiczyć ponad dwa razy więcej niż kobiety w tym samym wieku, by osiągnąć podobne korzyści dla układu krążenia. Być...
Gigantyczna twierdza z czasów Mojżesza. To dowód na biblijny Exodus?
Archeolodzy pracujący na terenie Egiptu dokonali niezwykłego odkrycia, które może rzucić nowe światło na jedną z najbardziej znanych historii biblijnych. W północnej części Synaju, w miejscowości Sheikh Zuweid, odnaleziono monumentalną fortecę sprzed 3 tysięcy lat. Budowla ta została wzniesiona wzdłuż słynnej Drogi Wojskowej Horusa, która według przekazów biblijnych była kluczowym szlakiem podczas Wyjścia Izraelitów z Egiptu.
Sekrety królewskich rezydencji będzie można odkryć za darmo. Sprawdź kiedy
Darmowy Listopad w Rezydencjach Królewskich 2025 to akcja, dzięki której przez cały listopad będzie można zwiedzać wystawy w rezydencjach królewskich, poznawać ich przestrzenie, a także uczestniczyć w zajęciach edukacyjnych. Każdy kolejny weekend miesiąca będzie kierował uwagę na inną rezydencję królewską, która będzie miała wtedy ofertę specjalną.
Dorsz nadal pod ochroną, szprot i śledź wracają do łask. Co to oznacza dla Polski?
Ministrowie rolnictwa państw Unii Europejskiej porozumieli się w sprawie limitów połowowych na Morzu Bałtyckim na 2026 rok. Decyzja oznacza znaczący wzrost kwot na szprota i śledzia centralnego w stosunku do propozycji Komisji Europejskiej. To dobra wiadomość dla polskich rybaków, którzy otrzymają większy dostęp do najważniejszych dla siebie gatunków ryb.
Dentyści z UJ dostali wspaniały prezent na 225. urodziny
W Instytucie Stomatologii Collegium Medicum Uniwersytetu Jagiellońskiego w Krakowie otwarto nowoczesną salę symulacyjną wyposażoną w pierwsze w Polsce stomatologiczne symulatory działające w oparciu o wirtualną rzeczywistość (VR) z technologią haptyczną. Innowacyjne rozwiązanie umożliwi studentom bezpieczny i realistyczny trening zabiegów stomatologicznych – od leczenia zachowawczego po chirurgię – zanim rozpoczną pracę z prawdziwymi pacjentami. Pojawienie się nowego sprzętu zbiegło się w czasie z godnym pozazdroszczenia jubileuszem.
Bezrobocie rośnie, pracy brak dla tysięcy. W tych powiatach jest najgorzej
Wrzesień przyniósł kolejne niepokojące dane z rynku pracy w województwie warmińsko-mazurskim. Bezrobocie w regionie wzrosło do 8,7 procent, co czyni je jednym z najwyższych wskaźników w kraju. Zarejestrowanych bezrobotnych jest już 41 tysięcy, a sytuacja pogarsza się szczególnie w powiatach przygranicznych.
SOP zamówiła plecaki ewakuacyjne. Znamy ich zawartość
2100 plecaków ewakuacyjnych zamówiła Służba Ochrony Państwa. Mają one trafić do funkcjonariuszy tej formacji - dowiedział się dziennikarz RMF FM Krzysztof Zasada. Poza plecakami zamówienie obejmuje wyposażenie, pozwalające na przetrwanie w terenie przez kilka dni. Znamy zawartość zaopatrzenia dla pracowników SOP.
Dokończenie trasy N-S. Ruda Śląska podpisze ważną umowę
W czwartek władze Rudy Śląskiej podpiszą umowę z firmą Primost Południe na dokończenie budowy trasy N-S w kierunku południowym, aż do autostrady A4. Wartość inwestycji to blisko 195 mln zł. Nowy odcinek domknie układ komunikacyjny miasta, łącząc Drogową Trasę Średnicową z A4. W ramach projektu powstanie dwujezdniowa arteria oraz ponad 150-metrowy wiadukt nad linią kolejową przy ul. 1 Maja.
Autostrady i obwodnice już wkrótce. Gdzie powstaną kilometry nowych dróg?
Generalna Dyrekcja Dróg Krajowych i Autostrad zapowiada kolejne rekordowe inwestycje w infrastrukturę drogową. W 2026 roku planowane jest ogłoszenie przetargów na budowę blisko 300 kilometrów nowych dróg o łącznej wartości około 12 miliardów złotych. To jednak nie koniec ambitnych planów - już teraz w 2025 roku uruchomiono postępowania przetargowe o wartości przekraczającej 13 miliardów złotych, obejmujące niemal 400 kilometrów tras.
Powstanie antyukraińska oś w UE? "Trwa przebudowa Grupy Wyszehradzkiej"
Węgry pod przywództwem Viktora Orbána intensyfikują starania o stworzenie nowego bloku politycznego w Unii Europejskiej, który miałby sceptycznie podchodzić do wsparcia dla stawiającej czoła rosyjskiej inwazji Ukrainy. Budapeszt liczy na współpracę z Czechami i Słowacją, co może znacząco wpłynąć na unijną politykę wobec wojny za naszą wschodnią granicą.
To miasto dostało milionową dotację na magazyn ochrony ludności i nie tylko
Magazyn ochrony ludności i tymczasowy punkt ewakuacyjny powstaną w Kaliszu w Wielkopolsce dzięki rządowej dotacji. Na realizację Programu Ochrony Ludności i Obrony Cywilnej samorząd otrzymał ponad 8 mln zł. Za te pieniądze Kalisz zakupi też m.in. cysterny, elastyczne zbiorniki na wodę, mobilne stacje uzdatniania wody czy agregat prądotwórczy o dużej mocy.
News RMF FM: Nie chcą czekać na rząd. Będzie projekt ustawy
W przyszłym tygodniu do Sejmu trafi projekt ustawy ograniczający najem krótkoterminowy - dowiedział się dziennikarz RMF FM Kacper Wróblewski. "Nie zamierzamy dłużej czekać na rządową propozycję w tej sprawie" - mówią autorzy przepisów, posłowie Polski 2050. Zdradzają oni, jakie regulacje pojawią się w ustawie.
Oto najlepsze miejsca do życia w Polsce. Te gminy są liderami
Sopot, Mińsk Mazowiecki, Bolesławiec i Pabianice - to tylko niektóre z gmin, które znalazły się w ścisłej czołówce najnowszego ogólnopolskiego rankingu jakości życia. Zestawienie przygotowane przez Algolytics Technologies we współpracy z Agencją Badawczą SW Research oraz partnerami rzuca nowe światło na to, gdzie w Polsce żyje się najlepiej.
Niemcy apelowały ws. sankcji na Rosnieft. Jest odpowiedź z USA


"Nie będziemy tolerować". Von der Leyen grzmi po naruszeniach terytorium NATO


Były piłkarz Barcelony kaznodzieją. "W więzieniu zawarłem pakt z Bogiem"


Wielka korporacja zwalnia pracowników. Zastąpi ich sztuczna inteligencja


Premier o sprawie działki pod CPK. "Wyjątkowo paskudne potwierdzenie"


Pół tysiąca poszkodowanych, niebagatelne straty. Nowe informacje o znikających pieniądzach


Rosyjska flota cieni omijała sankcje. Media: Wspierały ją firmy z państw bałtyckich


Czy wolno wyprzedzić traktor na ciągłej? Wielu kierowców nadal popełnia ten błąd


Huragan Melissa nad Karaibami. Polskie MSZ apeluje do turystów


Halloween tuż-tuż. Kościół szykuje alternatywę


Razem odpowiada Trzaskowskiemu. "Żeby lokalne układy były wieczne"


Jest wniosek ws. Zbigniewa Ziobry. "Zatrzymanie i tymczasowe aresztowanie"


Popularna przyprawa, która hamuje procesy starzenia. Warto używać codziennie


8 funduszy rozmawia z Brukselą o specfunduszu na innowacyjność. W grze polski BGK
Aktywa Rosnieftu w Niemczech poza sankcjami. Berlin komentuje
Donald Tusk komentuje wniosek o areszt dla Zbigniewa Ziobry. "Pierwszy raz w historii Polski"
Oszuści mają na celowniku nie tylko bankomaty. Co 36 min próbują wyłudzić kredyt
Premier Tusk: CPK znaczy dziś "cały PiS kradnie"
Amazon inwestuje w energię odnawialną w Polsce. Zasilą go farmy wiatrowe i słoneczne
Jest szansa na kolejną obniżkę stóp procentowych. Mówi o tym jeden z decydentów
Zbigniew Ziobro podejrzany o kierowanie grupą przestępczą. Prokuratura składa wniosek o uchylenie immunitetu
Halloweenowe strachy na stacjach paliw. Kiedy tankować przed świętami, by nie przepłacić?
Orlen będzie dochodził roszczeń od Daniela Obajtka. Jest decyzja
Serwis Cinkciarz.pl ogłosił upadłość. Oto pięć faktów, które trzeba znać, by odzyskać pieniądze
Polska 2050 ma dość czekania na rząd. Chce ukrócić najem krótkoterminowy
UE ustala nowe kwoty połowowe na Bałtyku. "Dobra decyzja" dla polskich rybaków
Rekordowe wsparcie EBOiR dla Polski. Pekao Leasing stawia na ekologię i rozwój
Sąd zdecydował w sprawie upadłości kantoru internetowego Cinkciarz.pl
"Cała UE jest za blisko Rosji". Piotr Serafin o nowych priorytetach budżetu
Kulisy ataku na klientów Santandera. To nauczka, jak należy korzystać z bankomatu
Na ich dom spadła rakieta. Oto pieniądze, które oferuje im MON
Horała: sprawa działki pod CPK być może nie skończy się na zawieszeniu
Sondaż: Skrajna prawica odbiera głosy PiS. W Sejmie miejsce dla dwóch Konfederacji
Nowy sondaż IBRiS dla "Rzeczpospolitej" pokazuje, że na półmetku kadencji parlamentu Koalicja Obywatelska wyprzedza Prawo i Sprawiedliwość. Donald Tusk zyskuje, a Jarosław Kaczyński traci na rzecz ugrupowań po prawej stronie sceny politycznej. Prokuratura chce zatrzymać i aresztować Ziobrę. Wniosek wpłynął do Sejmu
Wniosek o uchylenie immunitetu Zbigniewowi Ziobrze, a także jego zatrzymanie i tymczasowe aresztowanie, trafił do Sejmu. Według prokuratury istnieją podejrzenia, że polityk mógł popełnić 26 przestępstw. Afera gruntowa przy CPK uderza w PiS. Ekspert: "Narracja o gospodarności się rozpadła"
Polityczny kryzys wokół sprzedaży ziemi pod Centralny Port Komunikacyjny podważa wizerunek Prawa i Sprawiedliwości jako partii skutecznej i gospodarnej - ocenia politolog dr hab. Robert Szwed z Katolickiego Uniwersytetu Lubelskiego. Jego zdaniem to prosty, zrozumiały dla wyborców skandal, który może uderzyć w żelazny elektorat PiS na wsi. Mieszko R. wraca do aresztu. Jest podejrzany o makabryczne zabójstwo na UW
We wtorek kończy się obserwacja sądowo-psychiatryczna 22-letniego Mieszka R., podejrzanego o zabójstwo na UW - potwierdził portalowi Gazeta.pl rzecznik Prokuratury Okręgowej w Warszawie. Teraz śledczy będą czekali na pisemną opinię biegłych. Premier o aferze z działką pod CPK. "Od teraz Cały PiS Kradnie"
Donald Tusk podczas posiedzenia rządu odniósł się do doniesień o sprzedaży kluczowej dla Centralnego Portu Komunikacyjnego działki. Transakcja miała zostać zatwierdzona w czasie tzw. dwutygodniowego rządu Mateusza Morawieckiego, tuż przed utratą władzy przez PiS. Afera ws. sprzedaży działki pod CPK. W PiS trwają rozliczenia. Kaczyński zawiesił kolejną osobę
Jarosław Kaczyński zawiesił kolejną, trzecią już, osobę w prawach członka partii. Chodzi o byłego dyrektora Krajowego Ośrodka Wsparcia Rolnictwa - dowiedziała się Wirtualna Polska. "Albo pomyłka, albo kradzież. Nie można kraść nieświadomie". Ekspert zabrał głos ws. Berkowicza
Konrad Berkowicz otrzymał mandat za kradzież produktów o wartości 390 zł z Ikei. Polityk twierdzi, że była to zwykła pomyłka. Nad sprawą pochylił się dr Mikołaj Małecki, autor bloga Dogmaty Karnisty. "Pomyłka czy kradzież? Albo jedno, albo drugie: każdemu może się zdarzyć pomyłka na kasie samoobsługowej i nie jest to czyn karalny" - napisał. Trzaskowski odpowiada na zarzuty PiS ws. działki pod CPK. "Tonący brzytwy się chwyta"
Rafał Trzaskowski odniósł się do zarzutów kierowanych w jego stronę przez PiS. Chodzi o sprzedaż działki pod CPK. - PiS panicznie próbuje szukać winnych gdzie indziej, a przecież wiadomo, że to oni podejmowali decyzje - stwierdził prezydent Warszawy. Prokuratura: Jest wniosek ws. Ziobry. "Założył i kierował zorganizowaną grupą przestępczą"
Prokuratura skierowała wniosek o odebranie immunitetu Zbigniewowi Ziobrze. - Wniosek ten dotyczy również zgody na zatrzymanie i tymczasowe aresztowanie pana posła - przekazała prok. Anna Adamiak. Ciągnik, pieniądze ze sklepu i "pomyłka" przy tankowaniu. Nie tylko Berkowicz wziął i nie zapłacił
Sprawa Konrada Berkowicza, który miał ukraść przedmioty o wartości 390 zł z Ikei, wywołała niemałą burzę w mediach społecznościowych. Poseł Konfederacji nie jest jedynym politykiem, który był oskarżany o kradzież. Podobne skandale wybuchały już wcześniej - i w Polsce, i za granicą. Media: Minister sprawiedliwości wystąpi o uchylenie immunitetu Ziobrze. "Miał kierować procederem"
Prokurator generalny Waldemar Żurek wystąpi z wnioskiem o uchylenie immunitetu Zbigniewowi Ziobrze - informuje nieoficjalnie TVN24. Chodzi o sprawę Funduszu Sprawiedliwości. “You Be Good. I Love You”: How Alex The Parrot Rewrote Our Understanding Of Animal Intelligence

What Would You Find If You Drill Down Deep Under Antarctica?

Experience the wonders of North Gyeongsang on Google Arts & Culture
Google Arts & Culture is launching a new collection to honor the rich heritage of the province of North Gyeongsang in South Korea. The Mill Returns Under New Owner With Global Expansion Plans
3 Things Missing From Your AI Strategy
Gary Tobey Steps Down After 30 Years at Haworth
Why You Might Be Doing Your Holiday Shopping Through ChatGPT This Year
Brands Rush to Reddit, Boosting Ad Spend and Gaming AI Search
How to balance speed and credibility in AI-assisted content creation

AI tools can help teams move faster than ever – but speed alone isn’t a strategy.
As more marketers rely on LLMs to help create and optimize content, credibility becomes the true differentiator.
And as AI systems decide which information to trust, quality signals like accuracy, expertise, and authority matter more than ever.
It’s not just what you write but how you structure it. AI-driven search rewards clear answers, strong organization, and content it can easily interpret.
This article highlights key strategies for smarter AI workflows – from governance and training to editorial oversight – so your content remains accurate, authoritative, and unmistakably human.
Create an AI usage policy
More than half of marketers are using AI for creative endeavors like content creation, IAB reports.
Still, AI policies are not always the norm.
Your organization will benefit from clear boundaries and expectations. Creating policies for AI use ensures consistency and accountability.
Only 7% of companies using genAI in marketing have a full-blown governance framework, according to SAS.
However, 63% invest in creating policies that govern how generative AI is used across the organization.

Even a simple, one-page policy can prevent major mistakes and unify efforts across teams that may be doing things differently.
As Cathy McPhillips, chief growth officer at the Marketing Artificial Intelligence Institute, puts it:
- “If one team uses ChatGPT while others work with Jasper or Writer, for instance, governance decisions can become very fragmented and challenging to manage. You’d need to keep track of who’s using which tools, what data they’re inputting, and what guidance they’ll need to follow to protect your brand’s intellectual property.”
So drafting an internal policy sets expectations for AI use in the organization (or at least the creative teams).
When creating a policy, consider the following guidelines:
- What the review process for AI-created content looks like.
- When and how to disclose AI involvement in content creation.
- How to protect proprietary information (not uploading confidential or client information into AI tools).
- Which AI tools are approved for use, and how to request access to new ones.
- How to log or report problems.
Logically, the policy will evolve as the technology and regulations change.
Keep content anchored in people-first principles
It can be easy to fall into the trap of believing AI-generated content is good because it reads well.
LLMs are great at predicting the next best sentence and making it sound convincing.
But reviewing each sentence, paragraph, and the overall structure with a critical eye is absolutely necessary.
Think: Would an expert say it like that? Would you normally write like that? Does it offer the depth of human experience that it should?
“People-first content,” as Google puts it, is really just thinking about the end user and whether what you are putting into the world is adding value.
Any LLM can create mediocre content, and any marketer can publish it. And that’s the problem.
People-first content aligns with Google’s E-E-A-T framework, which outlines the characteristics of high-quality, trustworthy content.
E-E-A-T isn’t a novel idea, but it’s increasingly relevant in a world where AI systems need to determine if your content is good enough to be included in search.
According to evidence in U.S. v. Google LLC, we see quality remains central to ranking:
- “RankEmbed and its later iteration RankEmbedBERT are ranking models that rely on two main sources of data: [redacted]% of 70 days of search logs plus scores generated by human raters and used by Google to measure the quality of organic search results.”

It suggests that the same quality factors reflected in E-E-A-T likely influence how AI systems assess which pages are trustworthy enough to ground their answers.
So what does E-E-A-T look like practically when working with AI content? You can:
- Review Google’s list of questions related to quality content: Keep these in mind before and after content creation.
- Demonstrate firsthand experience through personal insights, examples, and practical guidance: Weave these insights into AI output to add a human touch.
- Use reliable sources and data to substantiate claims: If you’re using LLMs for research, fact-check in real time to ensure the best sources.
- Insert authoritative quotes either from internal stakeholders or external subject matter experts: Quoting internal folks builds brand credibility while external sources lend authority to the piece.
- Create detailed author bios: Include:
- Relevant qualifications, certifications, awards, and experience.
- Links to social media, academic papers (if relevant), or other authoritative works.
- Add schema markup to articles to clarify the content further: Schema can clarify content in a way that AI-powered search can better understand.
- Become the go-to resource on the topic: Create a depth and breadth of material on the website that’s organized in a search-friendly, user-friendly manner. You can learn more in my article on organizing content for AI search.

Dig deeper: Writing people-first content: A process and template
Train the LLM
LLMs are trained on vast amounts of data – but they’re not trained on your data.
Put in the work to train the LLM, and you can get better results and more efficient workflows.
Here are some ideas.
Maintain a living style guide
If you already have a corporate style guide, great – you can use that to train the model. If not, create a simple one-pager that covers things like:
- Audience personas.
- Voice traits that matter.
- Reading level, if applicable.
- The do’s and don’ts of phrases and language to use.
- Formatting rules such as SEO-friendly headers, sentence length, paragraph length, bulleted list guidelines, etc.
You can refresh this as needed and use it to further train the model over time.
Build a prompt kit
Put together a packet of instructions that prompts the LLM. Here are some ideas to start with:
- The style guide
- This covers everything from the audience personas to the voice style and formatting.
- If you’re training a custom GPT, you don’t need to do this every time, but it may need tweaking over time.
- A content brief template
- This can be an editable document that’s filled in for each content project and includes things like:
- The goal of the content.
- The specific audience.
- The style of the content (news, listicle, feature article, how-to).
- The role (who the LLM is writing as).
- The desired action or outcome.
- This can be an editable document that’s filled in for each content project and includes things like:
- Content examples
- Upload a handful of the best content examples you have to train the LLM. This can be past articles, marketing materials, transcripts from videos, and more.
- If you create a custom GPT, you’ll do this at the outset, but additional examples of content may be uploaded, depending on the topic.
- Sources
- Train the model on the preferred third-party sources of information you want it to pull from, in addition to its own research.
- For example, if you want it to source certain publications in your industry, compile a list and upload it to the prompt.
- As an additional layer, prompt the model to automatically include any third-party sources after every paragraph to make fact-checking easier on the fly.
- SEO prompts
- Consider building SEO into the structure of the content from the outset.
- Early observations of Google’s AI Mode suggest that clearly structured, well-sourced content is more likely to be referenced in AI-generated results.
With that in mind, you can put together a prompt checklist that includes:
- Crafting a direct answer in the first one to two sentences, then expanding with context.
- Covering the main question, but also potential subquestions (“fan-out” queries) that the system may generate (for example, questions related to comparisons, pros/cons, alternatives, etc.).
- Chunking content into many subsections, with each subsection answering a potential fan-out query to completion.
- Being an expert source of information in each individual section of the page, meaning it’s a passage that can stand on its own.
- Provide clear citations and semantic richness (synonyms, related entities) throughout.
Dig deeper: Advanced AI prompt engineering strategies for SEO
Create custom GPTs or explore RAG
A custom GPT is a personalized version of ChatGPT that’s trained on your materials so it can better create in your brand voice and follow brand rules.
It mostly remembers tone and format, but that doesn’t guarantee the accuracy of output beyond what’s uploaded.
Some companies are exploring RAG (retrieval-augmented generation) to further train LLMs on the company’s own knowledge base.
RAG connects an LLM to a private knowledge base, retrieving relevant documents at query time so the model can ground its responses in approved information.
While custom GPTs are easy, no-code setups, RAG implementation is more technical – but there are companies/technologies out there that can make it easier to implement.
That’s why GPTs tend to work best for small or medium-scale projects or for non-technical teams focused on maintaining brand consistency.

RAG, on the other hand, is an option for enterprise-level content generation in industries where accuracy is critical and information changes frequently.
Run an automated self-review
Create parameters so the model can self-assess the content before further editorial review. You can create a checklist of things to prompt it.
For example:
- “Is the advice helpful, original, people-first?” (Perhaps using Google’s list of questions from its helpful content guidance.)
- “Is the tone and voice completely aligned with the style guide?”
Have an established editing process
Even the best AI workflow still depends on trained editors and fact-checkers. This human layer of quality assurance protects accuracy, tone, and credibility.
Editorial training
About 33% of content writers and 24% of marketing managers added AI skills to their LinkedIn profiles in 2024.
Writers and editors need to continue to upskill in the coming year, and, according to the Microsoft 2025 annual Work Trend Index, AI skilling is the top priority.

Professional training creates baseline knowledge so your team gets up to speed faster and can confidently handle outputs consistently.
This includes training on how to effectively use LLMs and how to best create and edit AI content.
In addition, training content teams on SEO helps them build best practices into prompts and drafts.
Editorial procedures
Ground your AI-assisted content creation in editorial best practices to ensure the highest quality.
This might include:
- Identifying the parts of the content creation workflow that are best suited for LLM assistance.
- Conducting an editorial meeting to sign off on topics and outlines.
- Drafting the content.
- Performing the structural edit for clarity and flow, then copyediting for grammar and punctuation.
- Getting sign-off from stakeholders.

The AI editing checklist
Build a checklist to use during the review process for quality assurance. Here are some ideas to get you started:
- Every claim, statistic, quote, or date is accompanied by a citation for fact-checking accuracy.
- All facts are traceable to credible, approved sources.
- Outdated statistics (more than two years) are replaced with fresh insights.
- Draft meets the style guide’s voice guidelines and tone definitions.
- Content adds valuable, expert insights rather than being vague or generic.
- For thought leadership, ensure the author’s perspective is woven throughout.
- Draft is run through the AI detector, aiming for a conservative percentage of 5% or less AI.
- Draft aligns with brand values and meets internal publication standards.
- Final draft includes explicit disclosure of AI involvement when required (client-facing/regulatory).
Grounding AI content in trust and intent
AI is transforming how we create, but it doesn’t change why we create.
Every policy, workflow, and prompt should ultimately support one mission: to deliver accurate, helpful, and human-centered content that strengthens your brand’s authority and improves your visibility in search.
Dig deeper: An AI-assisted content process that outperforms human-only copy
Nio hits a milestone with first-ever two consecutive weeks of 10,000+ sales
Nio's sales record: Two straight weeks of 10,000+ vehicle deliveries.
The post Nio hits a milestone with first-ever two consecutive weeks of 10,000+ sales appeared first on CarNewsChina.com.
CATL-Huaiwei-Changan backed Avatr 12 Four-LiDAR Edition launches, starting from 37,800 USD
Avatr unveils premium BEV and EREV sedan with Huawei's latest driver assistance system.
The post CATL-Huaiwei-Changan backed Avatr 12 Four-LiDAR Edition launches, starting from 37,800 USD appeared first on CarNewsChina.com.
BYD’s first K-Car ‘Racco’ to launch with 180 km range and 17,000 USD in Japan
The electric BYD Racco will enter Japan’s K-Car segment in 2026, rivaling Nissan Sakura and Honda N-BOX.
The post BYD’s first K-Car ‘Racco’ to launch with 180 km range and 17,000 USD in Japan appeared first on CarNewsChina.com.
2026 Zeekr 7X launched with 900V and dual-motor 2.98s acceleration from 31,800 USD in China
Zeekr updates the 7X with 900V high-voltage tech, 700 TOPS processing, and dual-motor AWD in top version.
The post 2026 Zeekr 7X launched with 900V and dual-motor 2.98s acceleration from 31,800 USD in China appeared first on CarNewsChina.com.
Is The Dogecoin Bull Run Over? Analyst Predicts When DOGE Rallies Again
Cantonese Cat used his October 28 video to zero in on the Dogecoin market structure, arguing that the meme-coin is nearing the end of a multi-year accumulation phase—and that the recent washout was a feature, not a bug, of that process. While he declined to publish numeric price targets in the video, he made the case that DOGE’s setup is maturing in lockstep with broader “risk-on” signals, with a familiar lag to Ethereum that historically precedes Dogecoin’s larger moves.
When Will Dogecoin Rally Again?
On structure, he was explicit. “Just looking at Doge here, you can see how […] Doge has been forming a cup over here for close to four and a half, five years now […] it’s just been building a big giant base.” In his read, the rounded bottom is the defining pattern of this cycle for DOGE, and it remains intact despite recent volatility.
He framed the sharp drawdown two weeks ago as necessary positioning rather than a break in trend: “You just had a great deleveraging event […] I’m not going to look at a lower low and think the trend is broken […] These are very healthy deleveraging before the next move up as far as I’m concerned.” He highlighted “a big giant wick” and “a lot of demand down below,” pointing to what he sees as resilient spot support through the base.
Timing, not targets, was the centerpiece. He reiterated that Dogecoin typically follows Ethereum with a delay once ETH clears its own major resistance bands. “Whenever we get closer to the end of the rounded bottom […] that’s when Ethereum breaks out above the resistance zone and goes up a lot higher. Thus, Doge runs together with Ethereum,” he said, adding: “There is a lag. I would say the lag is probably maybe a couple months between Ethereum breaking up and Doge finally breaking above this rounded bottom here and going up.”
He made a similar observation using risk proxies, noting that DOGE moves have historically trailed small-cap-led risk cycles by several months, though he cautioned that the exact interval can vary. Via X, he added “DOGE lags behind IWM [iShares Russell 2000 ETF] all-time-high breakout by about 2 to 4 months before it takes off.”
Cantonese Cat also pushed back on the view that a sequence of lower lows automatically invalidates the DOGE setup, arguing that this occurred in prior cycles just before outsized rallies. “A lot of people look at this, ‘that’s a lower low […] the cycle is over.’ Well, it doesn’t work that way. That’s a lower low right there. Next thing you know, it just went a lot higher,” he said, tying the observation to the current “healthy deleveraging” and the persistence of the rounded-bottom structure.
If the video offered the structural blueprint, his same-day post on X clarified his stance on headline targets. “I realize that it’s stupid to call for DOGE to $2 or $4 when price is at 20 cents. If I was smart like others, I should just call for DOGE to $2 or $4 when it’s $2 or $4.” The comment is consistent with his prior price predictions.
Inside the video update, the analyst instead emphasized the sequence he expects to matter—ETH strength first, DOGE follow-through second, with the magnitude determined by how far the broader risk cycle runs once momentum rotates.
At press time, DOGE traded at $0.20.

Bitcoin And Crypto Market Set To Bounce As Rate Cut Probabilities Touch 98.3%
The next Federal Open Market Committee (FOMC) meeting is fast approaching, and the bets are already pouring in as to what it would mean for the Bitcoin and crypto industry. The last FOMC meeting took place in September, when the Federal Reserve ended up cutting rates down to 4-4.25% after months of no rate cuts. With this setting the tone, the expectations that another rate cut could be on the way are getting louder, with the FedWatch Tool showing a high percentage.
Market Expects Another Rate Cut To 3.75-4%
The next FOMC meeting is scheduled for Wednesday, October 29, 2025, and there is already a major clamor around what the Fed is planning on doing. The current market headwinds point to a favorable outcome for risk assets such as Bitcoin and other cryptocurrencies, with expected rate cuts.
Currently, the CME FedWatch Tool is showing that the probability of a rate cut has risen to 98.3% as of the time of this writing. This leaves only a 1.7% chance that the Federal Reserve will actually leave rates at their current levels, and there is zero chance that there will be a rate hike.
A reduction in the rate cuts is good for businesses all around, as lower interest rates mean better loan terms and increased spending and borrowing. Thus, it will increase the participation in the markets, from consumer goods to the stock market, and then make its way into newer markets such as Bitcoin and crypto.
Expectations For Bitcoin And Crypto Are Getting Higher
A rate cut by the Federal Reserve aligns with the more pro-crypto stance that the United States has been moving in since President Donald Trump was elected. Last week, the president pardoned the Founder and former CEO of the Binance crypto exchange, Changpeng Zhao, after he previously pled guilty to money laundering violations back in 2024. Zhao has since served a 4-month stint before the pardon from Trump came.
With the US embracing Bitcoin and crypto again, a rate cut will only further the ascent, allowing more investors to get into the market as liquidity frees up. The initial announcement has been known to trigger a rapid increase in the market. But as the news settles, the crypto market is expected to continue to rise in response.
However, nothing is certain until the FOMC meeting is complete and the announcement is made. For the Bitcoin and crypto market to remain bullish, inflation will also have to be reduced, as an increase could trigger more conservative stances from investors.

Litecoin Price Prediction of $135 Ahead of ETF Launch as PEPENODE Soars
What to Know:
- $135 Litecoin price prediction hits the market ahead of the Litecoin ETF (LTCC) reaching Nasdaq today.
- Litecoin is already bullish, after briefly breaking above $105 and consolidating around the $102 mark in preparation of the SEC’s decision.
- PEPENODE ($PEPENODE) reaches $1.96M in presale thanks to its mine-to-earn mechanics and community support.
- $PEPENODE could deliver an ROI of 585% in 2026, without counting the staking APY of 653%.
A $135 price prediction for Litecoin appears more than feasible ahead of its spot ETF, which is ready to launch on Nasdaq today with the ticker LTCC.
Litecoin has been experiencing a notable increase over the last week, following a 10.44% surge that took it from $ 90.50 on October 23 to a high of $105.25 today.
The main catalyst is the SEC’s imminent favorable decision, which would greenlight Canary Litecoin, Canary HBAR, and Bitwise Solana ETFs today.
Bloomberg analyst, Eric Balchunas, confirmed the news on X, saying: ‘Assuming there’s not some last min SEC intervention, looks like this is happening’.

The news is understandably bullish for Litecoin, as the Nasdaq listing would open the asset to investors who don’t necessarily want to buy it. Long-term, this will boost liquidity, improve Litecoin’s legitimacy, and increase adoption at retail and, hopefully, institutional level.
Projects like PEPENODE ($PEPENODE) also stand to gain thanks to its on-chain utility and meme value. PEPENODE allows early adopters to buy mining nodes and build their own virtual coin mining facility, minus the electricity costs and expensive mining equipment.Can Litecoin Push to $135?
The momentum is there for a $135 push, especially considering the network activity, as shown by Santiment. Litecoin’s price spiked on October 9 and crashed soon after; the window was too short for investors to capitalize on it.
There was an attempt, but it fizzled out as Litecoin was already in free fall.
If investors had capitalized on it, the momentum might have held, increasing the opportunity window and potentially triggering a consolidation phase above $130.
But we’re not in that timeline.
Fortunately, we may be looking at a strong reset, as $LTC is already showing signs of consolidation above $101 after briefly popping its head above $105.
And this time, investors are not willing to miss the opportunity window again. The 24-hour transaction volume is up 69.41%, a clear indication that momentum is building ahead of the SEC’s decision later today.
We then have the Relative Strength Index, which currently stands at 64.77 points. For reference, the bull zone begins at a price above 50.

The community is clearly hyped up, $LTC shows growing potential, and investors are ready. In this context, a breakout above $135 is more than achievable if LTCC performs well following its Nasdaq listing.
If $LTC meets the bullish expectations, another project that stands to gain significant attention is PEPENODE ($PEPENODE), with its presale already at $1.96M.How PEPENODE Rewards Early Adoption
PEPENODE ($PEPENODE) encourages participation in its presale with the help of its innovative mine-to-earn mechanics.
The project addresses the main problems associated with crypto presales today: the lack of participation incentives. In short, presales don’t incentivize investors to buy in early, which leads to poor presale performances, which inadvertently lowers the coin’s visibility post launch.
PEPENODE’s mine-to-earn mechanics offer an exciting alternative in the form of virtual mining facilities. The concept is straightforward: purchase mining nodes, upgrade them, build your own virtual mining facility, activate it, and watch your rewards accumulate.The earlier you buy, the stronger your nodes, the faster you mine, and the more you can earn. This translates to higher post-TGE rewards, which include actual meme coins, such as $FARTCOIN and $PEPE.

The 653% staking APY is an additional incentive for early adoption.
$PEPENODE now sits at $0.0011227 and managed to raise $1,965,327 so far, while the presale is still going. Based on the project’s utility and meme value, the token still has plenty of growth potential.
A realistic price prediction for $PEPENODE puts the coin at $0.0077 by the end of 2026; possibly even higher if the mine-to-earn mechanics catch on. This translates to an ROI of 585%, excluding the staking benefits or the meme coin rewards resulting from your coin-farming.
Read our guide on how to buy $PEPENODE and visit the presale page to secure your nodes and start building your mining rig today.
This isn’t financial advice. Always do your own research (DYOR) and invest wisely.
Authored by Aaron Walker, NewsBTC: www.newsbtc.com/news/litecoin-135-price-prediction-pepenode-soars.

The Next Chapter For Crypto: Legislative Clarity, Institutional Support Set Stage For Major Growth
The crypto market, despite experiencing throughout the year major price fluctuations, security incidents, and legal hurdles, has experienced remarkable growth.
This can be attributed to the expansion of digital asset treasuries (DATs), increased institutional adoption, and new initiatives aimed at integrating digital assets, particularly stablecoins, into traditional financial sectors.
Andreessen Horowitz (a16z) recently shared their projections for the crypto landscape for the remainder of the year and years to come, highlighting nine key trends expected to be major catalysts for the industry.
Key Legislative Changes And Institutional Adoption
Firstly, market structure legislation in the US is expected to emerge as a critical priority for policymakers and Congress, establishing a clear regulatory framework that supports crypto developers.
The passage of the GENIUS Act in July of this year also marked a pivotal moment, garnering bipartisan support and providing builders with much-needed certainty in their endeavors.
Secondly, the adoption of stablecoins is set to accelerate as network effects take hold among financial institutions, merchants, and consumers, thereby enhancing the global standing of the US dollar.
Furthermore, major players like JPMorgan, Citi, BlackRock, and Fidelity are amplifying their crypto offerings through new product launches, partnerships, and acquisitions.
The infrastructure supporting blockchain technology is also advancing rapidly. Current networks can process over 3,400 transactions per second, marking a 100-fold increase over the past five years.
Moreover, a new wave of real-world assets (RWAs) is transitioning onto the blockchain as the worlds of crypto and traditional finance converge. The market for tokenized real-world assets has expanded to nearly $30 billion, with significant contributions from Treasuries, money market funds, and private credit.
The Future Of Crypto
In parallel, the crypto sector is attracting a growing pool of talent, driven by a more favorable regulatory environment and the emergence of new opportunities for developers.
The focus on revenue generation is also shifting within the token ecosystem. More tokens are implementing fee mechanisms, redirecting attention toward fundamental value. In the past year, users have paid $33 billion in fees, resulting in $18 billion for projects and $4 billion for token holders.
Innovative consumer products are also expected to drive the next wave of crypto adoption. Although approximately 716 million people now own cryptocurrency, only 40 to 70 million are considered active users.
Ultimately, 2025 is poised to lay the groundwork and establish the foundations for the years to come. It is expected to be a transformative year for the crypto industry, characterized by widespread institutional adoption, regulatory clarity, and tangible utility.
Featured image from DALL-E, chart from TradingView.com

Solana, Litecoin, and Hedera ETFs to Begin Trading This Week
Last updated on October 24, 2025.
This Article Was First Published on The Bit Journal.
The Altcoins ETFs is set to launch this Tuesday, marking a significant moment in crypto investing. According to the source, U.S. exchanges have posted listing notices for spot funds tied to these three tokens.
This move allows everyday investors to gain exposure to Solana, Litecoin, and Hedera without owning the coins directly, opening a new access point in regulated finance.
Listings Go Live What’s Happening
Exchanges such as the New York Stock Exchange (NYSE) and NASDAQ Stock Market have posted official listing notices for the Altcoins ETFs suite. Specifically:
- The issuer Canary Funds filed ETFs for Litecoin (LTC) and Hedera (HBAR) that will trade on the NASDAQ as early as Tuesday.
- The issuer Bitwise Asset Management filed a Solana (SOL) ETF for launch as part of this program.
Current prices at time of writing: Solana (SOL) ~ $199.64, Litecoin (LTC) ~ $100.55, Hedera (HBAR) ~ $0.21. These values reflect the market’s anticipation of the debut of the Solana, Litecoin, and Hedera ETF.


Why This Matters for Investors
The Altcoins ETFs may provide several benefits:
- Simplicity: Investors gain exposure to SOL, LTC and HBAR via regulated funds rather than holding the tokens and managing wallets.
- Access: For institutions and retail alike, a crypto ETF path offers a familiar format within stock-exchange infrastructure.
- Staking feature: At least the Solana component may include staking rewards, letting investors earn while holding through the fund.
Beyond Bitcoin and Ethereum, these altcoin-linked ETFs widen the field. The Solana, Litecoin, and Hedera ETF positions altcoins in a regulated vehicle format for the first time in the U.S..
Regulatory Context and Market Backdrop
The regulatory path for the Altcoins ETFs aligns with evolving U.S. rules. The U.S. Securities and Exchange Commission (SEC) has dropped delay notices and adopted generic listing standards for spot crypto ETFs, which helped clear the way for this launch. Lower procedural hurdles contribute to the Solana, Litecoin, and Hedera ETF coming into view.
Still, risks remain: trading volumes are unknown, token volatility persists, and early investors will observe how the funds perform once trading begins.
What to Watch After Launch
With the Altcoins ETFs about to trade, key indicators include:
- How much money flows into the funds?
- Whether SOL, LTC, and HBAR prices react positively once the ETF listing triggers real-world buying.
- How the funds’ structure handles staking, custody, and regulatory disclosures.
- Good early performance may encourage more altcoin ETFs; weak results may raise questions about execution.
Conclusion
The Altcoins ETFs represents a bridge between traditional finance and altcoins. Investors can now access SOL, LTC, and HBAR via regulated channels rather than buying tokens directly. Provided launch conditions hold, these funds could open the door for further crypto ETF innovations.
As trading starts, the performance of the Solana, Litecoin, and Hedera ETF will test how far the market can move beyond Bitcoin.
Glossary of Key Terms
- ETF (Exchange-Traded Fund): A fund traded on stock exchanges that tracks an asset or basket of assets.
- Spot ETF: A fund that holds the actual underlying asset (e.g., cryptocurrency), not derivatives.
- Staking: Locking up cryptocurrency tokens to earn rewards while helping secure the network.
- Altcoin: Any cryptocurrency other than Bitcoin.
- SEC: U.S. regulator for securities and ETFs, formally the U.S. Securities and Exchange Commission.
FAQs About Altcoins ETFs
What is the Solana, Litecoin, and Hedera ETFs?
It is a set of ETFs offering exposure to Solana (SOL), Litecoin (LTC), and Hedera (HBAR) via regulated U.S. exchange-traded products.
When will it launch?
The listing notices indicate trading will start this week, as early as Tuesday.
Why is it important?
It opens regulated access to altcoins beyond Bitcoin and Ethereum through the crypto ETF format.
Will staking rewards be included?
Yes, the Solana component is expected to include staking features within the ETF structure.
Read More: Solana, Litecoin, and Hedera ETFs to Begin Trading This Week">Solana, Litecoin, and Hedera ETFs to Begin Trading This Week


Weekly ETF Split: Bitcoin Pulls In Cash While Ether Bleeds
U.S. spot Bitcoin ETFs recorded roughly 446 million dollars in net inflows for the week, reversing the prior soft patch and hinting that institutions still buy the dips. Over the same stretch, spot Ether products saw about 244 million dollars in outflows, a notable contrast that kept the market honest after a frantic first half of October.
Daily prints show how quickly sentiment can turn. After four straight sessions of redemptions, Bitcoin funds swung to a single-day net inflow near 477 million dollars as prices steadied, a flip that broke the losing streak and re-anchored flows.
What the divergence actually signals
The split is not just about winners and laggards. Bitcoin’s rebound suggests allocators continue to treat it as the cleanest expression of crypto beta, especially when macro is noisy and liquidity is patchy. Ether’s outflows, meanwhile, reflect a different set of questions that investors still need answered, from staking mechanics inside fund structures to the timing and scope of future product features. The weekly etf total underscores that rotation within crypto is active rather than passive right now.
Context helps. Earlier in October, a monster print north of one billion dollars flowed into Bitcoin ETFs in a single session as price tagged fresh highs, a reminder that headline inflows often cluster near emotionally charged levels. That history makes last week’s steadier, mid-range rebound feel more durable, not less.
Price drivers to watch next
Flows do not move in a straight line. The week’s split sits against a backdrop of macro cross-currents, including intermittent risk-off wobbles and questions about policy data timeliness. Short squeezes and funding resets can add noise. Even so, the path of least resistance remains tied to whether Bitcoin ETFs keep printing green on more days than not, especially if breadth widens beyond a handful of big issuers. Recent records around 125,000 were pinned on ETF demand, so subsequent rallies will likely need the same sponsorship.
Ether’s challenge is more nuanced. Capital wants clarity on product design and the roadmap for yield features. Until those mechanics are settled, Ether funds may trade more like satellite positions in multi-asset portfolios, making them sensitive to weekly rebalancing. That does not preclude sharp risk-on weeks. It simply means the hurdle for sticky inflows is higher.
The bottom line
The week delivered a clean message. Bitcoin ETFs attracted fresh capital while Ether funds leaked. The daily swing back to inflows suggests the buyer is still there, even if conviction arrives in bursts. If the next few prints confirm breadth across issuers and steadier intake, price can follow. If not, expect more chop around well-watched levels while investors wait for the next catalyst.
Frequently asked questions
What exactly changed last week in ETF flows?
Bitcoin ETFs added about 446 million dollars for the week that ended 24 October, while Ether funds lost about 244 million dollars, marking a clear divergence between the two largest crypto assets.
Did one big day drive the Bitcoin number?
A single day near 21 October saw roughly 477 million dollars in net inflows, which helped flip the weekly tally back to positive after a red streak.
Are large daily inflows reliable signals for price?
Huge prints can coincide with local peaks, as seen earlier in October, so traders often look for persistence across multiple sessions rather than one-off spikes.
What are analysts saying publicly?
Nate Geraci highlighted multi-billion weekly intake for spot Bitcoin ETFs. Other analysts pointed to advisors dominating known Ether ETF holders, which can magnify tactical shifts.
Glossary of long key terms
Exchange-traded fund (ETF)
A regulated fund that tracks an asset and trades on stock exchanges, allowing investors to gain exposure without holding the underlying coins.
Net inflows and outflows
The difference between new money entering a fund and money leaving it over a set period. Positive net inflows imply demand, while outflows imply the opposite.
Advisor-dominated holder base
A fund ownership profile where registered investment advisors represent a large share of known holders, which can increase sensitivity to model-driven rebalancing.
Product breadth across issuers
A sign of healthier demand where multiple funds, not just one or two, attract consistent inflows, reducing reliance on a single vehicle for price support.
Read More: Weekly ETF Split: Bitcoin Pulls In Cash While Ether Bleeds">Weekly ETF Split: Bitcoin Pulls In Cash While Ether Bleeds


Leverage Trading in Crypto: How to Maximize Profits and Avoid Liquidation in 2025
This Article Was First Published on The Bit Journal |
As leverage trading takes over the crypto scene in 2025, traders are learning the hard way that big rewards often walk hand in hand with bigger risks, but could smarter risk control finally make leverage safer than ever?
Crypto leverage trading is becoming a popular way to invest in digital markets. It lets traders open larger positions with a small amount of money, which attracts both beginners and experts.
This method allows traders to make more profit when the market moves in their favor. But it can also bring large losses if it is not used with proper care and understanding.
What Is Leverage in Crypto Trading?
Leverage refers to utilizing borrowed capital from an exchange for a larger trade. In crypto leverage trading, a trader with a capital of say $100 can trade as if they had say $1,000, fully using 10x leverage. This can create larger profits if the market goes in their favor.
But, equally important, this can create larger losses if the price moves against them. Leverage allows traders to benefit from even small price changes in coins like $BTC or $ETH. It is helpful for short-term trades and lets traders keep some of their money free for other uses.
But experts warn that leverage is not a guarantee of profit or easy money. Borrowed funds must be handled carefully to prevent losing the entire trade through liquidation.
How Does Crypto Leverage Trading Work?
In crypto leverage trading, the exchange lends money to increase the size of a trader’s position. The trader must keep enough margin in their account to support this larger trade. When the market moves in their favor, profits can grow quickly. But if prices move the other way, losses can rise just as fast.
When a trader’s balance drops below the required margin level, the exchange may automatically close the trade. This is known as liquidation and it often happens when the market moves very quickly.
Understanding how margin works can help traders stay away from liquidation. It is wise to plan every trade with care and know the risks before using leverage.
How to Use Leverage in Crypto Trading Safely?
Using leverage in trading requires a clear plan and a steady approach. Many traders choose to begin with a smaller level of leverage, like 2x or 3x, until they gain more experience. Using very high leverage can make the impact of price changes much stronger.
Taking time to understand the market and manage each position with care usually leads to steadier outcomes. Using stop loss and take profit orders can also bring more structure and safety to crypto leverage trading. They close trades on their own once prices reach a chosen level.
By using them, traders can protect their capital and capture profits even when they are not watching the market. Making these orders part of a plan often brings more order and calm to the trading process.
What Are the Best Risk Management Practices?
Good risk management plays a central role in crypto leverage trading. It is advised that traders use only a small portion of their funds for each trade. This way, a single loss will not affect the entire account.
Experts often suggest risking only one percent of total capital per trade to limit losses. Watching margin levels helps traders avoid liquidation. Closing trades early or adjusting their size can protect funds. Funding fees should also be checked, as they can reduce profit over time.
Why Is Emotional Control Important in Leverage Trading?
Crypto leverage trading can be thrilling but also stressful. Rapid changes in the market can cause traders to react with emotions instead of with logic. This often creates errors, such as adding leverage after a loss or executing trades even earlier than expected.
Keeping emotions in check will allow traders to create rational, unemotional trading decisions. More experienced traders will advise taking a break after a loss to understand what went wrong. Patience and self-control will protect your trading capital better than any strategy.
It is also ok to look and learn from others, but don’t follow blindly from what you see on social media. Each trader must develop their own method based on their experience and what they have researched.
Conclusion
Crypto leverage trading gives traders a way to grow their profits with smaller capital. Traders who understand the risks, manage their positions, and stay disciplined can trade more safely and confidently.
Understanding risk and using tools like stop loss orders help protect funds. In 2025, smart and patient use of leverage remains the key to lasting success in crypto trading.
Glossary
Leverage: Extra money you borrow to increase the size of your trade.
Margin: The small part of your money kept aside to support a trade.
Stop Loss: A safety tool that ends a trade to stop more loss.
Funding Fee: A small cost you pay for keeping a trade open longer.
Short Trade: You sell expecting the crypto price to go down.
Frequently Asked Questions About Crypto Leverage Trading
How does leverage work in crypto?
Leverage helps you trade with more money, so your profit or loss can become bigger.
Why do people use leverage in crypto?
People use leverage to try to make more money from small price changes.
Is crypto leverage trading risky?
Yes, it is risky because you can lose your money very fast if the market goes down.
How can traders stop liquidation?
Traders can stop liquidation by using small leverage and watching their margin level.
What is a good rule for managing risk?
A good rule is to risk only a small part of your money on each trade.
Read More: Leverage Trading in Crypto: How to Maximize Profits and Avoid Liquidation in 2025">Leverage Trading in Crypto: How to Maximize Profits and Avoid Liquidation in 2025


Here’s How High Shiba Inu Can Rally if It Holds Crucial Support at $0.000010

A recent analysis has highlighted key price levels to watch if Shiba Inu rallies from a crucial support area. Shiba Inu has held strong around the current support level around $0.000006 to $0.000010, as its long accumulation phase continues.
Pundit Invests $250,000 in XRP, Explains Why It’s Not a Gamble

Crypto analyst AiMan recently revealed a personal investment of a quarter million dollars in XRP during the latest price dip. The purchase, which he said amounts to about 100,000 XRP, comes as the asset attempts to recover from the dip.
შალვა პაპუაშვილი – პარტიის აკრძალვის შემდეგ დავაკვირდებით, მასთან დაკავშირებული პირები ხომ არ ცდილობენ, მოძებნონ პოლიტიკური საქმიანობის სხვა საშუალებები – თუ ამას დავინახავთ, მივმართავთ საკონსტიტუციო სასამართლოს

თუკი აკრძალულ პარტიასთან დაკავშირებული პირები შექმნიან ახალ პარტიას ან შეუერთდებიან არსებულ პარტიას და საკონსტიტუციო სასამართლო იმსჯელებს, რომ მათი იქ ყოფნა იძლევა იმის თქმის საშუალებას, რომ ეს არის ახალი მემკვიდრე პარტია ან არსებული პარტია, მაშინ სასამართლოს შეუძლია მიიღოს გადაწყვეტილება და აკრძალოს ის პარტიაც. ანუ გვერდის ავლის საშუალება არ უნდა იყოს, როცა კრძალავ პარტიას არ უნდა არსებობდეს რაღაც ხვრელები, – ამის შესახებ პარლამენტის თავმჯდომარემ, შალვა პაპუაშვილმა განაცხადა.
მან ასევე განმარტა, იმ შემთხვევაში, თუ საკონსტიტუციო სასამართლო აკრძალავს „ლელოს“, „ნაციონალურ მოძრაობას“ და „კოალიცია ცვლილებებს“, შეეძლებათ თუ არა ამ პარტიის წევრებს სხვა პარტიის შექმნა.
„ზუსტად ამას შეეხება მემკვიდრე პარტიის ინსტიტუტი, რომელიც გულისხმობს შემდეგ რამეს, თუკი არსებობს პარტია და ის მიჩნეულ იქნა, რომ არღვევს კონსტიტუციას და აიკრძალა პარტია, მის წევრებს, მასთან დაკავშირებულ პირებს არ უნდა ჰქონდეთ შესაძლებლობა გვერდი აუარონ ამ გადაწყვეტილებას და იურიდიული ფორმალობით, უბრალოდ ადგენენ და დღეს თუ არის „ნაციონალური მოძრაობა“ და აიკრძალა საკონსტიტუციო სასამართლოს მიერ, ხვალ შექმნან და „ეროვნული მოძრაობა“ დაარქვან, იგივე ხალხი, იგივე მიზნებით შეიკრიბოს. ამიტომ, მემკვიდრე პარტიის ინსტიტუტი უზრუნველყოფს – მას შემდეგ, რაც პარტია აიკრძალება დავაკვირდეთ ამ აკრძალული პარტიასთან დაკავშირებული პირები, ხომ არ ცდილობენ, რომ მოძებნონ პოლიტიკური საქმიანობის სხვა საშუალებები და თუკი ამას დავინახავთ, ჩვენ მივმართავთ საკონსტიტუციო სასამართლოს. ვთქვათ, აიკრძალა „ნაციონალური მოძრაობა“, მისმა წევრებმა ან მასთან დაკავშირებულმა პირებმა შექმნეს სხვა პარტია, დაარქვეს პირობითად, „ეროვნული მოძრაობა“, თუ ეს მოხდება ჩვენ შეგვიძლია მივმართოთ საკონსტიტუციო სასამართლოს და ვთქვათ, რომ რეალურად, ეს არის იმ პარტიის ასლი, რაც იყო, არის მემკვიდრე პარტია თავის შემადგენლობით, იდეოლოგიით, ორგანიზაციული სტრუქტურით, რეგიონში პარტიული სტრუქტურებით და ა.შ. სხვადასხვა კრიტერიუმები რაც ამაზე მიუთითებს. საკონსტიტუციო სასამართლოში ორკვირიანი ვადა არსებობს იმისათვის, რომ იმსჯელოს და თუ დაადგენს, რომ სინამდვილეში ეს არის ფარსი, პოლიტიკოსები ცდილობენ, რომ თავი დაიძვრინონ და ახალი იურიდიული ფორმა შექმნან, მაშინ ის, როგორც მემკვიდრე პარტია აიკრძალება.
თუკი აკრძალულ პარტიასთან დაკავშირებული პირები შექმნიან ახალ პარტიას ან შეუერთდებიან არსებულ პარტიას და საკონსტიტუციო სასამართლო იმსჯელებს, რომ მათი იქ ყოფნა იძლევა იმის თქმის საშუალებას, რომ ეს არის ახალი მემკვიდრე პარტია ან არსებული პარტია, თავისი არსით, მემკვიდრე პარტია გახდა, მაშინ საკონსტიტუციო სასამართლოს შეუძლია მიიღოს გადაწყვეტილება და აკრძალოს ის პარტიაც. ანუ გვერდის ავლის საშუალება არ უნდა იყოს, როცა კრძალავ პარტიას არ უნდა არსებობდეს რაღაც ხვრელები, რომ გვერდი აუარო და სხვა სახელი დაირქვა. “-განაცხადა შალვა პაპუაშვილმა.
ირაკლი კუპრაძე – ანტიქართულმა „ოცნებამ“ გადაწყვიტა, დემოკრატიას მიაყენოს გადამწყვეტი დარტყმა – რუსული რეჟიმის მიმართ წინააღმდეგობა იქნება უკომპრომისო – ვდებთ პირობას, რომ ეს ბრძოლა არ გაჩერდება, სანამ არ იქნება გამარჯვება

ანტიეროვნულმა და ანტიქართულმა „ოცნებამ“ გადაწყვიტა, დემოკრატიას მიაყენოს გადამწყვეტი დარტყმა და აკრძალოს პროდასავლური ოპოზიციური პარტიები, მათ შორის პოლიტიკური კოალიცია „ლელო- ძლიერი საქართველო“. წინააღმდეგობა რუსული რეჟიმისა და „ქართული ოცნების“ პირისპირ იქნება უკომპრომისო და იქნება პრინციპული, – ამის შესახებ „ძლიერი საქართველო-ლელოს“ ერთ-ერთმა ლიდერმა ირაკლი კუპრაძემ პარტიის ოფისში გამართულ ბრიფინგზე განაცხადა, რომელსაც პარტიის სხვა ლიდერები და წევრები ესწრებოდნენ.
კუპრაძის განმარტებით, „ქართული ოცნების“ მცდელობა, გააქროს პროდასავლური სახალხო ოპოზიციური ხმა, ისეთი გამოწვევაა, რომელსაც „ძლიერი საქართველო- ლელო“ აპირებს დაუპირისპიროს წინააღმდეგობის ნებისმიერი გზა.
„კოალიცია „ლელო- ძლიერმა საქართველომ“ ამ წლების განმავლობაში გაატარა საქართველოს მოქალაქეებისთვის მთავარი და ძირითადი ინტერესი, რომ პოლიტიკაში დაბრუნდეს ქართველი ხალხის ხმა. ჩვენ ვაგრძელებთ ბრძოლას და წინააღმდეგობას. რუსულ რეჟიმს, რომელსაც აქვს დავალება, რომ ამ ქვეყანაში გააქროს პროდასავლური სახალხო ოპოზიციური ხმა, მათ შორის, „კოალიცია ძლიერი საქართველოს“ და „ლელოს“ სახით, ჩვენთვის ეს არის ისეთი გამოწვევა, რომელსაც აუცილებლად მოვუძებნით წინააღმდეგობის გზას. ჩვენ გუშინ შევიტანეთ კონსტიტუციური სარჩელი იმ მუხლების წინააღმდეგ, რომლებიც არის ანტიკონსტიტუციური პოლიტიკური პარტიების აკრძალვის სახით. მე ახლა ვდგავარ ჩემს გუნდთან ერთად. მთელი საქართველოს მასშტაბით „ლელოს“ და „ძლიერი საქართველოს“ წარმომადგენლები ყველა მუნიციპალიტეტიდან – ჩვენ ვაცხადებთ, რომ წინააღმდეგობა რუსული რეჟიმისა და „ქართული ოცნების“ პირისპირ იქნება უკომპრომისო და იქნება პრინციპული, იმიტომ, რომ არ არსებობს სხვა გზა, რომელიც ჩვენ გამოგვიყვანს ამ კრიზისიდან. „ქართულ ოცნებას“, ივანიშვილს, მის პოლიტიკურ დამნაშავეებს მოუწევთ აუცილებლად პასუხისმგებლობის აღება იმაზე, რომ მათ მიიღეს ანტიდემოკრატიული, ანტიეროვნული, ანტიევროპული პოლიტიკური გადაწყვეტილებები და სამართლებრივი აქტები. ჩვენ დღეს აქ დგომით და თქვენთან, მოქალაქეებთან, პოლიტიკური კომუნიკაციით, ვდებთ პირობას, რომ ეს ბრძოლა არ გაჩერდება მანამ, სანამ არ იქნება მიღწეული გამარჯვება, რასაც იმსახურებენ საქართველოს მოქალაქეები, ქართველი ხალხი – ეს არის ივანიშვილის რუსული რეჟიმის დასრულება და ამ ბრძოლაში ჩვენ გამოვიყენებთ ყველა შესაძლებლობას, სტრატეგიული წინააღმდეგობის ყველა სტრატეგიულ ხაზს, რომელიც მიგვიყვანს გამარჯვებამდე“, – განაცხადა კუპრაძემ.
ცნობისთვის, „ქართული ოცნება“ საკონსტიტუციო სასამართლოს 3 პარტიის აკრძალვის მოთხოვნით მიმართავს. პაპუაშვილის ინფორმაციით, მმართველი პარტიის მიერ მომზადებული საკონსტიტუციო სარჩელით შემდეგი პარტიების არაკონსტიტუციურად ცნობას და აკრძალვას მოითხოვენ: „ნაციონალური მოძრაობა“, „კოალიცია ცვლილებისთვის“ და „ძლიერი საქართველო – ლელო“.
შალვა პაპუაშვილი – ერთ-ერთი მიზეზი, რატომაც სარჩელში არ მივმართავთ ინდივიდუალურ პირებთან დაკავშირებით პოლიტიკური საქმიანობის შეზღუდვას ისაა, რომ არ გვინდა გვქონდეს მოკლე სია ან რაღაც სია – გვინდა დავიტოვოთ უფრო ფართო ინსტრუმენტი

ერთ-ერთი მიზეზი რატომაც ჩვენ სარჩელში არ მივმართავთ ინდივიდუალურ პირებთან დაკავშირებით პოლიტიკური საქმიანობის შეზღუდვას, არის ზუსტად ის, რომ არ გვინდა გვქონდეს მოკლე სია ან რაღაც სია, რომელზეც ვიტყოდით, რომ ესენი არიან პოლიტიკოსები, რომელთაც არ უნდა მიეცეთ საშუალება, პოლიტიკური ცხოვრების ნაწილები იყვნენ, – ასე უპასუხა პარლამენტის თავმჯდომარემ, შალვა პაპუაშვილმა ჟურნალისტების კითხვას, რომელიც საქართველოს მეხუთე პრეზიდენტ, სალომე ზურაბიშვილთან დაკავშირებულ სავარაუდო გადაწყვეტილებას შეეხებოდა, იმ შემთხვევაში, თუ ის მოინდომებს ახალი პარტიის შექმნას.
ამასთან, კითხვაზე შესაძლოა თუ არა, სალომე ზურაბიშვილის მიერ შექმნილი პარტია „ქართული ოცნების“ სარჩელის მიხედვით არაკონსტიტუციური პარტიების მემკვიდრე პარტიად იყოს აღქმული, პაპუაშვილის თქმით, „პირველ ეტაპზე ჯერ საკონსტიტუციო სასამართლომ მმართველი გუნდის სარჩელი წარმოებაში უნდა მიიღოს“.
„ერთ-ერთი მიზეზი რატომაც ჩვენ სარჩელში არ მივმართავთ ინდივიდუალურ პირებთან დაკავშირებით პოლიტიკური საქმიანობის შეზღუდვას, არის ზუსტად ის, რომ არ გვინდა გვქონდეს მოკლე სია ან რაღაც სია, რომელზეც ვიტყოდით, რომ ესენი არიან პოლიტიკოსები, რომელთაც არ უნდა მიეცეთ საშუალება, რომ პოლიტიკური ცხოვრების ნაწილები იყვნენ. არამედ გვინდა დავიტოვოთ უფრო ფართო ინსტრუმენტი, რომელიც მოგვცემს საშუალებას, რომ შემდეგ ვამტკიცოთ, მივიჩნიოთ დაკავშირებულად თუ არ მივიჩნიოთ, ჩვენი გადმოსახედიდან. პირველი ეტაპი არის ჩვენი სასარჩელო მოთხოვნა სამ პარტიასთან დაკავშირებით, ვნახოთ საკონსტიტუციო სასამართლომ მიიღოს სარჩელი, იყოს მსჯელობა. მივიდეთ ჯერ პროცესამდე. საკონსტიტუციო სასამართლო რა გადაწყვეტილებას მიიღებს და ამის შემდეგ ვნახოთ ვინ რა დასკვნას გამოიტანს“,- განაცხადა პაპუაშვილმა.
„ქართული ოცნება“ განმარტავს, რა კრიტერიუმებს ეყრდნობა პარტიების აკრძალვის თაობაზე მათ მიერ მომზადებული საკონსტიტუციო სარჩელი

გასული წლის საპარლამენტო არჩევნების წინ „ქართული ოცნების“ პოლიტიკური გუნდი ამომრჩეველს დავპირდით, რომ ამომრჩევლების მხარდაჭერის შემთხვევაში ვუზრუნველყოფდით „ნაციონალური მოძრაობის“ რეჟიმის ძირეული პოლიტიკური და სამართლებრივი შეფასების პროცესის წარმართვას. ამ დაპირების შესასრულებლად დემოკრატიული მანდატი 1 120 000-მა ამომრჩეველმა მოგვცა,- ამის შესახებ პარლამენტის თავმჯდომარემ, შალვა პაპუაშვილმა კონსტიტუციური სარჩელის წარდგენის დროს განაცხადა.
პაპუაშვილის თქმით, სარჩელში, „სხვა დარღვევებთან ერთად, მტკიცებულებებით დასტურდება, რომ შესაბამისი პოლიტიკური პარტიები, პრაქტიკულად უწყვეტ რეჟიმში, უარყოფენ საქართველოს მოქმედი ხელისუფლებისა და მმართველი პოლიტიკური პარტიის როგორც საშინაოპოლიტიკურ, ისე საგარეოპოლიტიკურ ლეგიტიმაციას”.
„2024 წლის საპარლამენტო არჩევნების წინ „ქართული ოცნების“ პოლიტიკური გუნდი ამომრჩეველს დავპირდით, რომ ამომრჩევლების მხარდაჭერის შემთხვევაში ვუზრუნველყოფდით „ნაციონალური მოძრაობის“ რეჟიმის ძირეული პოლიტიკური და სამართლებრივი შეფასების პროცესის წარმართვას. 1 120 000-მა ამომრჩეველმა ამ დაპირების შესასრულებლად მოგვცა მისი დემოკრატიული მანდატი.
ამ სახალხო მანდატის საფუძველზე, საქართველოს პარლამენტის 2025 წლის 5 თებერვლის და 1 აპრილის დადგენილებებით შეიქმნა „2003–2012 წლებში მოქმედი რეჟიმის, ამ რეჟიმის პოლიტიკური თანამდებობის პირებისა და პოლიტიკურ პარტიებში გაერთიანებული მოქმედი და ყოფილი თანამდებობის პირების 2003 წლიდან დღემდე საქმიანობის შემსწავლელი საქართველოს პარლამენტის დროებითი საგამოძიებო კომისია“, რომელმაც 6 თვიანი მუშაობის პერიოდში, პირდაპირ ეთერში გამართა 64 სხდომა, გამოიკითხა 139 პირი, შეისწავლა მოქალაქეებისგან 778 განცხადება. კომისიის თითქმის 500 გვერდიანი დასკვნის განხილვის საფუძველზე 2025 წლის 3 სექტემბერს საქართველოს პარლამენტმა მიიღო დადგენილება და გაიზიარა კომისიის მიგნებები. ამით, საქართველოს პარლამენტმა პოლიტიკური შეფასება მისცა „ნაციონალური მოძრაობის“ და სხვა დაკავშირებული პარტიების ქმედებებს 2003-2025 წლებში.
დღეს კი, ვიწყებთ ჩვენი დაპირების სამართლებრივი ნაწილის შესრულებას. პარლამენტის დროებითი საგამოძიებო კომისიის მიგნებების საფუძველზე ფრაქცია „ქართული ოცნების“, პოლიტიკური ჯგუფების „ხალხის ძალა“ და „ევროპელი სოციალისტების“ წევრები ერთობლივი კონსტიტუციური სარჩელით მივმართავთ საკონსტიტუციო სასამართლოს კონკრეტული პოლიტიკური პარტიების არაკონსტიტუციურად ცნობისა და მათი აკრძალვის მოთხოვნით.
საქართველოს კონსტიტუციის 23-ე მუხლი დაუშვებლად მიიჩნევს ისეთი პოლიტიკური პარტიის საქმიანობას, „რომლის მიზანია საქართველოს კონსტიტუციური წყობილების დამხობა ან ძალადობით შეცვლა, ქვეყნის დამოუკიდებლობის ხელყოფა, ტერიტორიული მთლიანობის დარღვევა ან რომელიც ეწევა ომის ან ძალადობის პროპაგანდას, აღვივებს ეროვნულ, ეთნიკურ, კუთხურ, რელიგიურ ან სოციალურ შუღლს.“
ამასთან, პოლიტიკური პარტიის საქმიანობა უშუალოდ და მჭიდროდ დაკავშირებულია თავდაცვისუნარიანი დემოკრატიის კონცეფციაისთანაც, რომლიდან გამომდინარეც, დაუშვებელია პოლიტიკური პარტიის ისეთი საქმიანობა, რომელიც უგულებელყოფს დემოკრატიული სახელმწიფოს იდეას ან საფრთხეს უქმნის სახელმწიფოს რომელიმე ფუძემდებლურ პრინციპს. ადამიანის უფლებათა ევროპულმა სასამართლომ თავის გადაწყვეტილებებში სწორედ თავდაცვისუნარიანი დემოკრატიის კონცეფციაზე დაყრდნობით აღნიშნავს, რომ თუ სახელმწიფო ხელისუფლების ორგანომ პოლიტიკური პარტიის მიერ დემოკრატიისთვის საფრთხის შემცველი პოლიტიკის გატარების რისკი სათანადოდ დაადასტურა, სახელმწიფო უფლებამოსილია აღკვეთოს ასეთი პოლიტიკის გატარება.
ჩვენი ერთობლივი კონსტიტუციური სარჩელით მოთხოვნილია რამდენიმე პოლიტიკური პარტიის არაკონსტიტუციურად ცნობა და აკრძალვა. სხვა დარღვევებთან ერთად, მტკიცებულებებით დასტურდება, რომ შესაბამისი პოლიტიკური პარტიები, პრაქტიკულად უწყვეტ რეჟიმში, უარყოფენ საქართველოს მოქმედი ხელისუფლებისა და მმართველი პოლიტიკური პარტიის როგორც საშინაოპოლიტიკურ, ისე საგარეოპოლიტიკურ ლეგიტიმაციას. შესაბამისად, მის კონსტიტუციურობას. ამით, აღნიშნული პარტიები აღიარებენ რომ მათსა და მმართველ პარტიას შორის ერთ-ერთი მხარე უსათუოდ არაკონსტიტუციურად უნდა შეირაცხოს. ჩვენს სარჩელში წარმოდგენილია მტკიცებულებები იმის შესახებ, რომ არაკონსტიტუციური მიზნები სწორედ ამ პოლიტიკურ პარტიებს ამოძრავებს.
სამართლებრივი დასაბუთება –
კონსტიტუციური სარჩელი ეფუძნება საქართველოს კონსტიტუციის 23-ე მუხლით გათვალისწინებულ შემდეგ დარღვევებს:
· საქართველოს კონსტიტუციური წყობილების დამხობა და ძალადობით შეცვლა
· ადამიანის უფლებების ხელყოფა
საქართველოს კონსტიტუციური წყობილების განუყოფელი ელემენტია სამართლებრივი სახელმწიფოს პრინციპი და ადამიანის ძირითადი უფლებები, რომელთა სისტემური დარღვევა საქართველოს კონსტიტუციური წყობილების ხელყოფაა. დროებითი საგამოძიებო კომისიის დასკვნაში ასახული ფაქტებითა და მტკიცებულებებით დასტურდება, რომ „ნაციონალური მოძრაობის“ ხელისუფლებაში ყოფნის პერიოდში, ადამიანის უფლებების ხელყოფა გასცილდა ერთეული შემთხვევების ფარგლებს და მიიღო სისტემური და სისტემატური ხასიათი, კერძოდ
პენიტენციურ დაწესებულებებში მოთავსებულ პირთა წამების პრაქტიკის დანერგვით,
მკვლელობებისა და სხვაგვარი ძალადობის პრაქტიკის დანერგვით,
პირთა უკანონო თვალთვალის, უკანონო მიყურადებისა და პირადი ცხოვრების ამსახველი ვიდეო-, აუდიო- და ფოტომასალის უკანონოდ შექმნის, შენახვისა და გამოყენების პრაქტიკის დანერგვით,
მასობრივი ინფორმაციის საშუალებების საკუთრების ან სხვა უფლების ხელმყოფი პრაქტიკის დანერგვით,
ქონების გამოძალვისა და საკუთრების უფლების ხელყოფის პრაქტიკის დანერგვით.
· საყოველთაო არჩევნების გზით არჩეული ორგანოების ლეგიტიმურობის აღიარებაზე უარის თქმა, საქართველოს კონსტიტუციური წყობილების დამხობის ან ძალადობით შეცვლის მცდელობები
საქართველოს პარლამენტის 2012 წლის 1 ოქტომბრის არჩევნების ჩატარებიდან დღემდე საქართველოში ჩატარდა 9 მორიგი საყოველთაო არჩევნები. აღნიშნული არჩევნების შედეგებისა და ამ არჩევნების გზით არჩეული ორგანოების ან თანამდებობის პირების ლეგიტიმურობის აღიარებაზე მთელ რიგ შემთხვევებში უარი თქვეს და ამ გზით საქართველოს სახელმწიფოს წინააღმდეგ არაერთი საბოტაჟი აწარმოეს კონსტიტუციურ სარჩელში მითითებულმა არაკონსტიტუციურმა პოლიტიკურმა პარტიებმა, მიუხედავად იმისა, რომ ყველა ეს არჩევნები საქართველოს კონსტიტუციისა და საარჩევნო კანონმდებლობის შესაბამისად ჩატარდა.
1) 2016 წლის საპარლამენტო არჩევნების შემდეგ შედგა ხალხის მიერ დემოკრატიული წესით არჩეული ხელისუფლების არალეგიტიმურად გამოცხადების პირველი მცდელობა, როდესაც არჩევნების არალეგიტიმურობის ყალბი საბაბით, „ნაციონალურმა მოძრაობამ“ არჩევნების მეორე ტურს ბოიკოტიც კი გამოუცხადა. თუმცა, მოგვიანებით, ისინი შეუდგნენ საქართველოს პარლამენტში მანდატების გამოყენებას, რაც უტყუარად ადასტურებს იმ გარემოებას, რომ არჩევნების არალეგიტიმურად გამოცხადებას არავითარი საფუძველი არ ჰქონდა.
2) 2018 წელს „ნაციონალური მოძრაობის“ თაოსნობით მოქმედმა კოალიციამ უარი თქვა საქართველოს პრეზიდენტის არჩევნების შედეგების აღიარებაზე და სცადა ძალადობრივი მეთოდის გამოყენებით საქართველოს ახალარჩეული პრეზიდენტის ფიცის დადების ცერემონიის ჩაშლა.
3) 2019 წლის ივნისში „ნაციონალური მოძრაობა“ და მჭიდროდ დაკავშირებული სხვა პოლიტიკური პარტიები საქართველოს პარლამენტის სასახლის შტურმით აღებას შეეცადნენ.
4) 2020 წლის საპარლამენტო არჩევნები არაკონსტიტუციურმა პოლიტიკურმა პარტიებმა არალეგიტიმურად შერაცხეს, უარი თქვეს ახალარჩეული პარლამენტის მუშაობაში მონაწილეობაზე და საქართველოს ცენტრალური საარჩევნო კომისიის ადმინისტრაციული შენობის შტურმით აღებას შეეცადნენ. თუმცა, მოგვიანებით, ისინი შეუდგნენ საქართველოს პარლამენტში მანდატების გამოყენებას, რაც უტყუარად ადასტურებს იმ გარემოებას, რომ არჩევნების არალეგიტიმურად გამოცხადებას არავითარი საფუძველი არ ჰქონდა.
5) 2021 წლის თვითმმართველობის არჩევნები არაკონსტიტუციურმა პოლიტიკურმა პარტიებმა არალეგიტიმურ არჩევნებად შერაცხეს, სხვადასხვა ქალაქში საპროტესტო აქციები წამოიწყეს და ხელახალი არჩევნების ჩატარების მოთხოვნა განაახლეს. თუმცა, მოგვიანებით, ისინი შეუდგნენ ადგილობრივი თვითმმართველობის ორგანოებში მანდატების გამოყენებას, რაც უტყუარად ადასტურებს იმ გარემოებას, რომ არჩევნების არალეგიტიმურად გამოცხადებას არავითარი საფუძველი არ ჰქონდა.
6) 2024 წლის საპარლამენტო არჩევნების შემდეგ პოლიტიკურმა პარტიებმა, რომლებმაც საარჩევნო ბარიერი გადალახეს, უარყვეს ამ არჩევნების შედეგები, უარი თქვეს პარლამენტის წევრის მანდატებზე და ახალარჩეული პარლამენტი არალეგიტიმურად გამოაცხადეს. მეტიც, არჩევნების შემდეგ, არაკონსტიტუციურმა პოლიტიკურმა პარტიებმა ხელი შეუწყეს და განახორციელეს ისეთი ღონისძიებები, რომლებიც მოიცავდა საქართველოს პარლამენტის სასახლეში ძალის გამოყენებით შეჭრას.
ზემოაღნიშნული ქმედებების პარალელურად და მათ გაგრძელებად, არაკონსტიტუციურმა პოლიტიკურმა პარტიებმა 2022-2025 წლებში განახორციელეს საქართველოს კონსტიტუციური წყობილების დამხობის ან ძალადობით შეცვლის რამდენიმე მცდელობა.
არაკონსტიტუციური პოლიტიკური პარტიების მიერ დემოკრატიული წესით არჩეული ხელისუფლების არალეგიტიმურად შერაცხვის პირველი მცდელობა 2016 წელს დაფიქსირდა, 2018 წლიდან ამ მცდელობამ სისტემატური, ხოლო 2020 წლიდან კი სისტემური და უწყვეტი სახე შეიძინა. ამასთან, დემოკრატიული წესით არჩეული ხელისუფლების არალეგიტიმურად გამოცხადებას 2019-2025 წლებში ერთვოდა საქართველოს კონსტიტუციური წყობილების დამხობისა და ძალადობით შეცვლის, მთლიანობაში, ექვსი უშუალო მცდელობა, რაც ადასტურებს, რომ საქართველოს კონსტიტუციური წყობილების დამხობისკენ ან ძალადობით შეცვლისკენ მიმართული საქმიანობა, რომელსაც არაკონსტიტუციური პოლიტიკური პარტიები აწარმოებენ ხანგრძლივი, სისტემატური, სისტემური და აქტუალურია, რაც დღეს ამ მიზნის აქტუალურობასაც უტყუარად ცხადყოფს.
ამრიგად, 2004-2012 წლებში „ნაციონალურმა მოძრაობამ“ დაარღვია საქართველოს კონსტიტუციითა და ადამიანის უფლებათა ევროპული კონვენციით გათვალისწინებული ადამიანის ძირითადი უფლებები. ამასთანავე, კონსტიტუციურ სარჩელში მითითებულმა ყველა არაკონსტიტუციურმა პარტიამ დაარღვია საქართველოს კონსტიტუციის მე-3 მუხლითა და ადამიანის უფლებათა ევროპული კონვენციით გათვალისწინებული დემოკრატიის არსი, რაც საქართველოს კონსტიტუციისა და საარჩევნო კანონმდებლობის შესაბამისად ჩატარებული საყოველთაო არჩევნების გზით არჩეული ორგანოებისა და თანამდებობის პირების ლეგიტიმურობის აღიარებაზე უსაფუძვლოდ უარის თქმასა და დემოკრატიის მიმართ აშკარა და უხეში უპატივცემულობის გამოვლენაში გამოიხატა.
· საქართველოს დამოუკიდებლობის ხელყოფა, ქვეყნის ტერიტორიული მთლიანობის დარღვევა
· 2008 წლის აგვისტოს ომთან დაკავშირებული მოვლენები
„ნაციონალურმა მოძრაობამ“ ხელისუფლებაში ყოფნის დროს საქართველოს დამოუკიდებლობისა და ტერიტორიული მთლიანობის წინააღმდეგ ჩაიდინა არაერთი ქმედება და ამ მხრივ, აშკარა არაკონსტიტუციური საქმიანობა განახორციელა, რამაც დააზიანა საქართველოს ტერიტორიული მთლიანობის მშვიდობიანი გზით აღდგენის პერსპექტივა და ხელი შეუწყო საქართველოს ტერიტორიების ოკუპაციასა და საოკუპაციო ძალის მიერ ოკუპაციასთან მიმართებით პოლიტიკური პოზიციების გამყარებას. კერძოდ, 2004-2008 წლებში საომარ რიტორიკასთან და კონფრონტაციულ ქმედებებთან ერთად აღსანიშნავია შემდეგი ფაქტები:
· 2004 წელს ქალაქ ცხინვალის მიმართულებით შეიარაღებული დაპირისპირება განხორციელდა.
· 2006 წლის 28 სექტემბერს კოდორის ხეობას საქართველოს პრეზიდენტის ბრძანებულებით ეწოდა „ზემო აფხაზეთი“.
· 2006 წლის ნოემბერში საქართველოს იმდროინდელმა ხელისუფლებამ ცხინვალის რეგიონში საქართველოს როგორც დე იურე, ისე დე ფაქტო იურისდიქციას დაქვემდებარებულ ტერიტორიაზე ჩაატარა ალტერნატიული არაკონსტიტუციური არჩევნები, სადაც აირჩა ე.წ. სამხრეთ ოსეთის პრეზიდენტი და მის დაქვემდებარებაში შეიქმნა ე.წ. სამხრეთ ოსეთის ალტერნატიული მთავრობა, რომლის წევრებიც მინისტრებად იწოდებოდნენ. ამით საქართველოს იმჟამინდელმა ხელისუფლებამ ცხინვალის რეგიონში სეპარატისტულ არჩევნებს ირიბი ლეგიტიმაცია შესძინა, რაც საქართველოს სახელმწიფო ინტერესების ღია და უხეში ღალატი იყო.
· 2007 წელს საქართველოს იმდროინდელმა ხელისუფლებამ ყოფილი სამხრეთ ოსეთის ავტონომიური ოლქის ტერიტორიაზე შექმნა დროებითი ადმინისტრაციულ-ტერიტორიული ერთეული და სამართლებრივად აღადგინა სამხრეთ ოსეთის ავტონომიური ოლქის 1990 წელს გაუქმებული საზღვრები.
· აღნიშნული ქმედებების კულმინაცია იყო 2008 წლის აგვისტო, როდესაც საქართველოს იმდროინდელმა ხელისუფლებამ შექმნა ნიადაგი ცხინვალის რეგიონში საოკუპაციო ძალის შესაჭრელად, რის შემდეგაც საქართველოს იმჟამინდელმა ხელისუფლებამ მხარი დაუჭირა ევროპის საბჭოს საპარლამენტო ასამბლეის 2008 წლის 2 ოქტომბრის რეზოლუციას, რომლითაც აღიარა საკუთარი ქმედებებით ესკალაციის ახალ, „ღია და სრულმასშტაბიანი საომარი მოქმედებების საფეხურზე“ გადაყვანა, რუსეთის სამხედრო ინტერვენციას კი „საპასუხო იერიში“ უწოდა.
ამრიგად, „ნაციონალურმა მოძრაობამ“ 2004 წლიდან გეგმაზომიერად და თანამიმდევრულად განახორციელა ქმედებები და ღონისძიებები, რომლებმაც ხელი შეუწყო არა მხოლოდ საქართველოს ტერიტორიების ოკუპაციას, არამედ საოკუპაციო ძალის მიერ ოკუპაციასთან მიმართებით პოლიტიკური პოზიციების გამყარებასაც.
· 2012 წლის შემდეგ განვითარებული მოვლენები
„ნაციონალურმა მოძრაობამ“ საქართველოს დამოუკიდებლობისა და ტერიტორიული მთლიანობის წინააღმდეგ ქმედებების ჩადენა 2012 წლის შემდეგაც განაგრძო, რაც უკვე მჭიდროდ დაკავშირებულ სხვა არაკონსტიტუციურ პოლიტიკურ პარტიებთან ერთად განახორციელა.
· საქართველოს ტერიტორიული მთლიანობის მშვიდობიანი გზით აღდგენის პერსპექტივის დაზიანება და საქართველოსა და რუსეთს შორის აქტიური საომარი მოქმედებების გაჩაღების მცდელობა-ხელშეწყობა
2022 წელს უკრაინაში რუსეთის შეჭრის პირველივე წუთებიდან გამოვლინდა არაკონსტიტუციური პოლიტიკური პარტიების მიზანი და მცდელობა, რუსეთ-უკრაინის ომის ფონზე, საქართველოსა და რუსეთის ფედერაციას შორის კონფლიქტი მაქსიმალურ ნიშნულამდე გაემწვავებინათ. არაკონსტიტუციური პოლიტიკური პარტიები დღემდე ცდილობენ, საქართველოსა და რუსეთს შორის ვითარება გამწვავდეს იგივე ფორმითა და ხარისხით, რა ფორმითა და ხარისხითაც ამას 2008 წლის ომამდე „ნაციონალური მოძრაობა“ ახორციელებდა.
· საქართველოს დამოუკიდებლობის ხელყოფაში უცხოური ძალისთვის ხელის შეწყობა.
საქართველოს ტერიტორიული მთლიანობის მშვიდობიანი გზით აღდგენის პერსპექტივის დაზიანებასა და საქართველოსა და რუსეთს შორის აქტიური საომარი მოქმედებების გაჩაღების მცდელობა-ხელშეწყობასთან ერთად, 2012 წლის შემდეგ საქართველოს დამოუკიდებლობის ხელყოფის მცდელობა სხვა მიმართულებითაც ხორციელდება; კერძოდ, ეს პოლიტიკური პარტიები ისწრაფვიან, სხვადასხვა საკითხთან მიმართებით უცხოეთიდან „დაისაჯოს“ საქართველოს სახელმწიფო და საქართველოს ხელისუფლება, რათა საქართველოს მოქალაქეებში უკმაყოფილება დაგროვდეს, ისინი მათ მიერ კანონიერად არჩეულ ხელისუფლებას დაუპირისპირდნენ და ეს პროცესები საქართველოს სახელმწიფოს წინააღმდეგ საბოტაჟის მექანიზმად და საქართველოს ხელისუფლებაზე ზეწოლის ბერკეტად იქნეს გამოყენებული. კერძოდ, ეს მცდელობები მოიცავს
· ევროპის კავშირის წევრი სახელმწიფოების ტერიტორიაზე საქართველოს მოქალაქეთათვის უვიზო მიმოსვლის რეჟიმის შემოღებისა და შენარჩუნების საკითხისთვის საზიანო ქმედებებს,
· ევროპის კავშირში საქართველოს გაწევრების მიმართულებით ქვეყნისთვის ხელშემშლელ ქმედებებს,
· საქართველოს სახელმწიფოსა და საქართველოს ხელისუფლებაზე უცხოეთიდან სისტემატური საინფორმაციო თავდასხმებს, სანქციების დაწესების მცდელობებს და ამის ხელშეწყობას.
ამრიგად, 2004-2012 წლებში „ნაციონალურმა მოძრაობამ“ ხელყო საქართველოს დამოუკიდებლობა და მიზანმიმართულად შექმნა ნიადაგი საქართველოს ტერიტორიული მთლიანობის დასარღვევად, ხოლო 2012 წლის შემდეგ ამ პოლიტიკურმა პარტიამ და სხვა არაკონსტიტუციურმა პოლიტიკურმა პარტიებმა განახორციელეს საქართველოს დამოუკიდებლობის ხელყოფისა და ტერიტორიული მთლიანობის დარღვევის მრავალი მცდელობა.
სასარჩელო მოთხოვნა
ზემოაღნიშნული გარემოებები, საქართველოს კონსტიტუციისა და ადამიანის უფლებათა ევროპული სასამართლოს მიდგომების გათვალისწინებით, ერთობლივად ქმნის რამდენიმე არაკონსტიტუციური პოლიტიკური პარტიის აკრძალვის მყარ კონსტიტუციურ საფუძველს.
ამასთან, საერთაშორისო პრაქტიკის მიხედვით პოლიტიკური პარტიის აკრძალვისთვის, მის არაკონსტიტუციურ იდეებთან და ქცევასთან ერთად, მნიშვნელოვანია, რომ კონკრეტულ პარტიას, ჰქონდეს იმის შესაძლებლობა, რომ რეალური საფრთხე შეუქმნას კონსტიტუციურ წყობილებას. ამ მხრივ განმსაზღვრელია პარტიის ზომა, სტრუქტურული ორგანიზება, პოლიტიკური გავლენა. ამიტომ, იმ პარტიების განსაზღვრისას, რომელთა აკრძალვასაც კონსტიტუციური სარჩელით ვითხოვთ, ვისარგებლეთ ორი მთავარი კრიტერიუმით:
– რამდენად მყარია კონკრეტული პარტიის არაკონსტიტუციურობის სამართლებრივი დასაბუთება,
– რამდენად უქმნის კონკრეტული არაკონსტიტუციური პარტია მისი ზომით, ორგანიზაციული სტრუქტურით თუ პოლიტიკური გავლენით რეალურ საფრთხეს კონსტიტუციურ წყობილებას.
შესაბამისად, ჩვენი ერთობლივი კონსტიტუციური სარჩელით მოთხოვნილია შემდეგი სამი პოლიტიკური პარტიის არაკონსტიტუციურად ცნობა და აკრძალვა, რომლებმაც საერთო მისწრაფებებით მოქმედი კოალიციური ერთობა და ერთიანი ორგანიზმი შექმნეს და დღესაც ასე მოქმედებენ. ეს პარტიებია (პარტიების რეესტრში მითითებული მათი იურიდიული დასახელებებით):
− მოქალაქეთა პოლიტიკური გაერთიანება „ერთიანობა − ნაციონალური მოძრაობა“,
− მოქალაქეთა პოლიტიკური გაერთიანება „კოალიცია ცვლილებისთვის, გვარამია, მელია, გირჩი, დროა“,
− მოქალაქეთა პოლიტიკური გაერთიანება „ძლიერი საქართველო − ლელო, ხალხისთვის, თავისუფლებისთვის“.
ამასთანავე, გასათვალისწინებელია, რომ ზემოხსენებულ პოლიტიკურ პარტიებთან მჭიდროდ დაკავშირებულია სხვა პოლიტიკური პარტიებიც, როგორებიცაა „ელენე ხოშტარია – დროა“ და „გირჩი – მეტი თავისუფლება“, რომლებიც სინამდვილეში „კოალიცია ცვლილებისთვის, გვარამია, მელია, გირჩი, დროას“ შემადგენლობაში არიან, თუმცა, ფორმალურად, დამოუკიდებელ პარტიებადაც არიან რეგისტრირებული, აგრეთვე „კი ევროპას – სტრატეგია აღმაშენებელი“, „ევროპული საქართველო – მოძრაობა თავისუფლებისთვის“, „ფედერალისტური პარტია“, „საქართველოს რესპუბლიკური პარტია“ და სხვა ფიქტიური, ერთკაციანი და მცირე პარტიები. თუმცა, ვინაიდან მათ ამჟამად, მათი სიდიდით, ორგანიზაციული სტრუქტურით არსებითი გავლენა, მათ შორის, საარჩევნო ბარიერის გადალახვის რეალური პერსპექტივა არ გააჩნიათ, ამ ეტაპზე მათი აკრძალვის აუცილებლობა არ იკვეთება. მათი არაკონსტიტუციურობის საკითხი დღის წესრიგში შეიძლება დადგეს მოგვიანებით, იმ შემთხვევაში, თუ ისინი პოლიტიკურ პროცესზე არსებით გავლენას შეიძენენ.
ზემოაღნიშნული პარტიების არაკონსტიტუციური მიზნების ერთიანობას ადასტურებს შემდეგი გარემოებები:
– აღნიშნული პოლიტიკური პარტიების ხელმძღვანელი პირები „ნაციონალური მოძრაობის“ ან მისი მონაწილეობით შექმნილი საარჩევნო ბლოკის წარდგენით არჩეულ იქნენ სხვადასხვა მოწვევის საქართველოს პარლამენტის წევრებად, ეკავათ სხვადასხვა პარტიული თუ პოლიტიკური თანამდებობა.
– აღნიშნული პოლიტიკური პარტიები წლების განმავლობაში თვისებრივად ერთნაირი პოზიციით წარმოჩინდებოდნენ, ქმნიდნენ საერთო მისწრაფებით მოქმედ კოალიციურ ერთობას და ერთიან ორგანიზმს და დღესაც ასე მოქმედებენ.
ამავე დროს, ჩვენი კონსტიტუციური სარჩელით მოთხოვნილი არ იქნება არაკონსტიტუციური პოლიტიკური პარტიის წარდგენით არჩეული წარმომადგენლობითი ორგანოს წევრების უფლებამოსილების შეწყვეტა, რაც დღევანდელი მდგომარეობით, რელევანტური იქნებოდა მხოლოდ პარტია „ლელოს“ სახელით საკრებულოებში გასულ 59 წევრთან დაკავშირებით. ამით, უპირველეს ყოვლისა, გვსურს, პატივი ვცეთ მათ ამომრჩევლებს და განსხვავებით თავად პარტია „ლელოსგან“, რომელმაც მისი ამომრჩევლისგან მინიჭებულ საპარლამენტო მანდატების მიღებაზე უარი თქვა, საკრებულოებში შევინარჩუნოთ ამომრჩევლის მიერ გაცემული მანდატები.
ასევე, ჩვენი სარჩელი არ შეიცავს არაკონსტიტუციურ პოლიტიკურ პარტიასთან დაკავშირებული პირებისთვის პოლიტიკური საქმიანობის შეზღუდვის მოთხოვნას. როგორც იცით, დღეს კანონმდებლობით განსაზღვრულია მემკვიდრე პარტიის ინსტიტუტი, რომელიც იძლევა უფრო ფართო შესაძლებლობას აკრძალული პარტიებთან დაკავშირებული პირების სამომავლო არაკონსტიტუციური პოლიტიკური საქმიანობის აღსაკვეთად“,- განაცხადა პაპუაშვილმა.
შალვა პაპუაშვილმა წარადგინა კონსტიტუციური სარჩელი, რომელშიც მოთხოვნილია „ნაციონალური მოძრაობის“, „კოალიცია ცვლილებისთვის“ და „ძლიერი საქართველო-ლელო“ საქმიანობის არაკონსტიტუციურად ცნობა და მათი აკრძალვა. სრულად

შალვა პაპუაშვილმა წარადგინა კონსტიტუციური სარჩელი, რომელშიც მოთხოვნილია „ნაციონალური მოძრაობის“, „კოალიცია ცვლილებისთვის“ და „ძლიერი საქართველო-ლელო“ საქმიანობის არაკონსტიტუციურად ცნობა და მათი აკრძალვა. სრულად
ფრაქცია „ქართული ოცნების“, პოლიტიკური ჯგუფების „ხალხის ძალა“ და „ევროპელი სოციალისტების“ წევრების ერთობლივ კონსტიტუციურ სარჩელთან დაკავშირებით, რომლითაც მოთხოვნილია რამდენიმე პოლიტიკური პარტიის საქმიანობის არაკონსტიტუციურად ცნობა და მათი აკრძალვა
წინაპირობა
2024 წლის საპარლამენტო არჩევნების წინ „ქართული ოცნების“ პოლიტიკური გუნდი ამომრჩეველს დავპირდით, რომ ამომრჩევლების მხარდაჭერის შემთხვევაში უზრუნველყოფილიყო „ნაციონალური მოძრაობის“ რეჟიმის ძირეული პოლიტიკური და სამართლებრივი შეფასების პროცესის წარმართვას. 1 120 000-მა ამომრჩეველმა ამ დაპირების შესასრულებლად მოგვცა მისი დემოკრატიული მანდატი.
ამ სახალხო მანდატის საფუძველზე, საქართველოს პარლამენტის 2025 წლის 5 თებერვლის და 1 აპრილის დადგენილებებით შეიქმნა „2003–2012 წლებში მოქმედი რეჟიმის, ამ რეჟიმის პოლიტიკური თანამდებობის პირებისა და პოლიტიკურ პარტიებში გაერთიანებული მოქმედი და ყოფილი თანამდებობის პირების 2003 წლიდან დღემდე საქმიანობის შემსწავლელი საქართველოს პარლამენტის დროებითი საგამოძიებო კომისია“, რომელმაც 6 თვიანი მუშაობის პერიოდში, პირდაპირ ეთერში გამართა 64 სხდომა, გამოიკითხა 139 პირი, შეისწავლა მოქალაქეებისგან 778 განცხადება. კომისიის თითქმის 500 გვერდიანი დასკვნის განხილვის საფუძველზე 2025 წლის 3 სექტემბერს საქართველოს პარლამენტმა მიიღო დადგენილება და გაიზიარა კომისიის მიგნებები. ამით, საქართველოს პარლამენტმა პოლიტიკური შეფასება მისცა „ნაციონალური მოძრაობის“ და სხვა დაკავშირებული პარტიების ქმედებებს 2003-2025 წლებში.
დღეს კი, ვიწყებთ ჩვენი დაპირების სამართლებრივი ნაწილის შესრულებას. პარლამენტის დროებითი საგამოძიებო კომისიის მიგნებების საფუძველზე ფრაქცია „ქართული ოცნების“, პოლიტიკური ჯგუფების „ხალხის ძალა“ და „ევროპელი სოციალისტების“ წევრები ერთობლივი კონსტიტუციური სარჩელით მივმართავთ საკონსტიტუციო სასამართლოს კონკრეტული პოლიტიკური პარტიების არაკონსტიტუციურად ცნობისა და მათი აკრძალვის მოთხოვნით.
საქართველოს კონსტიტუციის 23-ე მუხლი დაუშვებლად მიიჩნევს ისეთი პოლიტიკური პარტიის საქმიანობას, „რომლის მიზანია საქართველოს კონსტიტუციური წყობილების დამხობა ან ძალადობით შეცვლა, ქვეყნის დამოუკიდებლობის ხელყოფა, ტერიტორიული მთლიანობის დარღვევა ან რომელიც ეწევა ომის ან ძალადობის პროპაგანდას, აღვივებს ეროვნულ, ეთნიკურ, კუთხურ, რელიგიურ ან სოციალურ შუღლს.“
ამასთან, პოლიტიკური პარტიის საქმიანობა უშუალოდ და მჭიდროდ დაკავშირებულია თავდაცვისუნარიანი დემოკრატიის კონცეფციასთანაც, რომლიდან გამომდინარეც, დაუშვებელია პოლიტიკური პარტიის ისეთი საქმიანობა, რომელიც უგულებელყოფს დემოკრატიული სახელმწიფოს იდეას ან საფრთხეს უქმნის სახელმწიფოს რომელიმე ფუძემდებლურ პრინციპს. ადამიანის უფლებათა ევროპულმა სასამართლომ თავის გადაწყვეტილებებში სწორედ თავდაცვისუნარიანი დემოკრატიის კონცეფციაზე დაყრდნობით აღნიშნავს, რომ თუ სახელმწიფო ხელისუფლების ორგანომ პოლიტიკური პარტიის მიერ დემოკრატიისთვის საფრთხის შემცველი პოლიტიკის გატარების რისკი სათანადოდ დაადასტურა, სახელმწიფო უფლებამოსილია აღკვეთოს ასეთი პოლიტიკის გატარება.
ჩვენი ერთობლივი კონსტიტუციური სარჩელით მოთხოვნილია რამდენიმე პოლიტიკური პარტიის არაკონსტიტუციურად ცნობა და აკრძალვა. სხვა დარღვევებთან ერთად, მტკიცებულებებით დასტურდება, რომ შესაბამისი პოლიტიკური პარტიები, პრაქტიკულად უწყვეტ რეჟიმში, უარყოფენ საქართველოს მოქმედი ხელისუფლებისა და მმართველი პოლიტიკური პარტიის როგორც საშინაო პოლიტიკურ, ისე საგარეო პოლიტიკურ ლეგიტიმაციას და შესაბამისად, მის კონსტიტუციურობას. ამით, აღნიშნული პარტიები აღიარებენ რომ მათსა და მმართველ პარტიას შორის ერთ-ერთი მხარე უსათუოდ არაკონსტიტუციურად უნდა შეირაცხოს. ჩვენს სარჩელში წარმოდგენილია მტკიცებულებები იმის შესახებ, რომ არაკონსტიტუციური მიზნები სწორედ ამ პოლიტიკურ პარტიებს ამოძრავებს.
სამართლებრივი დასაბუთება
კონსტიტუციური სარჩელი ეფუძნება საქართველოს კონსტიტუციის 23-ე მუხლით გათვალისწინებულ შემდეგ დარღვევებს:
I. საქართველოს კონსტიტუციური წყობილების დამხობა და ძალადობით შეცვლა
1. ადამიანის უფლებების ხელყოფა
საქართველოს კონსტიტუციური წყობილების განუყოფელი ელემენტია სამართლებრივი სახელმწიფოს პრინციპი და ადამიანის ძირითადი უფლებები, რომელთა სისტემური დარღვევა საქართველოს კონსტიტუციური წყობილების ხელყოფაა. დროებითი საგამოძიებო კომისიის დასკვნაში ასახული ფაქტებითა და მტკიცებულებებით დასტურდება, რომ „ნაციონალური მოძრაობის“ ხელისუფლებაში ყოფნის პერიოდში, ადამიანის უფლებების ხელყოფა გასცილდა ერთეული შემთხვევების ფარგლებს და მიიღო სისტემური და სისტემატური ხასიათი, კერძოდ
· პენიტენციურ დაწესებულებებში მოთავსებულ პირთა წამების პრაქტიკის დანერგვით,
· მკვლელობებისა და სხვაგვარი ძალადობის პრაქტიკის დანერგვით,
· პირთა უკანონო თვალთვალის, უკანონო მიყურადებისა და პირადი ცხოვრების ამსახველი ვიდეო-, აუდიო- და ფოტომასალის უკანონოდ შექმნის, შენახვისა და გამოყენების პრაქტიკის დანერგვით,
· მასობრივი ინფორმაციის საშუალებების საკუთრების ან სხვა უფლების ხელმყოფი პრაქტიკის დანერგვით,
· ქონების გამოძალვისა და საკუთრების უფლების ხელყოფის პრაქტიკის დანერგვით.
2. საყოველთაო არჩევნების გზით არჩეული ორგანოების ლეგიტიმურობის აღიარებაზე უარის თქმა, საქართველოს კონსტიტუციური წყობილების დამხობის ან ძალადობით შეცვლის მცდელობები
საქართველოს პარლამენტის 2012 წლის 1 ოქტომბრის არჩევნების ჩატარებიდან დღემდე საქართველოში ჩატარდა 9 მორიგი საყოველთაო არჩევნები. აღნიშნული არჩევნების შედეგებისა და ამ არჩევნების გზით არჩეული ორგანოების ან თანამდებობის პირების ლეგიტიმურობის აღიარებაზე მთელ რიგ შემთხვევებში უარი თქვეს და ამ გზით საქართველოს სახელმწიფოს წინააღმდეგ არაერთი საბოტაჟი აწარმოვეს კონსტიტუციურ სარჩელში მითითებულმა არაკონსტიტუციურმა პოლიტიკურმა პარტიებმა, მიუხედავად იმისა, რომ ყველა ეს არჩევნები საქართველოს კონსტიტუციისა და საარჩევნო კანონმდებლობის შესაბამისად ჩატარდა.
1) 2016 წლის საპარლამენტო არჩევნების შემდეგ შედგა ხალხის მიერ დემოკრატიული წესით არჩეული ხელისუფლების არალეგიტიმურად გამოცხადების პირველი მცდელობა, როდესაც არჩევნების არალეგიტიმურობის ყალბი საბაბით, „ნაციონალურმა მოძრაობამ“ არჩევნების მეორე ტურს ბოიკოტიც კი გამოუცხადა. თუმცა, მოგვიანებით, ისინი შეუდგნენ საქართველოს პარლამენტში მანდატების გამოყენებას, რაც უტყუარად ადასტურებს იმ გარემოებას, რომ არჩევნების არალეგიტიმურად გამოცხადებას არავითარი საფუძველი არ ჰქონდა.
2) 2018 წელს „ნაციონალური მოძრაობის“ თაოსნობით მოქმედმა კოალიციამ უარი თქვა საქართველოს პრეზიდენტის არჩევნების შედეგების აღიარებაზე და სცადა ძალადობრივი მეთოდის გამოყენებით საქართველოს ახალარჩეული პრეზიდენტის ფიცის დადების ცერემონიის ჩაშლა.
3) 2019 წლის ივნისში „ნაციონალური მოძრაობა“ და მჭიდროდ დაკავშირებული სხვა პოლიტიკური პარტიები საქართველოს პარლამენტის სასახლის შტურმით აღებას შეეცადნენ.
4) 2020 წლის საპარლამენტო არჩევნები არაკონსტიტუციურმა პოლიტიკურმა პარტიებმა არალეგიტიმურად შერაცხეს, უარი თქვეს ახალარჩეული პარლამენტის მუშაობაში მონაწილეობაზე და საქართველოს ცენტრალური საარჩევნო კომისიის ადმინისტრაციული შენობის შტურმით აღებას შეეცადნენ. თუმცა, მოგვიანებით, ისინი შეუდგნენ საქართველოს პარლამენტში მანდატების გამოყენებას, რაც უტყუარად ადასტურებს იმ გარემოებას, რომ არჩევნების არალეგიტიმურად გამოცხადებას არავითარი საფუძველი არ ჰქონდა.
5) 2021 წლის თვითმმართველობის არჩევნები არაკონსტიტუციურმა პოლიტიკურმა პარტიებმა არალეგიტიმურ არჩევნებად შერაცხეს, სხვადასხვა ქალაქში საპროტესტო აქციები წამოიწყეს და ხელახალი არჩევნების ჩატარების მოთხოვნა განაახლეს. თუმცა, მოგვიანებით, ისინი შეუდგნენ ადგილობრივი თვითმმართველობის ორგანოებში მანდატების გამოყენებას, რაც უტყუარად ადასტურებს იმ გარემოებას, რომ არჩევნების არალეგიტიმურად გამოცხადებას არავითარი საფუძველი არ ჰქონდა.
6) 2024 წლის საპარლამენტო არჩევნების შემდეგ პოლიტიკურმა პარტიებმა, რომლებმაც საარჩევნო ბარიერი გადალახეს, უარყვეს ამ არჩევნების შედეგები, უარი თქვეს პარლამენტის წევრის მანდატებზე და ახალარჩეული პარლამენტი არალეგიტიმურად გამოაცხადეს. მეტიც, არჩევნების შემდეგ, არაკონსტიტუციურმა პოლიტიკურმა პარტიებმა ხელი შეუწყვეს და განახორციელეს ისეთი ღონისძიებები, რომლებიც მოიცავდა საქართველოს პარლამენტის სასახლეში ძალის გამოყენებით შეჭრას.
ზემოაღნიშნული ქმედებების პარალელურად და მათ გაგრძელებად, არაკონსტიტუციურმა პოლიტიკურმა პარტიებმა 2022-2025 წლებში განახორციელეს საქართველოს კონსტიტუციური წყობილების დამხობის ან ძალადობით შეცვლის რამდენიმე მცდელობა.
არაკონსტიტუციური პოლიტიკური პარტიების მიერ დემოკრატიული წესით არჩეული ხელისუფლების არალეგიტიმურად შერაცხვის პირველი მცდელობა 2016 წელს დაფიქსირდა, 2018 წლიდან ამ მცდელობამ სისტემატური, ხოლო 2020 წლიდან კი სისტემური და უწყვეტი სახე შეიძინა. ამასთან, დემოკრატიული წესით არჩეული ხელისუფლების არალეგიტიმურად გამოცხადებას 2019-2025 წლებში ერთვოდა საქართველოს კონსტიტუციური წყობილების დამხობისა და ძალადობით შეცვლის, მთლიანობაში, ექვსი უშუალო მცდელობა, რაც ადასტურებს, რომ საქართველოს კონსტიტუციური წყობილების დამხობისკენ ან ძალადობით შეცვლისკენ მიმართული საქმიანობა, რომელსაც არაკონსტიტუციური პოლიტიკური პარტიები აწარმოებენ ხანგრძლივი, სისტემატური, სისტემური და აქტუალურია, რაც დღეს ამ მიზნის აქტუალურობასაც უტყუარად ცხადყოფს.
ამრიგად, 2004-2012 წლებში „ნაციონალურმა მოძრაობამ“ დაარღვია საქართველოს კონსტიტუციითა და ადამიანის უფლებათა ევროპული კონვენციით გათვალისწინებული ადამიანის ძირითადი უფლებები. ამასთანავე, კონსტიტუციურ სარჩელში მითითებულმა ყველა არაკონსტიტუციურმა პარტიამ დაარღვია საქართველოს კონსტიტუციის მე-3 მუხლითა და ადამიანის უფლებათა ევროპული კონვენციით გათვალისწინებული დემოკრატიის არსი, რაც საქართველოს კონსტიტუციისა და საარჩევნო კანონმდებლობის შესაბამისად ჩატარებული საყოველთაო არჩევნების გზით არჩეული ორგანოებისა და თანამდებობის პირების ლეგიტიმურობის აღიარებაზე უსაფუძვლოდ უარის თქმასა და დემოკრატიის მიმართ აშკარა და უხეში უპატივცემულობის გამოვლენაში გამოიხატა.
II. საქართველოს დამოუკიდებლობის ხელყოფა, ქვეყნის ტერიტორიული მთლიანობის დარღვევა
1. 2008 წლის აგვისტოს ომთან დაკავშირებული მოვლენები
„ნაციონალურმა მოძრაობამ“ ხელისუფლებაში ყოფნის დროს საქართველოს დამოუკიდებლობისა და ტერიტორიული მთლიანობის წინააღმდეგ ჩაიდინა არაერთი ქმედება და ამ მხრივ, აშკარა არაკონსტიტუციური საქმიანობა განახორციელა, რამაც დააზიანა საქართველოს ტერიტორიული მთლიანობის მშვიდობიანი გზით აღდგენის პერსპექტივა და ხელი შეუწყო საქართველოს ტერიტორიების ოკუპაციასა და საოკუპაციო ძალის მიერ ოკუპაციასთან მიმართებით პოლიტიკური პოზიციების გამყარებას. კერძოდ, 2004-2008 წლებში საომარ რიტორიკასთან და კონფრონტაციულ ქმედებებთან ერთად აღსანიშნავია შემდეგი ფაქტები:
• 2004 წელს ქალაქ ცხინვალის მიმართულებით შეიარაღებული დაპირისპირება განხორციელდა.
• 2006 წლის 28 სექტემბერს კოდორის ხეობას საქართველოს პრეზიდენტის ბრძანებულებით ეწოდა „ზემო აფხაზეთი“.
• 2006 წლის ნოემბერში საქართველოს იმდროინდელმა ხელისუფლებამ ცხინვალის რეგიონში საქართველოს როგორც დე იურე, ისე დე ფაქტო იურისდიქციას დაქვემდებარებულ ტერიტორიაზე ჩაატარა ალტერნატიული არაკონსტიტუციური არჩევნები, სადაც აირჩა ე.წ. სამხრეთ ოსეთის პრეზიდენტი და მის დაქვემდებარებაში შეიქმნა ე.წ. სამხრეთ ოსეთის ალტერნატიული მთავრობა, რომლის წევრებიც მინისტრებად იწოდებოდნენ. ამით საქართველოს იმჟამინდელმა ხელისუფლებამ ცხინვალის რეგიონში სეპარატისტულ არჩევნებს ირიბი ლეგიტიმაცია შესძინა, რაც საქართველოს სახელმწიფო ინტერესების ღია და უხეში ღალატი იყო.
• 2007 წელს საქართველოს იმდროინდელმა ხელისუფლებამ ყოფილი სამხრეთ ოსეთის ავტონომიური ოლქის ტერიტორიაზე შექმნა დროებითი ადმინისტრაციულ-ტერიტორიული ერთეული და სამართლებრივად აღადგინა სამხრეთ ოსეთის ავტონომიური ოლქის 1990 წელს გაუქმებული საზღვრები.
• აღნიშნული ქმედებების კულმინაცია იყო 2008 წლის აგვისტო, როდესაც საქართველოს იმდროინდელმა ხელისუფლებამ შექმნა ნიადაგი ცხინვალის რეგიონში საოკუპაციო ძალის შესაჭრელად, რის შემდეგაც საქართველოს იმჟამინდელმა ხელისუფლებამ მხარი დაუჭირა ევროპის საბჭოს საპარლამენტო ასამბლეის 2008 წლის 2 ოქტომბრის რეზოლუციას, რომლითაც აღიარა საკუთარი ქმედებებით ესკალაციის ახალ, „ღია და სრულმასშტაბიანი საომარი მოქმედებების საფეხურზე“ გადაყვანა, რუსეთის სამხედრო ინტერვენციას კი „საპასუხო იერიში“ უწოდა.
ამრიგად, „ნაციონალურმა მოძრაობამ“ 2004 წლიდან გეგმაზომიერად და თანამიმდევრულად განახორციელა ქმედებები და ღონისძიებები, რომლებმაც ხელი შეუწყო არა მხოლოდ საქართველოს ტერიტორიების ოკუპაციას, არამედ საოკუპაციო ძალის მიერ ოკუპაციასთან მიმართებით პოლიტიკური პოზიციების გამყარებასაც.
2. 2012 წლის შემდეგ განვითარებული მოვლენები
„ნაციონალურმა მოძრაობამ“ საქართველოს დამოუკიდებლობისა და ტერიტორიული მთლიანობის წინააღმდეგ ქმედებების ჩადენა 2012 წლის შემდეგაც განაგრძო, რაც უკვე მჭიდროდ დაკავშირებულ სხვა არაკონსტიტუციურ პოლიტიკურ პარტიებთან ერთად განახორციელა.
• საქართველოს ტერიტორიული მთლიანობის მშვიდობიანი გზით აღდგენის პერსპექტივის დაზიანება და საქართველოსა და რუსეთს შორის აქტიური საომარი მოქმედებების გაჩაღების მცდელობა-ხელშეწყობა
2022 წელს უკრაინაში რუსეთის შეჭრის პირველივე წუთებიდან გამოვლინდა არაკონსტიტუციური პოლიტიკური პარტიების მიზანი და მცდელობა, რუსეთ-უკრაინის ომის ფონზე, საქართველოსა და რუსეთის ფედერაციას შორის კონფლიქტი მაქსიმალურ ნიშნულამდე გაემწვავებინათ. არაკონსტიტუციური პოლიტიკური პარტიები დღემდე ცდილობენ, საქართველოსა და რუსეთს შორის ვითარება გამწვავდეს იგივე ფორმითა და ხარისხით, რა ფორმითა და ხარისხითაც ამას 2008 წლის ომამდე „ნაციონალური მოძრაობა“ ახორციელებდა.
• საქართველოს დამოუკიდებლობის ხელყოფაში უცხოური ძალისთვის ხელის შეწყობა.
საქართველოს ტერიტორიული მთლიანობის მშვიდობიანი გზით აღდგენის პერსპექტივის დაზიანებასა და საქართველოსა და რუსეთს შორის აქტიური საომარი მოქმედებების გაჩაღების მცდელობა-ხელშეწყობასთან ერთად, 2012 წლის შემდეგ საქართველოს დამოუკიდებლობის ხელყოფის მცდელობა სხვა მიმართულებითაც ხორციელდება; კერძოდ, ეს პოლიტიკური პარტიები ისწრაფვიან, სხვადასხვა საკითხთან მიმართებით უცხოეთიდან „დაისაჯოს“ საქართველოს სახელმწიფო და საქართველოს ხელისუფლება, რათა საქართველოს მოქალაქეებში უკმაყოფილება დაგროვდეს, ისინი მათ მიერ კანონიერად არჩეულ ხელისუფლებას დაუპირისპირდნენ და ეს პროცესები საქართველოს სახელმწიფოს წინააღმდეგ საბოტაჟის მექანიზმად და საქართველოს ხელისუფლებაზე ზეწოლის ბერკეტად იქნეს გამოყენებული. კერძოდ, ეს მცდელობები მოიცავს
• ევროპის კავშირის წევრი სახელმწიფოების ტერიტორიაზე საქართველოს მოქალაქეთათვის უვიზო მიმოსვლის რეჟიმის შემოღებისა და შენარჩუნების საკითხისთვის საზიანო ქმედებებს,
• ევროპის კავშირში საქართველოს გაწევრების მიმართულებით ქვეყნისთვის ხელშემშლელ ქმედებებს,
• საქართველოს სახელმწიფოსა და საქართველოს ხელისუფლებაზე უცხოეთიდან სისტემატური საინფორმაციო თავდასხმებს, სანქციების დაწესების მცდელობებს და ამის ხელშეწყობას.
ამრიგად, 2004-2012 წლებში „ნაციონალურმა მოძრაობამ“ ხელყო საქართველოს დამოუკიდებლობა და მიზანმიმართულად შექმნა ნიადაგი საქართველოს ტერიტორიული მთლიანობის დასარღვევად, ხოლო 2012 წლის შემდეგ ამ პოლიტიკურმა პარტიამ და სხვა არაკონსტიტუციურმა პოლიტიკურმა პარტიებმა განახორციელეს საქართველოს დამოუკიდებლობის ხელყოფისა და ტერიტორიული მთლიანობის დარღვევის მრავალი მცდელობა.
სასარჩელო მოთხოვნა
ზემოაღნიშნული გარემოებები, საქართველოს კონსტიტუციისა და ადამიანის უფლებათა ევროპული სასამართლოს მიდგომების გათვალისწინებით, ერთობლივად ქმნის რამდენიმე არაკონსტიტუციური პოლიტიკური პარტიის აკრძალვის მყარ კონსტიტუციურ საფუძველს.
ამასთან, საერთაშორისო პრაქტიკის მიხედვით პოლიტიკური პარტიის აკრძალვისთვის, მის არაკონსტიტუციურ იდეებთან და ქცევასთან ერთად, მნიშვნელოვანია, რომ კონკრეტულ პარტიას, ჰქონდეს იმის შესაძლებლობა, რომ რეალური საფრთხე შეუქმნას კონსტიტუციურ წყობილებას. ამ მხრივ განმსაზღვრელია პარტიის ზომა, სტრუქტურული ორგანიზება, პოლიტიკური გავლენა. ამიტომ, იმ პარტიების განსაზღვრისას, რომელთა აკრძალვასაც კონსტიტუციური სარჩელით ვითხოვთ, ვისარგებლეთ ორი მთავარი კრიტერიუმით:
1. რამდენად მყარია კონკრეტული პარტიის არაკონსტიტუციურობის სამართლებრივი დასაბუთება,
2. რამდენად უქმნის კონკრეტული არაკონსტიტუციური პარტია მისი ზომით, ორგანიზაციული სტრუქტურით თუ პოლიტიკური გავლენით რეალურ საფრთხეს კონსტიტუციურ წყობილებას.
შესაბამისად, ჩვენი ერთობლივი კონსტიტუციური სარჩელით მოთხოვნილია შემდეგი სამი პოლიტიკური პარტიის არაკონსტიტუციურად ცნობა და აკრძალვა, რომლებმაც საერთო მისწრაფებებით მოქმედი კოალიციური ერთობა და ერთიანი ორგანიზმი შექმნეს და დღესაც ასე მოქმედებენ. ეს პარტიებია (პარტიების რეესტრში მითითებული მათი იურიდიული დასახელებებით):
− მოქალაქეთა პოლიტიკური გაერთიანება „ერთიანობა − ნაციონალური მოძრაობა“,
− მოქალაქეთა პოლიტიკური გაერთიანება „კოალიცია ცვლილებისთვის, გვარამია, მელია, გირჩი, დროა“,
− მოქალაქეთა პოლიტიკური გაერთიანება „ძლიერი საქართველო − ლელო, ხალხისთვის, თავისუფლებისთვის“.
ამასთანავე, გასათვალისწინებელია, რომ ზემოხსენებულ პოლიტიკურ პარტიებთან მჭიდროდ დაკავშირებულია სხვა პოლიტიკური პარტიებიც, როგორებიცაა „ელენე ხოშტარია – დროა“ და „გირჩი – მეტი თავისუფლება“, რომლებიც სინამდვილეში „კოალიცია ცვლილებისთვის, გვარამია, მელია, გირჩი, დროას“ შემადგენლობაში არიან, თუმცა, ფორმალურად, დამოუკიდებელ პარტიებადაც არიან რეგისტრირებული, აგრეთვე „კი ევროპას – სტრატეგია აღმაშენებელი“, „ევროპული საქართველო – მოძრაობა თავისუფლებისთვის“, „ფედერალისტური პარტია“, „საქართველოს რესპუბლიკური პარტია“ და სხვა ფიქტიური, ერთკაციანი და მცირე პარტიები. თუმცა, ვინაიდან მათ ამჟამად, მათი სიდიდით, ორგანიზაციული სტრუქტურით არსებითი გავლენა, მათ შორის, საარჩევნო ბარიერის გადალახვის რეალური პერსპექტივა არ გააჩნიათ, ამ ეტაპზე მათი აკრძალვის აუცილებლობა არ იკვეთება. მათი არაკონსტიტუციურობის საკითხი დღის წესრიგში შეიძლება დადგეს მოგვიანებით, იმ შემთხვევაში, თუ ისინი პოლიტიკურ პროცესზე არსებით გავლენას შეიძენენ.
ზემოაღნიშნული პარტიების არაკონსტიტუციური მიზნების ერთიანობას ადასტურებს შემდეგი გარემოებები:
– აღნიშნული პოლიტიკური პარტიების ხელმძღვანელი პირები „ნაციონალური მოძრაობის“ ან მისი მონაწილეობით შექმნილი საარჩევნო ბლოკის წარდგენით არჩეულ იქნენ სხვადასხვა მოწვევის საქართველოს პარლამენტის წევრებად, ეკავათ სხვადასხვა პარტიული თუ პოლიტიკური თანამდებობა.
– აღნიშნული პოლიტიკური პარტიები წლების განმავლობაში თვისებრივად ერთნაირი პოზიციით წარმოჩინდებოდნენ, ქმნიდნენ საერთო მისწრაფებით მოქმედ კოალიციურ ერთობას და ერთიან ორგანიზმს და დღესაც ასე მოქმედებენ.
ამავე დროს, ჩვენი კონსტიტუციური სარჩელით მოთხოვნილი არ იქნება არაკონსტიტუციური პოლიტიკური პარტიის წარდგენით არჩეული წარმომადგენლობითი ორგანოს წევრების უფლებამოსილების შეწყვეტა, რაც დღევანდელი მდგომარეობით, რელევანტური იქნებოდა მხოლოდ პარტია „ლელოს“ სახელით საკრებულოებში გასულ 59 წევრთან დაკავშირებით. ამით, უპირველეს ყოვლისა, გვსურს, პატივი ვცეთ მათ ამომრჩევლებს და განსხვავებით თავად პარტია „ლელოსგან“, რომელმაც მისი ამომრჩევლისგან მინიჭებულ საპარლამენტო მანდატების მიღებაზე უარი თქვა, საკრებულოებში შევინარჩუნოთ ამომრჩევლის მიერ გაცემული მანდატები.
ასევე, ჩვენი სარჩელი არ შეიცავს არაკონსტიტუციურ პოლიტიკურ პარტიასთან დაკავშირებული პირებისთვის პოლიტიკური საქმიანობის შეზღუდვის მოთხოვნას. როგორც იცით, დღეს კანონმდებლობით განსაზღვრულია მემკვიდრე პარტიის ინსტიტუტი, რომელიც იძლევა უფრო ფართო შესაძლებლობას აკრძალული პარტიებთან დაკავშირებული პირების სამომავლო არაკონსტიტუციური პოლიტიკური საქმიანობის აღსაკვეთად.
AI და მომავლის უნარები – GAIA Meetups Horizons -ის პირველი შეხვედრა გაიმართა – თიბისი

თიბისის მხარდაჭერით, საქართველოს ხელოვნური ინტელექტის ასოციაციამ (GAIA) D ბლოკთან პარტნიორობით, შეხვედრების სერია – GAIA Meetupდაიწყო. რომლის ფარგლებში 25 ოქტომბერს MeetupsHorizons-ის პირველი შეხვედრა გაიმართა.
Meetups შეხვედრები რეგულარულად იმართება და შეკრებების მიზანია მონაწილეების ცნობიერების ამაღლება, ინსპირაცია და პრაქტიკული იდეების გაცვლა იმის შესახებ, თუ როგორ შეიძლება დაინერგოს AI ტექნოლოგიები ბიზნესში, ადამიანებმა კი შეძლონ სწორი კომპტენეციების განვითარება სწრაფად ცვალებად პერიოდში.
GAIA-ს მითაფები ორ ფორმატში ტარდება – Tech და Horizons. Horizons-ის ყოველთვიურ მითაფებზესხვადასხვა სფეროს პროფესიონალები განიხილავენ, როგორ ცვლის AI მათ ინდუსტრიებს, როგორ გამოიყენონ ხელოვნური ინტელექტი უკეთესად თავის საქმეში და რა სიახლეებია AI-ის მიმართულებით.
GAIA Meetups Horizons პირველ შეხვედრაზე InSource-ის მმართველი პარტნიორი, მედეა ტაბატაძემ ისაუბრა AI-ის როლზე თანამედროვე სამყაროში, შრომის ბაზარზე და პროფესიებში და იმ უნარებზე, რომელიც მომავალშიკარიერული თუ პიროვნული წარმატებისთვისაა საჭირო.
„ხელოვნური ინტელექტი არ არის მხოლოდ ტექნოლოგიური ინსტრუმენტი – ეს არის ცვლილება და შესაძლებლობა, რომელიც გავლენას ახდენს ყველა სფეროზე. მნიშვნელოვანია, ადამიანები იყვნენ ღია ახალი ცოდნისადმი და შეძლონ სწორი უნარების განვითარება, რათა AI-ის შესაძლებლობები პირად და პროფესიულ განვითარებაში გამოიყენონ. MeetupsHorizons სწორედ ამ მიზანს ემსახურება – გააღვიძოს ინტერესი, გაზარდოს ცნობიერება და მისცეს მონაწილეებს პრაქტიკული ხედვა მომავლისკენ“ – მედეა ტაბატაძე.
GAIA-სთან თანამშრომლობით, თიბისი აგრძელებს იმ ინიციატივების მხარდაჭერას, რომლებიც ხელს უწყობს AI-ისა და მონაცემთა მეცნიერების სფეროში განათლების ხელმისაწვდომობას, ცოდნის გაზიარებას და პროფესიული ეკოსისტემის გაძლიერებას. ხელოვნური ინტელექტის სფეროში მთავარია გჯეროდეს, იკვლიო, ისწავლო და შექმნა
რუსი ოლიგარქი, სოცკი ჭიათურაში – “წვიმაში ბავშვები ცეკვავდნენ, მღეროდნენ და ჭიდაობდნენ ამ რუსი ნაბი@ვრის თვალწინ…” – ნოდარ ჩაჩანიძე

როცა “ჭიათურის რუკა” ვნახე, ვთქვი რომ ეს დადგმა იქნებოდა, სადაც ბოლოს სკოლის მოსწავლე ბავშვები გაამთლიანებდნენ ამ რუკას… “მთავარი არხის” ფოტოც დავდე რამდენიმე მეგობართან კომენტარში, რომ რეალურად ეს სკოლის დადგმა იყო…
საუკეთესო შემთხვევაში, ვინმე ნიჭიერმა ჭიათურელმა ბავშვმა გაიგო, რომ ჭიათურის მერი რუს ოლიგარქს, მიხაილ სოცკის დაპატიჟებდა ჭიათურობაზე საგულაოდ… ჰოდა ადგა ამან და სოცკის ვაჩვენებ საქართველოს გამთლიანებასო და გააკეთა სკოლამ ეს დადგმა… საუკეთესო შემთხვევაში, მერიაში ვერ მიხვდნენ რომ ეს ფოტო ჯერ არ უნდა გადაეღოთ და მერე არ უნდა დაედოთ… ყველაზე უარეს შემთხვევაზე ბევრს არ დავწერ… აქ ყველა ჩათლახია, სკოლაც, მერიაც და რეჟისორიც… ყველაზე უარეს შემთხვევაში, სუსი რუსულ სტილში ატარებს კიდევ ერთ “შეგუების ოპერაციას” იმ ქალაქში, სადაც უკვე ბევრი ოპერაცია ჩაატარა… ყველაზე უარეს შემთხვევაში “გასუსულ ქალაქში” ისევ გრძელდება ადამიანების და რაც ყველაზე სამწუხაროა ახალგაზრდების “ვერბოვკა”… აპატიეთ საზოგადოებას, რომ ძალიან ბევრმა მართლა დაიჯერა რომ ეს ფოტო მერიამ სპეციალურად დადო… ბევრმა სულ არ იცოდა რაიმე დღესასწაულიდან თუ იყო ეს ფოტო… სწორედ ესაა მთავარი უბედურება ამ ამბავში, ისეთ ქვეყანაში ვცხოვრობთ უკვე, სადაც მართლა ბევრმა დაიჯერა, ასეთ რუკას საჯარო სამსახურში იკადრებდნენო… შეგახსენებთ, ცოტა ხნის წინ, პაპუაშვილმა დაახლოებით ასეთი რუკით ბრიფინგიც ჩაატარა… ჰო გახსოვთ, რაც ხდებოდა და ხდება ჩვენს ქალაქში და სოფლებში, ისეთებს კადრულობდნენ და ისეთებს ვპატიობდით… ბოლოს რუს ბიზნესმენს ისე დახვდა აქაური “სამთავრობო ინწელიგენცია”, რომ მართლა ბევრმა იფიქრა ჭიათურის მერიიდან სოცკის ასიამოვნესო, ცენტრალური ხელისუფლების მიერ დანიშნულ მანგანუმის საბადოების ახალ მმართველს… ბოდიშს ვიხდი პირადად მე იმისთვის, რომ ვფიქრობ ჩემი ბრალიც არის იმ ყველაფერში, რასაც ახლა ამ ქალაქს უკეთებენ (ცუდს ვგულისხმობ და ვინც მხოლოდ კარგს ხედავთ, იქაც იქნება ჩემი და ჩემი მეგობრების წვლილი)… სისტემამ არ გვაპატია ახალგაზრდებს დამოუკიდებელი და თავისუფალი პოლიტიკური ბრძოლა, ყველაფერი დაგვაბრალეს და ყველაფერი იკადრეს… ამაზე აღარ ვისაუბრებ… სისტემა ბევრად უფრო მძიმე გამოდგა რიგითი მოქალაქეების, ახალგაზრდების და განსხვავებული აზრის მიმართ… სისტემა რეჟიმად გადაიქცა… რამდენიმე წლის წინ კიდევ გვჯეროდა, რომ ჭიათურის გადარჩენა შეიძლებოდა ბიძინას ხელისუფლების პირობებში, ახლა რა თქმა უნდა ამის აღარ გვჯერა… მთელი ქვეყანა საქართველოს ოკუპირებულ რუკას აზიარებდა “ჭიათურობა 2025”-დან… ამ დროს კი, ყველას ყურადღების მიღმა დაგვრჩა სხვა ბევრი ფოტო ჭიათურობიდან… როგორ ასეირნებდა ჭიათურის ცენტრში რუს ოლიგარქს ჭიათურის მერი (სხვათა შორის, სოცკისთან ერთად ტყიბულში ეს ყველაფერი ასე ბანძად არავის უკადრია, რაც ჩვენთან ვიკადრეთ, როცა ის ტყიბულში ცხოვრობდა და მუშაობდა)… ყურადღების მიღმა უკვე დიდი ხანია რჩება ნამდვილი ჭიათურის რუკაც… კოსმოსიდან რომ ჭიათურას დახედოთ გუგლის რუკით, ბოლო წლებში მანგანუმის ღია კარიერებით ისეთები დამართეს სოფლებს და ტყეებს, რომ ჩინეთის დიდ კედელზე უკეთ ჩანს კოსმოსიდან (არ ვხუმრობ, ვეღარ ვხუმრობ ჭიათურაზე)… მაშინ, როცა ამ რუკას განვიხილავდით, ყურადღების მიღმა დარჩა, როგორ ააფარეს სატვირთო მანქანები ჭიათურელი მაღაროელების საპროტესტო კარვებს… მაღაროელების პროტესტი დღემდე გრძელდება ქალაქის ცენტეში განლაგებულ კარვებში. ეს ხალხი აპროტესტებს მთავრობის დანიშნული მიხაილ სოცკის მიერ, ცოტა ხნის წინ 2 ათასი მაღაროელის და მათი ოჯახების შემოსავლის გარეშე დატოვებას და შემდეგ მათი მეგობარი მაღაროელების ციხეში ჩასმას… ამ დროს, ყურადღების მიღმა დარჩა ფოტოები, როგორ ელოდებოდნენ ჭიათურელი სკოლის მოსწავლე ბავშვები ქოლგიან სტუმრებს საკმაოდ ძლიერ წვიმაში… ესენი ქოლგებით რომ მოვიდოდნენ, ბავშვები სველი ფორმებით იწყებდნენ ცეკვას, სიმღერას, ჭიდაობას, კრივს და სხვა კულტურულ-სპორტულ დადგმებს…
ამ დროს, ყურადღების მიღმა რჩება, რომ ჭიათურაში ოთხი ათასზე მეტი ბავშვი ცხოვრობს სიღარიბეში და შიმშილში (ოფიციალური მონაცემებით)… დღეს ჭიათურაში “სოცკის რეფორმის” შემდეგ, კიდევ უფრო მეტი ოჯახი და ბავშვი შიმშილობს… და გუშინ ეს ბავშვები და მათი მეგობრები ცეკვავდნენ, მღეროდნენ და ჭიდაობდნენ ამ რუსი ნაბი@ვრის თვალწინ…
პაპუაშვილი: ლელოს აკრძალვის შემდეგ, საკრებულოში ისინი დამოუკიდებელ დეპუტატებად დარჩებიან

თუკი საკონსტიტუციო სასამართლო “ოცნების” სარჩელს დააკმაყოფილებს და “ლელოს” აკრძალავს, პარტიის უკვე არჩეული დეპუტატები საკრებულოებში დამოუკიდებელ დეპუტატებად დარჩებიან, – ამის შესახებ ბრიფინგზე “ქართული ოცნების” პარლამენტის თავმჯდომარემ შალვა პაპუაშვილმა განაცხადა.
“ჩვენი კონსტიტუციური სარჩელით მოთხოვნილი არ იქნება არაკონსტიტუციური პოლიტიკური პარტიის წარდგენით არჩეული წარმომადგენლობითი ორგანოს წევრების უფლებამოსილების შეწყვეტა, რაც დღევანდელი მდგომარეობით, რელევანტური იქნებოდა მხოლოდ პარტია „ლელოს“ სახელით საკრებულოებში გასულ 59 წევრთან დაკავშირებით. ამით, უპირველეს ყოვლისა, გვსურს, პატივი ვცეთ მათ ამომრჩევლებს და განსხვავებით თავად პარტია „ლელოსგან“, რომელმაც მისი ამომრჩევლისგან მინიჭებულ საპარლამენტო მანდატების მიღებაზე უარი თქვა, საკრებულოებში შევინარჩუნოთ ამომრჩევლის მიერ გაცემული მანდატები”, – განაცხადა შალვა პაპუაშვილმა.
ქართულ ოცნებას პარტიების აკრძალვაზე საკონსტიტუციო სასამართლოში სარჩელი შეაქვს.
პარტიები, რომლებსაც აკრძალვას უპირებენ:
სელფი მობაილის გათამაშება: ფულადი პრიზები ₾350,000 საპრიზო ფონდიდან

28 ოქტომბერი, 2025 – სელფი მობაილმა აბონენტებისთვის მასშტაბური წამახალისებელი გათამაშება დაიწყო სადაც მომხმარებლებს შეუძლიათ ყოველ შევსებულ ₾5 დააგროვონ ბილეთები და მოიგონ 5 000, 10 000, 20 000, 50 000 ან 100 000 ლარი.
გათამაშებაში ჩართვა მარტივია – აბონენტს შეუძლია დაადასტუროს მონაწილეობა ერთ-ერთი გზით:
· აკრიფოს USSD კოდი *2525#
· ჩაერთოს MyCellfie აპლიკაციით
· დარეკოს სელფის სატელეფონო ცენტრში – 110101
ბილეთი ირიცხება ყოველ ჯერზე, როდესაც აბონენტი შეავსებს ბალანსს 5 ლარით. მაგალითად, ₾5 შევსებისას მიიღებთ 1 ბილეთს, ₾10 შევსებისას – 2 ბილეთს და ა.შ. იმ შემთხვევაში, თუ ბალანსი ივსება სელფის აპლიკაციით MyCellfie App, ბილეთების რაოდენობა ორმაგდება.
პორტირებული აბონენტები ავტომატურად ერთვებიან გათამაშებაში და საჩუქრად იღებენ 5 ბილეთს.
გათამაშება ტარდება ტელეკომპანია რუსთავი 2-ის და სელფი მობაილის Facebook გვერდის პირდაპირ ეთერში, ყოველ კვირა დღეს, 11:00 საათზე, სადაც ყოველ ჯერზე გამოვლინდება 5 გამარჯვებული და თითოეულს ერგება პრიზად ₾5000. ფინალური ეთერი შედგება 28 დეკემბერს და გათამაშდება:
🏆 3 პრიზი ₾10,000
🏆 1 პრიზი ₾20,000
🏆 1 პრიზი ₾50,000
🏆 მთავარი პრიზი ₾100,000
დამატებითი ინფორმაცია იხილეთ ბმულზე.
ლოიალობის სქემები, ქეშბექები, რომელსაც ბანკები გვთავაზობენ შემცირდება – ექსპერტი საბანკო გადახდების საკომისიოს ზედა ზღვრის დაწესებაზე (bm.ge)

ლოიალობის სქემები, ქეშბექები, ფასდაკლებები, რომელსაც ემიტენტები, ანუ ბარათის გამომშვები მომხმარებლებს სთავაზობენ, რა თქმა უნდა, შემცირდება – ასე აფასებს BTU-ს ასოცირებულ პროფესორი და საგადახდო სისტემების სპეციალისტი მაია ხელაძე ინიციატივას, რომელიც ბარათით გადახდისას საკომისიოს ზედა ზღვრის 0.5%-მდე შემცირებას ითვალისწინებს.
მისი თქმით, ინიციატივის კანონად ქცევის შემთხვევაში, შესაძლოა, მოთამაშეთა ნაწილს ბაზრის დატოვება მოუხდეს, რადგანაც ხარჯების დაბალანსებას ვერ შეძლებენ. მაია ხელაძე განმარტავს, რომ ამ იდეამ ბანკებს, შესაძლოა, ფინანსური რისკი გაუზარდოს. მისი შეფასებით, თუკი ბარათით გადახდისას საკომისიოს შემცირებას ვიზას, მასტერქარდის, ამექსის თუ სხვა პროვაიდერის მხრიდან გაზრდილი ტრანზაქციები ვერ დააკომპენსირებს, ბანკებისთვის ფიქსირებული საკომისიოს დაწესება გამორიცხული არ არის.
“ჩვენ არ შეგვიძლია ამ საგადახდო სქემებთან თანამშრომლობაზე უარის თქმა, იმიტომ, რომ წინააღმდეგ შემთხვევაში, ჩვენ ვერ გავატარებთ ისეთ ოპერაციებს, როგორიცაა Apple Pay თუ GPay – საერთაშორისო ბარათები, რომლებიც შემოდიან და ჩვენს ქსელში ტრანზაქციებს ასრულებენ. ჩვენ ეს გვჭირდება”, – განმარტავს მაია ხელაძე და მიიჩნევს, რომ მნიშვნელოვანია სექტორთან კომუნიკაცია და ბიზნესის აზრის გათვალისწინება.
“ძირითადი, რაც არის, ეს არის საჯარო და კერძო სექტორს შორის კომუნიკაცია. აუცილებელია ძალიან აქტიური კომუნიკაცია ბანკებთან, ამ შემთხვევაში ფინტექებთან, რომელიც შემოვა ამ სისტემაში, იმიტომ, რომ ეროვნულ ბანკს გაჟღერებული აქვს ინიციატივა ადგილობრივი IPS გადახდის სისტემების დანერგვის შესახებ, რომელიც ასევე მომართული იქნება იმაზე, რომ საერთაშორისოდ აღიარებული ტრანზაქციები რაც გვაქვს და რაც ჩვენი მთლიანი ტრანზაქციების 94%-ია, არ წავიდეს ვიზა-მასტერქარდში დასამუშავებლად და ადგილზევე დარეგულირდეს.
ეს მხარე მოსაწესრიგებელი იქნება, რათა ამ ეკოსისტემაში ჩართული მონაწილეების აზრი აუცილებლად იყოს გათვალისწინებული. ასევე, ბიზნესის აზრი – რომელი მტკივნეული ადგილებია მათთვის ისეთი, რომ საკომისიოს ოდენობა დაიწიოს, თუმცა ეს არ/ვერ მოხდება მხოლოდ საკომისიოს დაწევის ეფექტით. მაგალითად, ინდოეთში, სახელმწიფომ სუბსიდირებაც განახორციელა, რომ ეს საკომისიო ზღვარი დაეწესებინა. ამან დადებითი შედეგი გამოიღო, თუმცა ბევრი მოთამაშე გავიდა ბაზრიდან იმიტომ, რომ მათთვის ხარჯი გაიზარდა, შემოსავალი კი იმდენად შემცირდა, რომ ამ ინფრასტრუქტურის მომსახურება არ უღირდათ”, – ამბობს BTU-ს ასოცირებულ პროფესორი და საგადახდო სისტემების სპეციალისტი მაია ხელაძე.
ჯერჯერობით ინიციატივის განხილვა პარლამენტში არ დაწყებულა, შეფასებები არ კეთდება არც საბანკო ასოციაციის მხრიდან. გასულ კვირას საკითხთან დაკავშირებით კომენტარი გააკეთა ეროვნული ბანკის პრეზიდენტმა ნათია თურნავამ, რომელიც ამბობს, რომ კომუნიკაცია ექნებათ საბანკო სექტორთან.
bm.ge
Is Your Google Workspace as Secure as You Think it is?

Chrome Zero-Day Exploited to Deliver Italian Memento Labs' LeetAgent Spyware

Fitbit isn't dead after all – Google just promised more fitness devices are on the way next year
Sweden power grid confirms cyberattack, ransomware suspected
Your iPad could soon get these four ‘pro’ apps from Apple – including a long-awaited Photoshop alternative
I tested the new Insta360 X4 Air action camera, and now I’m addicted to 360 video
EU efforts to reduce reliance on US hyperscalers under fire from those it wants to help
You don't have to wait until Black Friday for great Xbox Wireless Controller deals: these stellar 'Breaker' designs are at their lowest price yet
This gaming headset is so comfortable one customer submitted a picture of their dog wearing it – and right now it's $130 off
Don't wait for Black Friday: the Google Pixel Watch 3 drops to an incredible low price of $199.99
Microsoft sinks to new lows with Bing Wallpaper 'feature' in Windows 11 that'll either confuse or annoy you
Not sold on the DualSense Edge? These alternatives are solid picks to keep an eye out for during Black Friday 2025
The Simpsons is coming to Fortnite for the first time next month – here's everything you need to know about the upcoming mini-season
OpenAI is reportedly working on a 'Sora for music' – and a battle with record labels could follow
Save up to 70% with CORSAIR’s Revival Series
Your Pixel phone might be getting a big customization upgrade soon
Outages in the spotlight: tackling the tech woes causing travel chaos
IT: Welcome To Derry is a welcome expansion of Stephen King’s huge novel – here’s why it’s a must-watch this Halloween
The Samsung Galaxy tri-fold just got officially shown off
How to watch Don’t Date Brandon online: Stream the shocking true crime series from anywhere
Google's Pixel 9 Pro could be your best bet for a powerful new Android phone this Black Friday
Battlefield 6 REDSEC and Season One launch build up: our live coverage of the free to play Battlefield: REDSEC release time, and today's major update
Adobe Firefly Image 5 brings support for layers, will let creators make custom models
Adobe launches AI assistants for Express and Photoshop
PayPal partners with OpenAI to let users pay for their shopping within ChatGPT
Google’s Advice On Canonicals: They’re Case Sensitive
Google's John Mueller said case sensitivity matters and SEOs shouldn't just hope it works.
The post Google’s Advice On Canonicals: They’re Case Sensitive appeared first on Search Engine Journal.
Best Apple AirTag deals to expect for Black Friday 2025
You can already save £40 on a pack of four AirTags, ahead of the sale

© The Independent
Amazon announces 14,000 job cuts in continued AI push
It’s still unclear how the tech giant’s 75,000 UK workers will be affected by layoffs

© AFP/Getty
Brendan Rodgers talked himself into trouble and Celtic chaos could lead to the unthinkable
Rodgers was accused of being ‘toxic’ and ‘divisive’ by Celtic chief Dermot Desmond in an explosive response to his resignation, which leaves an unlikely challenger in pole position for the Scottish title

© Getty Images
Teacher struck off after asking girl to wear uniform for sex
Benjamin Hiscox was working as a maths teacher when he engaged in an inappropriate sexual relationship with the child

© Google Maps
Jimmy Lai’s son sends message to Trump before key summit: Please convince Xi Jinping to free my father
Exclusive: Son of British media tycoon welcomes US president’s promise to raise issue during Thursday’s landmark meeting

© AFP via Getty Images
Embrace stew season with 25% off our favourite slow cooker at Amazon
Cook up delicious winter-warmers for less with this tried-and-tested appliance

© The Independent
How safe is a cruise ship in a storm?
As Caribbean sailings are affected by Hurricane Melissa, cruise expert Marc Shoffman explains how ships cope with extreme weather

© Getty Images
Prunella Scales death: Fawlty Towers actor dies aged 93
Actor was best known for playing the bossy wife to John Cleese’s eccentric hotelier Basil Fawlty in the acclaimed BBC sitcom

© Getty Images
Enzo Maresca: I must continue to protect players as Chelsea battle on all fronts

© PA Wire
Indian authorities begin controversial cloud-seeding experiment over New Delhi
It is hoped that cloud-seeding over New Delhi will clear the city’s toxic air

© REUTERS
The improvements Wardley showed to beat Parker... and how he could use them to stun Usyk
Fabio Wardley stopped Joseph Parker to produce a career-best upset win to become WBO interim heavyweight champion, but how did Wardley overcome someone with Parker’s wealth of experience?

© Queensberry/Leigh Dawney
Netanyahu fury as Hamas sends ‘additional’ remains of dead hostage already returned in ‘violation of ceasefire’
Hamas and Israel continue to clash over the 13 bodies of hostages still held in Gaza

© X/@IsraelMFA
French senators say security at the Louvre is 'not in line' with modern standards and demand action

© Copyright 2025 The Associated Press. All rights reserved.
A federal agent's daring plan: Recruit Maduro's pilot to turn on the Venezuelan leader

© ASSOCIATED PRESS
Martin O’Neill stunned by Celtic return after 20 years: ‘Is this real?’
The 73-year-old will take charge on an interim basis alongside former player Shaun Maloney following Brendan Rodgers’ sudden departure

Spectacular painting could sell for £22.5m at auction

© Jonathan Brady/PA
Jeremy Corbyn to play ‘Wizard of Oz-lington’ in Christmas pantomime
‘Local theatre is where the real wizardry happens – sparking imagination and spreading a bit of joy’, the Islington North MP said

© X/ @ThePleasance
Prunella Scales on how Timothy West marriage remained unchanged over 60 years
Prunella Scales reflected on how her marriage to Timothy West remained unchanged over 60 years in a moving 2023 interview.

© PA Archive
Surfshark VPN review 2025: This simple, high-speed VPN is one of the best
I tested the Surfshark VPN abroad for online safety and streaming Netflix – here's my review

© iStock/PonyWang/Surfshark
18 best champagnes taste tested by a wine expert, from supermarket to luxury fizz
From Lidl to Laurent Perrier, these are the finest bubbles for any occasion

© Emma Henderson/The Independent
Scientists uncover decades-long secret of mysterious lights in space

© Solano et al. (2024) via Scientific Reports
HMRC froze 23,000 families’ child benefit over incomplete travel data
One mother saw her child benefit stop after a trip lasting less than 24 hours

© Getty Images
Migrant sex offender Hadush Kebatu is second person to be freed by mistake from HMP Chelmsford
The prison staff at HMP fell for a fake email posing from the Royal Courts of Justice

© Getty
Is it safe to travel to Jamaica during Hurricane Melissa – and what should I do if I’m trapped on holiday there?
The Jamaican government has closed its international airports until further notice

© AP
Paddy Pimblett reacts to Tom Aspinall injury after eye poke ends UFC 321 main event
Pimblett weighed in on his fellow Briton’s outing on Saturday, as Aspinall’s first undisputed title defence ended in concerning fashion

© AFP via Getty Images
Prunella Scales, who played Sybil in British sitcom 'Fawlty Towers,' dies at 93

© Copyright 2005 The Associated Press. All rights reserved.
The unique human body part that evolution cannot explain
The human chin has long been fertile ground for arguments between scientists over its purpose

© Getty/iStock
Kenya plane crash leaves ‘no survivors’ as 12 people killed

© Copyright 2025 The Associated Press. All rights reserved.
Valentin Vacherot sets up another all-cousin clash with Arthur Rinderknech at Paris Masters
The cousins are set for a rematch in Paris a couple of weeks after their fairytale final in Shanghai

© AFP via Getty Images
F1 cost cap results revealed – with ‘procedural breach’ announced by FIA
The long-awaited findings for the 2024 budget cap have been published by the sport’s governing body

© Getty Images
TikTok star Ben Bader’s girlfriend pays tribute after influencer dies aged 25
Bader - who had more than 200,000 followers - passed away in Miami, his girlfriend Reem said

© YouTube/ Ben Bader
Made in Chelsea star Sam Vanderpump reveals ‘end-stage liver disease’ diagnosis
Reality star was previously rushed to hospital with sepsis that led to liver and kidney failure

© E4
Amazon cutting 14,000 corporate jobs amid AI investment push

© PA Wire
Jamaican prime minister implores public to shelter from Hurricane Melissa as some refuse evacuation
Jamaica's prime minister implored residents to evacuate as Hurricane Melissa began lashing the island with violent gusts on Monday (October 27) as it approached landfall.

© Reuters
How to watch all the Marvel movies in chronological order based on the MCU timeline
From ‘Captain America: The Winter Soldier’, right up to ‘Brave New World’

© Marvel Studios/Marvel/The Independent
Why did Halloween seem to start earlier this year? A business expert explains
What’s changed isn’t just when we celebrate but how: Halloween has evolved from a simple folk tradition to a commercial event

© AP
Thorpe Park discount codes – save £30 on tickets in November 2025
Enjoy a fun-filled day out for less with these Thorpe Park promo codes
.jpeg?width=1200&auto=webp&crop=3%3A2)
© Thorpe Park
Dad loses so much weight on Mounjaro that he needs a new passport
Airline staff didn’t recognise Mark Spurr in his old photo after he shed 13 stone

The best riads in Marrakech to stay in for winter sun
Riads offer a serene escape from the bustling city, allowing guests to live among remarkable Moroccan craftsmanship and design

© Clemente Vergara
From rare earths to Russian oil, here’s what Trump hopes to get out of meeting Xi Jinping
Experts do not expect US and China to resolve all their issues before the two presidents meet, but they are hoping for enough progress to stop the rivalry from doing more global economic damage. Alisha Rahaman Sarkar reports

© POOL/AFP/AFP via Getty Images
How Americans will be celebrating Halloween, according to a new AP-NORC poll

© Copyright 2025 The Associated Press. All rights reserved.
New research reveals why exercise may not lead to weight loss
In theory, if you consume fewer calories than you burn, you’ll lose weight. In practice, though, this isn’t as straightforward

© Getty/iStock
Kelsey Grammer, 70, welcomes baby number eight with wife Kayte
Grammer has four adult children from previous relationships and now four pre-teens with Walsh

© Getty
How you could have turned $1,000 in 2010 into $466.8 million today
Experts crunched the numbers on a range of investment options to see how they have performed since 2010

© Getty/iStock
The winter sun holiday destinations that are only a few hours away
These winter sun destinations are perfect for beating the winter blues – and take only a few hours to fly to

© Getty Images
Free Spins No Deposit Bonus: Top 5 UK Casino Free Spins 2025
All you need to know about the best free spin no deposit offers at UK casinos

© Independent
Hegseth refuses to meet American troops with beards during South Korea trip: report
Secretary of War continues campaign against facial hair on Pacific tour

© Getty
IPVanish review 2025: I’ve found one of the best VPNs for gaming
Uncapped speeds and low latency make this VPN ideal for online gaming

© The Independent
Theresa May slaps down Robert Jenrick for turning judges into ‘villains’
The former prime minister also warned the Tories must stop chasing the Reform party

© PA
‘No survivors’ after tourist plane crashes en route to Kenya safari reserve
Officials are at the scene investigating the cause of the crash

© REUTERS
Dubai on a budget: How to visit the winter sun destination for less
It’s still possible to enjoy the UAE city with budget in mind, says Rebecca Black

© Getty/iStock
Rachel Reeves faces new £20bn Budget blackhole
A downgrade in the productivity figures could leave Reeves with a bigger fiscal gap

© PA
Caroline Flack’s mother wants to ‘set record straight’ in new documentary about presenter’s death
‘They wouldn’t let me touch her. I’ll never forget that,’ says Christine Flack

© Getty Images
Starmer hopes £8bn Typhoon jet deal with Turkey is ‘not a one-off’

© PA Wire
Family of Bella Culley pay £140k in bid to free pregnant teen held for drug trafficking
Bella Culley was detained on drug trafficking charges earlier this year

© AP
The mistakes to avoid this Halloween if you want your children to sleep
Here’s how you can all get some shut-eye on the spookiest night of the year
.jpg?width=1200&auto=webp&crop=3%3A2)
© Getty/iStock
Record rainfall causes major flooding in Vietnam, submerging ancient sites

© VNA
How global warming has intensified Hurricane Melissa: An expert explains
Increasingly warm oceans resulting from global warming are a key reason for Hurricane Melissa's wind speed doubling in less than 24 hours over the weekend, climate scientists have said.

© NOAA
The lesser-known tropical island that’s perfect for a winter getaway
All the tranquility of a Caribbean holiday without the crowds, finds Sarah Marshall on a trip to Principe

© Alamy/PA
The Maldives-like destination that’s perfect for some winter sun (and closer to home)
Side in Turkey is an increasingly popular place for a winter getaway

© Bijal/PA
Will Osula could be the ‘complete package’ for Newcastle – Eddie Howe

© PA Wire
UN peacekeepers shoot down Israeli drone amid tensions in Lebanon

© 2025 The Associated Press.
Chris Sutton picks his next manager of Celtic after shock Brendan Rodgers exit
Former Celtic star Chris Sutton has revealed who he thinks would be a “smart appointment” as the club’s new manager after the shock resignation of Brendan Rodgers.

© PA
British holidaymaker stranded by Hurricane Melissa describes ‘undercurrent of panic’ in Jamaica
A British holidaymaker trapped in Jamaica has described how there is an "undercurrent of panic" on the island as Hurricane Melisaa is set to make landfall on Tuesday (28 October).

© Sky
Inside the record-breaking World Series epic

© Copyright 2025 The Associated Press. All rights reserved
How one 15 minute walk a day could cut your risk of heart problems
Walking for 15 minutes a day continuously could cut he risk of cardiovascular disease by two thirds, study finds

© Getty Images
‘CIA-funded false flag attack’ on US warship has been foiled, claims Venezuela

© 2025 The Associated Press
How much it costs to run a dehumidifier, according to experts
These versatile machines can also dry laundry at a lower cost than a tumble dryer

© Getty Images
Harsh reality of women farming seaweed for beauty products revealed

© Copyright 2025 The Associated Press. All rights reserved
The spooky origins of our modern Halloween rituals
The pagan festival of Samhain has been celebrated for at least 2,000 years

© Getty
Will the Sony WH-1000XM6 headphones go on sale for Black Friday 2025?
The flagship wireless headphones from Sony could receive their biggest price cut so far this November

© The Independent
Human Rights Foundation Grants 1 Billion Satoshis to 20 Freedom Tech Projects Worldwide
Bitcoin Magazine

Human Rights Foundation Grants 1 Billion Satoshis to 20 Freedom Tech Projects Worldwide
The Human Rights Foundation (HRF) has announced a new wave of funding through its Bitcoin Development Fund (BDF), distributing 1 billion satoshis — approximately $1.1 million USD — to 20 projects around the world.
The grants, awarded to developers, educators, and activists spanning Asia, Africa, Latin America, and Europe, aim to strengthen Bitcoin’s role as a tool for human freedom and resistance to financial repression.
HRF has a mission to empower people living under authoritarian regimes through open-source technologies that enable private communication, censorship-resistant finance, and decentralized coordination.
Since launching the Bitcoin Development Fund in 2020, HRF has provided more than $9.6 million in Bitcoin to 319 projects across 62 countries.
The foundation’s approach merges human rights advocacy with technical development, supporting builders who are creating practical tools for dissidents, journalists, and ordinary citizens in repressive environments.
“Bitcoin is more than just a monetary innovation,” HRF said in a statement. “It’s a survival mechanism for billions of people living without political or economic freedom.”
This round of grants supports projects advancing everything from core Bitcoin development and mining decentralization to regional education and financial autonomy programs. Each reflects a piece of a larger puzzle: a global freedom technology ecosystem built on Bitcoin’s permissionless infrastructure.
Human Rights Foundation Grant Recipients
Nymius: Bitcoin’s transparent ledger is essential to its design, but it also exposes dissidents to surveillance from authoritarian states seeking to monitor transactions and networks. Silent Payments enables individuals to receive Bitcoin through unique, one-time addresses derived from a static public key, but its effectiveness depends on wallet adoption. Nymius, a Bitcoin Dev Kit (BDK) contributor, will integrate Silent Payments into the BDK. With this grant, dozens of wallets and applications built with the BDK will be able to offer users greater financial privacy.
Daniela Brozzoni: Bitcoin nodes (computers running the Bitcoin software) reveal user metadata when connecting with one another. This opens the door for regimes or hackers to track or isolate activists and dissidents running Bitcoin nodes. Daniela Brozzoni is a Bitcoin Core developer who has been researching this vulnerability and publishing mitigation proposals to counter the tactics. With this grant, she will gather community feedback and implement fixes to make the network safer.
Build on Bitcoin (BOB) Buidlers Residency: Every day, users often find freedom technologies difficult to use, which limits their accessibility and impact. BOB Buidlers Residency in Bangkok has supported three cohorts of free and open-source developers to advance Bitcoin’s privacy, decentralization, and mining. With HRF’s funding, a fourth cohort of four developers will improve usability across Bitcoin, Lightning, nostr, and ecash, making freedom tech more accessible to those who need it most.
2140 Foundation (Stichting 2140): Bitcoin developers, especially those in autocratic countries, often struggle with burnout, isolation, and a lack of incentives to complete long-term projects. The 2140 Foundation, founded by open-source developers Josie Baker and Ruben Somsen, is a co-working space in Amsterdam that provides mentorship, collaboration, and employment to global contributors advancing Bitcoin’s long-term security, resilience, and scalability. With HRF funding, the foundation will support the work of developers from authoritarian states to strengthen Bitcoin as a human rights tool.
Cashu for Community Sovereignty: In many parts of Latin America, governments restrict financial flows by blocking payments, freezing accounts, and, at times, disrupting internet access. Cashu for Community Sovereignty, founded by Forte11, addresses this with ecash, which enables quick and private payments that even work offline. The initiative will train 10 communities in authoritarian environments to deploy Cashu mints and Lightning Network nodes. With this funding, communities facing repression will develop a stronger infrastructure for financial freedom.
Bhartiya Bitcoin: As India advances a central bank digital currency (CBDC) and financially represses political opposition, Bitcoin offers a path to financial freedom. However, education is often inaccessible to non-English speakers. Bhartiya Bitcoin produces free, culturally relevant Bitcoin content in Hindi, Marwari, Sindhi, and Assamese. With HRF support, Bhartiya Bitcoin will expand into Marathi, Bengali, Gujarati, Kannada, and Malayalam to make Bitcoin more accessible to the more than 1.4 billion people living under increasingly autocratic rule in India.
Bitcoin Education for Lebanon’s Liberty & Empowerment (BELLE): In Lebanon, a collapsing currency, banking restrictions, and asset confiscations have stripped people of financial stability. The Lebanese Institute for Market Studies is launching BELLE, a project to teach political activists and youth to use Bitcoin to preserve their purchasing power. With HRF support, BELLE will provide Arabic-language workshops, educational videos, and media outreach to strengthen individuals’ ability to resist financial repression and secure their financial futures.
Bitcoin Arusha: Tanzania’s government restricts the use of foreign currency and limits dissidents’ banking access, while the local currency depreciates, leaving many citizens trapped in a cycle of poverty. To alleviate this, Bitcoin Arusha provides culturally rooted, Swahili-language Bitcoin education in northern Tanzania through music, dance, and events. HRF support will strengthen Bitcoin Arusha’s resilience and empower communities through economic opportunities.
Bitcoin for Fairness: Human rights defenders and non-governmental organizations (NGOs) often lack the knowledge to use Bitcoin to bypass repressive financial restrictions. Bitcoin for Fairness (BFF) is an educational initiative that disseminates Bitcoin knowledge to the global majority. In 2026, BFF will focus its initiatives in Zimbabwe, Mozambique, and Zambia – countries scarred by currency crises and periods of one-party rule – and deliver workshops, micro-seed funding, mentorship, and educator training. With HRF funding, BFF will empower activists and civic organizations in Southern Africa with censorship-resistant, permissionless financial tools.
Exile Hub: Burma’s military junta uses financial repression, exile, and imprisonment to crush peaceful resistance. Exile Hub’s Bitcoin for Exiles initiative will pilot a Bitcoin-based financial autonomy program designed to meet the needs of Burma’s democratic movement. With HRF support, the program will offer training, privacy-focused toolkits, and workshops to equip dissidents within Burma and in exile with the tools to survive, organize, and resist the junta’s financial repression.
Alberto Gangarossa: Today, most Bitcoin mining hardware relies on closed-source software that can expose user data and create dependence on third parties. Pluto, built by developer Alberto “Derek” Gangarossa, is the first open-source mining fleet management platform that gives miners control over their operations without third-party dependence. With HRF support, Pluto will empower individuals in repressive environments to mine Bitcoin privately, independently, and securely, further decentralizing the Bitcoin network.
WantClue: Bitcoin mining is dominated by industrial operations that use proprietary hardware and software. Over time, this could put Bitcoin’s decentralization and accessibility at risk. Bitaxe counters this trend by providing an affordable and open-source miner for individuals. WantClue maintains the Bitaxe firmware and produces educational content that makes mining more accessible to dissidents and individuals in closed societies. With HRF support, WantClue will strengthen mining decentralization and expand access to self-sovereign financial infrastructure for those under repression.
Peter Tyonum: Developers in adverse political and economic environments need accessible and secure wallet software infrastructure to build freedom tools. Developer Peter Tyonum contributes to the BDK, which abstracts wallet software into usable plug-and-play components and makes it easier for developers to create censorship-resistant tools. With this grant, Tyonum will continue to help developers worldwide create accessible, permissionless Bitcoin applications.
BitScript: An inclusive developer base is essential to Bitcoin’s long-term decentralization. BitScript, a free, open-source Bitcoin developer education program, trains developers in authoritarian and inflationary environments across Latin America and Africa to build protocol-level freedom technologies. Global development helps ensure that Bitcoin serves as a lifeline for people facing repression. HRF’s grant will help BitScript democratize protocol knowledge to ensure the network reflects global needs.
Code Orange Dev School: Many regions lack the technical education to build, maintain, and use Bitcoin. To address this, the Code Orange Dev School in Indonesia teaches developers and individuals across Asia to contribute to open-source Bitcoin projects, run nodes, and use privacy-enhancing tools like ecash, fedimint, and nostr. HRF’s support will help equip communities with tools to resist authoritarianism.
Demo Lab: As authoritarian governments in Latin America tighten their grip on financial and political power, there is an urgent need for civic and financial education. Demo Lab’s Freedom Academy introduces Bitcoin as a tool for financial independence and teaches practical skills for saving and transacting securely. Through this grant, the Freedom Academy will prepare the next generation of Latin Americans to defend democracy and achieve economic sovereignty.
Nostr under Autocracy: In Venezuela, Nicolás Maduro’s brutal dictatorship restricts traditional communication channels, prevents journalists from exposing the regime’s brutality, and financially suppresses civil society. Nostr under Autocracy, led by democracy activist Jesús González, will train Venezuelan activists and human rights defenders to use the open-source nostr protocol for private, censorship-resistant communication and payments. With HRF support, this project will help Venezuelan dissidents speak freely online and build movements to resist Maduro’s digital and financial repression.
KernelKind: Dictators restrict communication, manipulate online content, and restrict dissidents’ financial access to silence dissent. Notedeck is a Nostr browser created by Damus that makes it easier to build censorship-resistant apps with integrated Bitcoin payments. Its first app, Columns, introduces modular feeds and a marketplace for user-controlled algorithms, while Dmail will enable private, decentralized messaging with email interoperability. With this grant, Notedeck will continue to merge censorship-resistant communication with financial freedom and foster an ecosystem of apps for dissident communications and transactions.
Eric Holguin: Many people living under authoritarian regimes face censorship, Internet shutdowns, and frozen bank accounts that cut them off from communication and commerce. Nostr developer Eric Holguin is working to build censorship-resistant apps with integrated Bitcoin payments by contributing to Damus and Nostr projects that empower individuals to communicate and transact without centralized control. With this grant, he will continue expanding free speech and financial freedom tools for people resisting repression worldwide.
Craig Warmke and Troy Cross: As authoritarian regimes expand financial surveillance and roll out central bank digital currencies (CBDCs), many people remain dangerously unaware of their risks to individual liberties. Transactional Freedom, a forthcoming book co-written by philosophers Craig Warmke and Troy Cross, makes the moral and legal case for recognizing a universal and constitutional right to transact. With HRF support, Warmke and Cross will examine financial repression in authoritarian regimes and its impact on human rights, activism, and financial freedom.
Together, these 20 grantees form a diverse coalition of builders, thinkers, and educators working to fortify Bitcoin’s role as a global freedom network. While their methods vary — from protocol research to street-level education — their shared mission is clear: to ensure that financial and informational freedom remain accessible to everyone, everywhere.
This post Human Rights Foundation Grants 1 Billion Satoshis to 20 Freedom Tech Projects Worldwide first appeared on Bitcoin Magazine and is written by Micah Zimmerman.
Był oskarżony o gwałt, został kaznodzieją. Dani Alves mówi o pakcie z Bogiem

Gorące komentarze po rozprawie w procesie Grodzki - Sakiewicz. "Strach, co będzie dalej"

Sąd przesłucha kolejnych świadków za rok. "Wszyscy pacjenci wiedzieli, ile komu trzeba dać"

Co stanie się z wozami strażackimi dla OSP? Rzeczniczka Żurka nie wiedziała, co odpowiedzieć!

PILNE: Żurek złożył wniosek o uchylenie immunitetu Zbigniewowi Ziobrze. Chce jego aresztowania

Przebrał się za postać z horroru i... zaglądał w okna domu! [WIDEO]

Żebrowscy z dziećmi utknęli na Jamajce. To tam już dziś ma uderzyć huragan Melissa

Widzowie Republiki nie posłuchali posła Zembaczyńskiego. Ich odzew pozytywnie zaskakuje [WIDEO]

Sędzia, która krytykowała bezprawie Tuska, dostała zarzuty dyscyplinarne! "Nierówne standardy"

Minister od Tuska: Koniec mrożenia cen energii. Od stycznia czekają nas podwyżki?

Europoseł z Francji mówi o nowej "zbrodni". Wolność słowa zagrożona [WIDEO]

Skandal wokół sprzedaży działki pod CPK. PiS powoła specjalny zespół!

Katastrofa samolotu. Zginęło kilkanaście osób [ZDJĘCIA]

Prezes PiS pojawi się na Marszu Niepodległości? Jest konkretna deklaracja!

Adam Małysz o wielkiej nadziej polskich skoków. To może być następca Kamila Stocha

Czy tata Luny kupił jej karierę? Keczupowa księżniczka w roli głównej

Trzaskowski miał iść w Marszu Niepodległości. Po kampanii - zmienił zdanie!

Francuski kolarz uwolniony przez Rosjan: "Wszyscy, których spotkałem byli przestępcami"

Korona Blanki de Valois

Ponowne próby cenzury w Internecie? Były premier przypomina protesty z 2012 roku [WIDEO]

Powódź, sztorm i silny wiatr. Jamajka szykuje się na Melissę

Niemcy chcą zniesienia sankcji dla rosyjskiego giganta. Poseł PiS mówi "sprawdzam" rządowi Tuska [ZOBACZ]

Światowy gigant planuje zwolnić kilkadziesiąt tysięcy pracowników

Queerowe "nabożeństwo" w niemieckim kościele. Wszystko transmitowała telewizja publiczna

Poseł KO atakuje Polski Komitet Olimpijski. O co chodzi Tajnerowi?

SanDisk Extreme Pro with USB4 (2 TB) review: Bursty USB4 speed, but not great for pros
Nearly 90% of Windows Games now run on Linux, latest data shows — as Windows 10 dies, gaming on Linux is more viable than ever
RTX 4090 laptop GPU gets 20% performance boost after shunt mod, beats the mobile RTX 5090, on average — reduced resistance boosts power to 240W
Unlucky buyer purchases external Seagate HDD, gets an SD card glued inside a plastic shell
SK hynix unveils AI NAND strategy, including gargantuan petabyte-class QLC SSDs — ultra-fast HBF and 100M IOPS SSDs also in the pipeline
China builds brain-mimicking AI server the size of a mini-fridge, claims 90% power reduction — BI Explorer 1 packs in 1,152 CPU cores and 4.8TB of memory, runs on a household power outlet
Intel's revolutionary 54-year-old 4004 chip was the world's first programmable microchip — 2,300-transistor 10,000nm processor exposed
Scientists claim you can't see the difference between 1440p and 8K at 10 feet in new study on the limits of the human eye — would still be an improvement on the previously-touted upper limit of 60 pixels per degree
Beyond LLMs: Crafting Robust AI with Multi-Method Agentic Architectures
The post Beyond LLMs: Crafting Robust AI with Multi-Method Agentic Architectures appeared first on StartupHub.ai.
“Large language models have well-known issues and constraints. And so if you want to solve complex problems, you’re going to want to adopt what’s called multi-method agentic AI, which combines large language models with other kinds of proven automation technologies so that you can build more adaptable, more transparent systems that are much more likely […]
The post Beyond LLMs: Crafting Robust AI with Multi-Method Agentic Architectures appeared first on StartupHub.ai.
Google Arts & Culture Elevates Virtual Travel with AI Tours
The post Google Arts & Culture Elevates Virtual Travel with AI Tours appeared first on StartupHub.ai.
Google Arts & Culture is redefining virtual exploration with new AI tours for North Gyeongsang, South Korea, featuring interactive, Gemini-powered commentary.
The post Google Arts & Culture Elevates Virtual Travel with AI Tours appeared first on StartupHub.ai.
Nvidia’s AI Imperative: Beyond Moore’s Law, Network is the New Compute
The post Nvidia’s AI Imperative: Beyond Moore’s Law, Network is the New Compute appeared first on StartupHub.ai.
Michael Kagan, CTO of Nvidia and co-founder of Mellanox, recently engaged in a candid discussion with Sonya Huang and Pat Grady at Sequoia’s Europe100 event, offering profound insights into Nvidia’s meteoric rise as the architect of AI infrastructure. His commentary illuminated the pivotal role of the Mellanox acquisition in transforming Nvidia from a mere chip […]
The post Nvidia’s AI Imperative: Beyond Moore’s Law, Network is the New Compute appeared first on StartupHub.ai.
Isle of Wight Festival Tourism Impact: All You Need To Know

The Isle of Wight Festival, one of the UK’s most iconic and long-running music festivals, has been granted a renewed licence until 2033, securing its position as a key driver of tourism and cultural activity on the island. This decision marks a significant step forward in ensuring the festival’s longevity and its continued contribution to the island’s economy and tourism sector. As the festival becomes an increasingly important attraction, it continues to draw a global audience, creating opportunities for local businesses and fostering growth in the region.
Isle of Wight Festival: A Significant Economic Driver
The Isle of Wight Festival is more than just a musical event—it has become a major economic driver for the island. According to the Isle of Wight Council’s recent report, the festival contributes an estimated £15 million annually to the local economy. The renewal of the festival’s licence is expected to continue to generate substantial revenue, as it attracts thousands of tourists each year. Travelers from across the UK and around the world descend on the island to enjoy the vibrant atmosphere, top-tier performances, and the scenic surroundings.
The festival’s economic impact extends beyond ticket sales. Hotels, restaurants, shops, and local transportation all benefit from the influx of visitors. With its new licence in place, the Isle of Wight Festival is poised to remain a central component of the island’s tourism strategy for years to come. The decision to extend the festival’s agreement until 2033 also includes an option to extend it further until 2036, ensuring long-term planning for local businesses and tourism initiatives.
Isle of Wight Festival Enhances Island’s Cultural Appeal
As a globally recognized event, the Isle of Wight Festival attracts a diverse range of visitors, from die-hard music fans to casual tourists seeking a unique cultural experience. The festival is not only about the music—it also celebrates the island’s natural beauty, its rich history, and its sense of community. For travelers, the Isle of Wight provides a perfect combination of entertainment and exploration. Visitors can enjoy world-class performances while taking in the stunning coastal views, charming villages, and scenic hiking trails.
The renewal of the Isle of Wight Festival’s licence also consolidates the use of key festival sites, such as the Seaclose and Newport Quay tennis courts, which have hosted festival activities for years. By bringing these locations under a single festival agreement, the council ensures that the event will be more organized, streamlined, and capable of growing in both scale and impact. The agreement allows for better management of these popular festival sites, helping to maintain the island’s environment while supporting its vibrant tourism sector.
Isle of Wight Festival: Communal Unity And Strengthened Relationships
The Isle of Wight Festival has always been mindful of its relationship with the local community. While the event has occasionally faced criticism from certain groups, the Isle of Wight Council’s report highlighted that any adverse impacts have been mitigated through careful planning and consultation. The festival’s ability to adapt and evolve in response to local concerns has been a key factor in its enduring success.
The new long-term agreement ensures that the Isle of Wight Festival will continue to evolve with the community’s needs in mind. Plans are in place to ensure that the festival continues to deliver positive outcomes for the island, with new strategies being put in place to address any potential concerns. This collaborative approach between the festival organizers, the Isle of Wight Council, and the local community will guarantee that the event remains an asset to the island for generations to come.
A Must-Visit Event for Global Tourists
For international travelers looking to experience a lively and culturally rich event, the Isle of Wight Festival is the perfect destination. With its stunning location and rich history, the festival offers a truly unique atmosphere that combines music, arts, and the natural beauty of the island. The long-term extension of the festival’s licence ensures that future generations will continue to enjoy this world-class event, making the Isle of Wight an even more attractive destination for tourists from around the world.
Whether you are a music enthusiast or a traveler seeking an unforgettable cultural experience, the Isle of Wight Festival provides an opportunity to explore a beautiful part of the UK while enjoying world-class entertainment. This event, alongside the island’s picturesque landscapes and welcoming community, makes the Isle of Wight an essential stop for any traveler looking for a truly memorable experience.
The post Isle of Wight Festival Tourism Impact: All You Need To Know appeared first on Travel And Tour World.Embark on an Adventure in Belize: Nature, History, and Culture Come Together

Though Belize flies under the radar for many as a travel destination, it has garnered a reputation for adventure tourism as of late. Thanks to the breathtaking wildlife, diverse culture, and stunning natural beauty of Belize, those who are passionate about nature and adventure will be equally thrilled by the snorkelling, hiking, and culture immersion that the country has to offer.
Perhaps the most thrilling aspect of Belize is the chance to experience the country’s thriving ecosystems. There is a plethora of activities that are as adventurous as they are natural, like the tropical rainforests and stunning coral reefs, the country is famous. There are a multitude of reasons that make Belize a prime destination for eco-tourism and outdoor adventure, the most alluring of which is the country’s diverse ecosystems and relatively small size.
Snorkelling and Lobster Hunting in Moho Caye
In the southern region of Belize, Moho Caye is famous for providing an experience like none other. A twenty-five-minute small boat ride from the Placencia Peninsula will land you on an island that is a dream come true to those who want to experience the real sea-to-spoon concept. Lobster hunting, as a part of the Shrimpers BBQ which is served on the island, is an experience in snorkelling in the exceptionally clear water that surrounds the island.
Under the guidance of CEB’s Akeem Williams and other local experts, travelers deeply immerse themselves in Belize’s marine life and the culture of the indigenous Garifuna.
The Garifuna, who have a strong attachment with the ocean and a rich heritage of storytelling, recount tales of the life-giving reefs that surround them. These tours provide opportunities to culturally engage while diving, lobster hunting, and partaking in a delicious meal of freshly caught seafood.
Placencia: A Relaxed Coastal Destination
Most travellers, prior to reaching Moho Caye, pass through Placencia Peninsula, a chilled coastal town in the south of Belize. This coastal town, with its vibrant dips and dunes of sand and serenity, is famous for its beaches and slow rhythm of life. Placencia has been called the starting point of adventure tourism in this region. A Tropic Air flight from Belize City takes a quick 20 minutes, while by road, it takes 5 hours winding through forest and citrus.
The mesmerising nature of Placencia is due to its serene beaches and welcoming inhabitants, as well as the proximity of the Belize Barrier Reef, the Silk Cayes, and the Monkey River. Placencia is ideal for travelers who wish to unwind amidst a natural environment and serves as a base for numerous Belize excursions. Placencia has a range of lodgings from beachfront resorts to eco-lodges. Placencia has a relatively untrammelled wilderness so is ideal for tourists interested in relaxation and adventure.
Sustainable Travel and Adventure Tourism
Belize has emerged in recent years as a leader in sustainable travel and eco-tourism. This is due to the efforts of the country to conserve its diverse ecosystems, like the barrier reef and the diverse ecosystems of the surrounding land and sea. Active eco tourism has facilitated the development of responsible tourism in Belize is known for today. Tourists can partake in numerous activities like wildlife tours, and reef conservation, which all help to enhance the conservation of the country.
Adventure travelers can explore another delightful attraction, that of snorkeling and diving Belize’s Barrier Reef and its vibrant underwater world of colorful corals, diverse marine life, and underwater caves. It is a UNESCO World Heritage Site, which speaks volumes of its value. Suffice to say, it is well preserved, as evidenced by the efforts of the tour operators, conservation organisations, and the local communities.
As is the case with the reef, Belize’s focus on sustainability is evident in its hospitality industry, with various hotels and resorts adopting energy-efficient eco-friendly policies. These include waste reduction and positive support for local communities. Visitors to Belize are encouraged to practice responsible tourism by patronising hotels and partaking in activities that do not conflict with environmental and social sustainability practices.
Cultural Experiences with the Garifuna People
Belize is not all about nature. The Afro-Indigenous Garifuna people, and the descendants of the local communities that thrived in the nation centuries ago, offer a wealth of rich culture. All of which features dazzling and rich history, along with captivating music, splendid dance, and tasty cuisine. All of which makes up a vital part of Belize’s identity.
Garifuna culture is illustrated during workshops like drum, recipe, and dance, and in deep immersion on cultural study tours, which detail the history and customs of the people. Instructing on the stories of the grandparents is usually the dance and drum guides. Captivating narratives are told about the essence of the people’s cuisine, and the integral part the Garifuna’s ethnicity plays in the history of the cultural mosaic of people of Belize.
Garifuna culture is illustrated during workshops like drum, recipe, and dance, and in deep immersion on cultural study tours which detail the history and people. Instructing on the stories of the grandparents is usually the dance and drum guides. Captivating narratives are told about the essence of the people’s cuisine, and the integral part the Garifuna’s ethnicity plays in the history of the cultural mosaic of Belize.
Outdoor Activities Besides the Beach
Those in quest of new activities which diverge from the ocean will be excited by the choices Belize offers. Inland, the country extends inviting lush jungle, hidden caves, and spectacular waterfalls. Trekking in the Cockscomb Basin Wildlife Sanctuary, soaring above the tree tops on a zip line strung across the rainforest, and tubing in the caves over ancient underground rivers are but a few of the myriad exciting choices for adventurers.
Chiquibul Forest and Mountain Pine Ridge contain Belize’s many national parks and wildlife reserves. Here, visitors may appreciate the local animals, as well as birds and other indigenous wildlife, while immersing themselves in the wilderness.
Access and Travel Suggestions
Goldson International Airport at Belize City is the main international gateway connecting the country to the rest of the world. Visitors may arrange domestic flights to popular destinations such as Placencia and other Belizean hot spots. For those who prefer to explore on their own, Belize offers public transportation, shuttle services, and rental cars.
Belize Is Waiting With An Exciting Adventure
With the second-largest barrier reef in the world, Belize certainly offers her visitors numerous opportunities for adventure tourism, and for all not limited to, adventurers, admirers of the wild, and those who appreciate rich traditions alike. Most emphasize on the fact that Belize is very very head-on on sustainable preservation and protection of the rich tourism resources of Central America.
The post Embark on an Adventure in Belize: Nature, History, and Culture Come Together appeared first on Travel And Tour World.Shinsegae Duty Free and CHANEL Launch Magical “Winter Constellation” Holiday Podium at Incheon Airport for 2025 Festivities

Shinsegae Duty Free has partnered with luxury brand CHANEL to unveil a stunning holiday-themed pop-up experience at Incheon International Airport Terminal 2, marking an early start to the 2025 holiday season in South Korea. The CHANEL WINTER CONSTELLATION installation is set to run until December 5, 2025, and occupies 145.5 square meters—the largest CHANEL holiday podium in the Asia-Pacific airport duty-free sector. This exclusive event, which is the first of its kind to debut in Korea, invites travelers to experience the magic of the festive season through CHANEL’s iconic fragrance and beauty collections, with a focus on interactive and immersive experiences.
The CHANEL WINTER CONSTELLATION podium transports visitors into a magical winter garden and starlit observatory, where they can explore CHANEL’s complete lineup of fragrances, makeup, and skincare. The event offers a unique opportunity to connect with CHANEL’s heritage and seasonal products in a way that is both artistic and sensorial. This collaboration underscores Shinsegae Duty Free’s commitment to providing travelers with elevated, memorable shopping experiences while also celebrating the festive spirit.
The installation features a telescope-themed installation, bringing to life CHANEL fragrances through a sensory and artistic lens. Visitors can also enjoy interactive skincare consultations, makeup touch-up zones, and an AR-powered photo zone that allows them to capture vivid photos against the backdrop of CHANEL’s star-shaped constellations. Limited-edition items such as N°5 refills, Les Exclusifs de CHANEL perfumes, and other premium fragrances are available exclusively at this podium, making it a must-visit for luxury shoppers and beauty enthusiasts alike.
Key Features of the CHANEL WINTER CONSTELLATION at Incheon Airport
- Immersive Winter Garden Theme: The podium is designed around a winter garden and starlit observatory, allowing travelers to step into a magical world of CHANEL beauty and luxury.
- Exclusive Limited-Edition Products: Highlighting Les Exclusifs de CHANEL, including rare items like N°5 The White Gold Body Oil and Coco Mademoiselle Intense Refillable Purse Spray, only available at Incheon Airport Duty Free.
- AR-powered Photo Zone: Travelers can capture vivid images and videos against the backdrop of CHANEL’s constellations, offering a fun and engaging way to document their experience.
- Interactive Beauty Experiences: The podium features skincare consultations, makeup touch-up zones, and QR card printing activities, engaging customers with hands-on, personalized beauty services.
- Exclusive Holiday Gift Items: Guests can receive holiday postcards and travel kits with invitation cards, enhancing their experience while providing a keepsake to remember the event.
- Online Experience: For those who can’t visit the podium in person, Shinsegae Duty Free will provide a virtual experience through its official website and social media channels, including Instagram and Facebook, featuring photos and videos from the pop-up.
Why This CHANEL Podium Is a Must-Visit for Holiday Shoppers
Incheon International Airport, a gateway to South Korea, continues to cement its reputation as a premier shopping destination for travelers from all over the world. This CHANEL WINTER CONSTELLATION installation brings a new level of luxury and holiday magic to the airport, providing a unique opportunity for travelers to shop for exclusive items and experience the festive ambiance of the season.
The podium is more than just a pop-up display—it’s a multi-sensory journey that invites visitors to interact with CHANEL’s world in an immersive, engaging manner. Whether you are a fan of CHANEL fragrances or simply looking for a unique holiday experience, this installation is sure to captivate all who visit.
Limited-Edition Holiday Collection at Incheon Airport
One of the standout features of this collaboration is the availability of exclusive holiday products and premium perfumes, which can only be purchased at Incheon Airport Duty Free. These limited-edition items include:
- Bleu de CHANEL 300ml – A luxurious fragrance perfect for holiday gifting.
- N°5 Refillable Purse Spray – A sleek, travel-friendly version of CHANEL’s iconic fragrance.
- Coco Mademoiselle Intense Refillable Purse Spray – A bold, intense version of the beloved fragrance, also available for travel convenience.
- N°5 The White Gold Body Oil – A luxurious, limited-edition item available exclusively at Incheon Airport.
- Coco Mademoiselle Pearly Body Oil 250ml – A perfect addition to any holiday skincare routine.
These products are a testament to CHANEL’s commitment to delivering high-quality, exclusive offerings for discerning travelers during the holiday season.
The CHANEL and Shinsegae Duty Free Partnership
This exclusive holiday podium is the result of the ongoing partnership between Shinsegae Duty Free and CHANEL, two leaders in luxury retail. By leveraging CHANEL’s expertise in beauty and fragrance and Shinsegae Duty Free’s global presence, the collaboration brings the best of luxury retail to Incheon Airport, enhancing the shopping experience for travelers from around the world.
Shinsegae Duty Free continues to create innovative, interactive retail experiences, making it a leader in the airport shopping sector. As Asia Pacific’s largest duty-free podium, it regularly collaborates with global luxury brands to create memorable shopping moments for travelers. This holiday partnership is a natural extension of that vision, offering an exclusive, high-end shopping experience that can’t be found elsewhere.
Conclusion: A Holiday Experience Like No Other
The CHANEL WINTER CONSTELLATION holiday podium at Incheon International Airport is an extraordinary example of how luxury brands and duty-free retailers are evolving the shopping experience for global travelers. This collaboration brings together CHANEL’s iconic beauty collections, an exclusive selection of limited-edition products, and a festive, immersive environment that will make every visit a special one. Whether you’re looking to purchase a gift for a loved one or simply want to indulge in the festive holiday spirit, this pop-up is a must-visit for anyone passing through Incheon Airport during the holiday season.
For those unable to visit in person, the virtual experience provided by Shinsegae Duty Free offers a taste of the magic, bringing the holiday ambiance of CHANEL’s world straight to your screen.
The post Shinsegae Duty Free and CHANEL Launch Magical “Winter Constellation” Holiday Podium at Incheon Airport for 2025 Festivities appeared first on Travel And Tour World.Off Grid Retreat in Alta Garrotxa, Catalonia: A Sustainable Eco-Retreat Blending Wellness, Adventure, and Nature

Nestled in the serene Alta Garrotxa region of Catalonia, Spain, Off Grid Retreat is an eco-conscious haven set against the backdrop of stunning pre-Pyrenean landscapes. Located within a restored 17th-century farmhouse, this retreat offers a blend of wellness, adventure, and sustainability. Focused on providing a mindful living experience, it invites guests to reconnect with nature, offering a variety of activities such as yoga, hiking, and cycling. This tourism initiative not only appeals to wellness seekers but also highlights the growing trend of eco-tourism in Catalonia, contributing to both the local economy and the preservation of the region’s natural beauty.
The Rise of Eco-Tourism in Catalonia
Catalonia has long been known for its vibrant culture, beautiful landscapes, and rich heritage. However, in recent years, it has also gained recognition as a hub for eco-tourism. Eco-tourism focuses on promoting sustainability and preserving natural environments while offering travelers enriching experiences. Off Grid Retreat, located in Alta Garrotxa, exemplifies this shift towards sustainable tourism. Situated in the heart of a protected natural reserve, the retreat offers a rare opportunity for tourists to experience both luxury and environmental consciousness.
Alta Garrotxa: A Hidden Gem for Nature Lovers
Alta Garrotxa, a region nestled in the pre-Pyrenees, is renowned for its rugged, untouched landscapes and diverse wildlife. The area is protected as a natural park and is home to ancient forests, volcanic craters, and limestone crags. Alta Garrotxa’s natural beauty provides an ideal setting for eco-retreats like Off Grid. The retreat takes full advantage of the region’s natural offerings, allowing guests to immerse themselves in its tranquility. With the region’s growing reputation for eco-tourism, destinations like Off Grid contribute significantly to sustainable travel in Spain.
Off Grid: A Sustainable Sanctuary
Off Grid Retreat is more than just a luxury getaway; it’s a sanctuary for eco-conscious travelers seeking a deeper connection to nature. The retreat is set within a 17th-century farmhouse, called a masia, which has been meticulously restored to maintain its rustic charm while incorporating modern sustainable practices. The accommodation consists of ten rooms, along with a four-bedroom barn that caters to larger groups or families. This architectural fusion of old and new invites guests to unwind in a serene environment that balances history and innovation.
Focus on Sustainability
Sustainability is at the core of Off Grid’s ethos. The retreat practices organic farming, growing much of its own food, and sourcing products locally. This reduces its carbon footprint and supports the local economy. Guests can enjoy organic meals made with fresh ingredients sourced from nearby farms. In addition to organic produce, the retreat’s sustainable practices include the use of locally crafted linens and toiletries from eco-conscious brands.
Off-Grid is also working to minimize its environmental impact further by incorporating renewable energy sources. Plans for installing solar panels and an alfresco sauna are underway to increase the retreat’s energy efficiency. Such initiatives align with the global demand for more sustainable and responsible tourism, attracting travelers who want to contribute to environmental conservation while enjoying their stay.
Activities for Mindful Living and Adventure
One of the key aspects of Off Grid is its emphasis on wellness and outdoor activities, allowing guests to experience the natural beauty of Alta Garrotxa holistically. The retreat offers a range of activities designed to promote both physical and mental well-being.
Yoga and Mindfulness Practices
Yoga is an integral part of the Off-Grid experience. While currently available on demand, regular yoga classes will be offered twice a week beginning in the new year. These sessions are tailored to all skill levels and are designed to help guests reconnect with their bodies and minds. Yoga at Off Grid is not just a physical activity but a way to embrace mindfulness, encouraging visitors to slow down, relax, and engage with the natural surroundings.
Cycling Adventures with E-bikes
For those seeking adventure, Off Grid offers electric bike (ebike) rentals, allowing guests to explore the nearby landscapes in a fun and eco-friendly way. Cycling through Alta Garrotxa’s winding routes offers a unique opportunity to experience the region’s volcanic landscapes, forests, and quaint villages. The ebikes make the terrain more accessible, ensuring that all guests, regardless of their fitness levels, can enjoy the ride and explore the area’s natural beauty.
Hiking through Volcanic Terrain
Hiking is another popular activity at Off Grid. Guests can embark on guided hikes through the Parc Natural de la Zona Volcànica, a stunning natural park famous for its volcanic formations and diverse ecosystems. These hikes are designed to immerse guests in the raw beauty of the region, offering breathtaking views of the surrounding mountains and valleys. Whether hiking through beech forests or across volcanic craters, these treks provide a deep connection to the environment, fostering a sense of peace and rejuvenation.
A Communal Dining Experience
One of the unique features of Off Grid is its communal dining experience. Meals are prepared with ingredients sourced locally and feature dishes such as oxtail pie, tomato salad with local cheese, and orange-zest cheesecake. Dining is shared at a large farmhouse table, where guests can enjoy the food and bond over shared experiences. This communal aspect of the retreat fosters a sense of community and connection, encouraging guests to slow down and savor each moment.
Off Grid’s meals are designed to be a celebration of local Catalan cuisine, with a focus on organic and sustainable ingredients. The menu changes daily, based on what is fresh and available from the local market. Guests can also enjoy an honesty bar, which provides a selection of local wines and spirits, enhancing the laid-back and welcoming atmosphere.
Off-Grid’s Impact on Catalonia’s Tourism
Off-Grid Retreat represents the growing trend of eco-tourism in Catalonia and across Spain. By combining sustainable practices with luxury and wellness, the retreat appeals to a new generation of travelers who are increasingly prioritizing environmental impact in their travel decisions. The retreat’s focus on local food, renewable energy, and eco-friendly activities makes it a standout example of responsible tourism in Spain.
This eco-retreat also contributes to the local economy, providing employment opportunities and boosting the tourism industry in Alta Garrotxa. Eco-tourism is becoming a vital part of the region’s economy, as it attracts travelers who value sustainability and are willing to invest in authentic, mindful experiences. As more travelers seek eco-conscious travel options, Off Grid Retreat is well-positioned to play a significant role in shaping the future of tourism in Catalonia.
The post Off Grid Retreat in Alta Garrotxa, Catalonia: A Sustainable Eco-Retreat Blending Wellness, Adventure, and Nature appeared first on Travel And Tour World.UK and England Air Connectivity at Risk as Vital Cornwall–London Route Awaits New Operator

In the wider context of England’s and the United Kingdom’s transport network, the vital air link between Cornwall and London has been thrown into turmoil. The route operated by Eastern Airways between Cornwall Airport Newquay in Cornwall and London Gatwick Airport in Greater London is now suspended after the airline filed a notice to appoint administrators. Council officials in the region emphasise that the public service obligation (PSO) connection is essential for local residents, businesses and tourism, and a replacement carrier is being pursued at pace. Passengers are already facing disruption and uncertainty as the search for a new operator begins.
The Collapse of the Operator and Immediate Consequences
Eastern Airways’ financial difficulties culminated in a formal notice to appoint administrators being filed at the Insolvency and Companies Court.
Following that filing, the Civil Aviation Authority (CAA) confirmed that all flights by Eastern Airways have been cancelled, including the Cornwall–London Gatwick connection.
The specific route from Newquay to London Gatwick — designated under a PSO (public service obligation) contract — is now facing a period of disruption as replacement plans are formulated.
Local authorities acknowledge that there may be weeks of disruption for travellers who had booked on the route, while an interim or permanent solution is found.
Importance of the Cornwall–London Route for Tourism and Economy
The link between Cornwall and London serves not only residents travelling to and from the capital, but plays a strategic role in tourism, business connectivity and regional economic growth. Local officials describe the route as essential for Cornwall’s accessibility.
Because Cornwall lies at the far southwestern tip of England, the air link cuts through geographical remoteness and helps connect the region to the UK’s major transport hub in London. Loss of this route could risk making Cornwall feel more isolated at a time when promoting its tourism industry is vital.
For visitors, the convenience of flying into Cornwall rather than undertaking longer rail or road journeys supports the region’s tourism value. For business and investment, ready access to the capital helps anchor Cornwall’s growth ambitions.
What’s Being Done: Replacement Plans Underway
Cornwall Council has confirmed that its contract for the route was already nearing its expiration, and steps to find a new operator have been initiated.
Officials say an interim solution may be announced soon, potentially within a week, though the service will not resume immediately. During this transition period, alternative travel arrangements will need to be made.
A full procurement process is expected to follow for the longer-term PSO contract, giving businesses and tourism stakeholders a voice in shaping the service that replaces the former operator.
Challenges Ahead in Finding a Sustainable Operator
Replacing a carrier on a PSO route poses distinct challenges. The incoming airline must find the route commercially viable, meet required flight frequencies and standards, and commit to serving the region reliably.
Because Cornwall’s geography and lower passenger volumes compared with major hubs may make the route less attractive commercially, subsidy-based PSO support is essential to ensure connectivity.
Additionally, entering service against a backdrop of airline cost inflation, fuel price pressures and regional aviation fragility further complicates matters.
What Travellers and Stakeholders Should Know
- Passengers who had booked on the Cornwall – London Gatwick route via Eastern Airways should seek alternative travel arrangements, as flights are cancelled.
- The CAA has advised those with bookings to visit its website for up-to-date advice and consider their rights regarding refunds or rebooking.
- Local businesses, tourism operators and the regional economic community are urged to engage with the replacement process so that the future service meets the area’s needs.
- While disruption is likely in the near term, the commitment from Cornwall Council and its partners is strong to secure a reliable air link between Cornwall and London.
Implications for Travel and Tourism in Cornwall
For Cornwall’s tourism sector, the interruption presents both a risk and an opportunity. On one hand, fewer flight connections to London could deter some visits — especially from time-sensitive business travellers or short-stay leisure guests. On the other hand, a well chosen replacement carrier with good service levels could boost confidence, improve connectivity and enhance Cornwall’s appeal further.
Given Cornwall’s rich tourism assets — its coastal scenery, cultural heritage and visitor economy — maintaining strong transport links is imperative. Ensuring that the future operator delivers consistent schedules, competitive fares and high service standards will therefore be vital for the region’s tourism resilience.
In summary, as England and the broader UK aviation landscape witness the collapse of Eastern Airways and the suspension of the Cornwall–London Gatwick route, Cornwall’s connectivity to the capital is now in a delicate phase. With tourism, business and regional growth depending on the route, local authorities have moved into action to secure a replacement carrier under the PSO framework. While interruption is imminent, the outcome presents a chance to reset and rebuild the link in a way that supports Cornwall’s travel and tourism future.
The post UK and England Air Connectivity at Risk as Vital Cornwall–London Route Awaits New Operator appeared first on Travel And Tour World.Bali, Langkawi, Boracay, and Palawan, These Southeast Asian Wedding Hotspots Are Transforming the Travel Scene with Affordable Luxury. What’s Your Next Dream Destination?

Southeast Asia has increasingly become one of the top choices for couples who dream of having their weddings in picturesque settings. As the wedding season in India approaches, many couples are starting to move away from traditional wedding venues like palaces and banquet halls. Instead, they are seeking more affordable, yet equally beautiful venues, such as beaches, lush tropical gardens, and secluded islands. These stunning natural locations provide couples with the perfect opportunity to have a dream wedding without the sky-high costs associated with weddings in Europe. Southeast Asia, with its unique blend of natural beauty and affordability, has positioned itself as a favored alternative to the traditionally more expensive wedding destinations in Europe. The rise in couples choosing Southeast Asia as their wedding destination is a clear sign that the region is becoming an increasingly popular wedding hub.
Southeast Asia’s Growing Appeal for Weddings
Over time, Southeast Asia has emerged as one of the top choices for couples seeking to hold their weddings in destination locations. The region offers a perfect balance of breathtaking scenery and cost-effective options, making it an attractive alternative to the pricey wedding venues found in Europe. Recent studies analyzing 3,000 wedding venues and 5,000 luxury hotels across ten countries in Southeast Asia have revealed that the region provides couples with a wealth of choices. These options range from gorgeous natural settings to budget-friendly wedding packages, which has helped Southeast Asia earn a reputation for offering affordable luxury. This shift in wedding trends reflects how couples can now access luxurious wedding experiences without the hefty price tag that often comes with similar venues in Europe. Southeast Asia’s mix of beauty and affordability has positioned the region as a leading wedding destination for couples looking for the perfect venue at a much lower price point.
- Southeast Asia has some of the most cost-effective wedding venues in the world.
- Couples can secure world-class locations for their weddings at a fraction of the cost seen in European destinations.
This growing trend of opting for Southeast Asia for destination weddings underscores a shift in perceptions about what constitutes a luxurious wedding. Couples no longer have to choose between affordability and beauty; the region allows them to enjoy both, making Southeast Asia an increasingly popular option for weddings.
Affordable Wedding Venues Across Southeast Asia
A major draw of Southeast Asia as a wedding destination is its ability to offer a wide variety of venues at prices that are far more affordable than those in Europe. Whether couples are seeking a luxury resort, a heritage site, or a charming beachside location, Southeast Asia has an abundance of options that suit various tastes and budgets. Let’s take a look at some of the most popular and affordable wedding destinations in the region:
- Indonesia has become one of the leading destinations for couples, especially in iconic areas like Bali and Ubud. These regions are famous for their stunning landscapes, including rice terraces and cliff-top vistas. Indonesia tops the region in terms of luxury accommodations, with 943 luxury hotels offering an average price of £90 per night for a five-star stay.
- Malaysia stands out for its variety of wedding venues, which range from sleek city hotels in Kuala Lumpur to peaceful island resorts in Langkawi. With over 681 wedding venues and an average hotel rate of £98.75 per night, Malaysia is perfect for couples seeking a more extravagant celebration, especially those with a larger guest list.
- Vietnam has grown quickly in popularity, offering colonial charm and scenic beauty. Locations like Hoi An and Da Nang feature stunning heritage venues for couples to exchange vows. The cost of staying in these beautiful locations averages around £50 per night, making Vietnam an attractive option for couples seeking a blend of affordability and elegance.
- The Philippines, known for its pristine beaches and turquoise waters, offers a perfect location for couples dreaming of a beach wedding. Areas like Boracay and Palawan provide romantic settings at very affordable prices, with hotel stays starting at £35 per night, making it ideal for couples seeking a budget-friendly yet intimate wedding experience.
Affordable Luxury and Dining in Southeast Asia
One of the standout features of holding a wedding in Southeast Asia is the opportunity to experience luxury at a more affordable price. Not only are wedding venues and accommodations cheaper, but dining in Southeast Asia is also extremely cost-effective. Couples can enjoy high-quality meals at a fraction of the price they would pay in Europe.
- In Vietnam, couples can enjoy a three-course meal for two for as low as £5.90, while in Malaysia, it costs about £8.50. Even in more upscale locations such as Thailand and the Philippines, fine dining can usually be enjoyed for under £11, leaving couples with more flexibility to allocate funds to other aspects of their wedding, such as decor, photography, or an extended honeymoon.
The affordability of dining in Southeast Asia does not mean couples need to compromise on the quality of the meals. The region offers an extensive range of local specialties and international cuisines, allowing couples to indulge in a luxurious culinary experience at a reasonable price. This ensures that the wedding remains as memorable as it is cost-effective.
The Global Impact of Southeast Asia’s Rise as a Wedding Hub
The growing popularity of Southeast Asia as a wedding destination is starting to have a significant impact on the global wedding industry. As more couples look for affordable luxury, the region’s exceptional venues and budget-friendly wedding packages are setting a new standard for destination weddings worldwide. As Southeast Asia’s influence continues to expand, other international wedding destinations may need to rethink their pricing and packages in order to remain competitive.
- Southeast Asia has become an increasingly attractive option for international couples seeking affordable yet luxurious wedding experiences.
- The rise in Southeast Asia’s popularity could lead other wedding destinations around the world to reconsider their pricing structures and wedding packages.
The growing demand for weddings in Southeast Asia is reshaping how couples approach their destination weddings. Now, couples are searching for luxurious wedding venues at a fraction of the cost they would typically pay in Europe. This shift in wedding trends is likely to influence how wedding markets around the world evolve in the coming years.
Top Affordable Wedding Destinations in Southeast Asia
Several countries in Southeast Asia have become popular for offering stunning yet affordable wedding venues. These countries stand out as ideal choices for couples who wish to combine luxury and affordability in their wedding destination:
- Indonesia
- Malaysia
- Philippines
- Vietnam
- Thailand
- Cambodia
- Singapore
- Laos
- East Timor
- Brunei
These countries are now leading the way in providing affordable yet beautiful wedding destinations, offering something for every couple.
Why Southeast Asia is the Ideal Wedding Destination
In conclusion, Southeast Asia has established itself as the go-to destination for couples seeking a beautiful, affordable, and memorable wedding experience. The region offers a wide array of stunning venues, exceptional service, and reasonable prices, making it the perfect place for couples who want to have a dream wedding without the hefty price tag associated with traditional European venues. As the demand for destination weddings in Southeast Asia grows, the region is set to become one of the world’s top wedding destinations. Southeast Asia offers an ideal mix of luxury, beauty, and affordability, making it the perfect place for couples to experience their dream wedding. With the increasing popularity of the region as a wedding hub, Southeast Asia’s influence on the global wedding industry will continue to expand.
The post Bali, Langkawi, Boracay, and Palawan, These Southeast Asian Wedding Hotspots Are Transforming the Travel Scene with Affordable Luxury. What’s Your Next Dream Destination? appeared first on Travel And Tour World.Agoda and Busan City Sign Landmark MOU to Drive Tourism Growth, Positioning Busan as a Leading International Destination

In an exciting development for South Korea’s tourism industry, Agoda, one of the world’s leading digital travel platforms, has officially partnered with Busan City to promote tourism and elevate the city’s international appeal. The two-year memorandum of understanding (MOU), signed on October 28, 2025, marks a groundbreaking collaboration between the global travel platform and a local government in South Korea. Agoda’s partnership with Busan will leverage the platform’s advanced media solutions and its global reach to position Busan as an even more attractive destination for travelers worldwide.
Busan, South Korea’s second-largest city, is already a popular tourist hotspot, known for its beautiful beaches, unique cultural landmarks, and vibrant festivals. With this new strategic partnership, Agoda and Busan City plan to enhance the city’s tourism offerings by promoting its distinctive attractions and diverse experiences. From the world-famous beaches of Haeundae and Gwangalli to cultural treasures like Jagalchi Market and Gamcheon Culture Village, Busan has a wealth of experiences waiting to be discovered by international travelers.
The partnership will focus on promoting Busan’s tourism assets through digital campaigns, online content, and events. It will also aim to increase international visibility and attract tourists not only from Asia but also from other parts of the world. With Agoda’s expertise in global travel and its robust marketing capabilities, this collaboration promises to create significant growth in tourism and contribute to the city’s economic and cultural development.
Key Features of the Agoda-Busan City Partnership
- MOU Agreement: The strategic two-year partnership between Agoda and Busan City will focus on stimulating tourism through collaborative efforts in marketing, media campaigns, and tourism-related initiatives.
- Promoting Busan’s Unique Attractions: By using Agoda’s global platform, the city’s cultural and natural attractions will gain global recognition. Key highlights include Haeundae Beach, Gwangalli Beach, Haedong Yonggungsa Temple, and the iconic Busan International Film Festival.
- Online Content Competition: To engage travelers, the collaboration includes a competition to create compelling online content that showcases Busan’s tourism attractions, increasing awareness and engagement from potential tourists globally.
- Agoda’s Global Reach: With over 6 million holiday properties, more than 130,000 flight routes, and 300,000 activities globally, Agoda offers a seamless travel experience, combining booking flexibility with global visibility.
- Local Gastronomy: Busan is fast becoming a culinary destination with a growing reputation for its local food scene, including Michelin Guide selections and popular dishes like pork soup, fish cakes, mil-myeon (wheat noodles), and ssi-at hotteok (sweet pancakes).
Why Busan is a Rising Global Destination
Busan, often considered the gateway to South Korea’s maritime culture, has long attracted travelers seeking both natural beauty and modern experiences. The city’s vibrant beaches, cultural landmarks, and festivals make it a year-round destination for tourists. Some of the most popular attractions include:
- Haeundae Beach: A world-famous beach destination known for its crystal-clear waters and a hub for water sports like surfing and yachting.
- Gwangalli Beach: A scenic spot that offers stunning views of the Gwangan Bridge, especially during the Busan Fireworks Festival.
- Jagalchi Market: A bustling fish market offering fresh seafood and an authentic glimpse into local life.
- Gamcheon Culture Village: Known for its colorful, art-filled streets, this picturesque village has become a must-visit destination for its vibrant street art and charming atmosphere.
- Haedong Yonggungsa Temple: A serene coastal temple offering breathtaking views of the ocean, it is a perfect example of Korea’s historical and spiritual culture.
In addition to its natural beauty and cultural attractions, Busan is rapidly becoming a food lover’s paradise, featuring local favorites such as fish cakes, pork soup, and mil-myeon, alongside a burgeoning Michelin Guide selection. These culinary experiences offer visitors a deeper connection to the local culture and cuisine, further positioning Busan as a must-visit global destination.
The Role of Agoda’s Media Solutions in Promoting Busan
Through this collaboration, Agoda’s media solutions will play a key role in promoting Busan’s tourism to the global market. By leveraging Agoda’s digital tools and insights, Busan City will be able to reach targeted audiences through effective marketing campaigns. These initiatives will feature engaging content, special offers, and travel tips that will help potential travelers discover and explore Busan more easily.
With its expertise in digital marketing and a global network of travelers, Agoda aims to position Busan as not just a popular domestic destination but as an international travel hotspot. This partnership is expected to bring increased global traffic, higher booking rates, and more tourism-related activities to the city, helping to boost its international profile.
The Future of Busan’s Tourism Growth
This partnership between Agoda and Busan City represents a forward-thinking approach to tourism growth. With Agoda’s vast international network and Busan’s unique cultural offerings, the collaboration is poised to create synergistic growth for the city’s tourism industry. The MOU is a clear indication of the growing importance of digital travel platforms in shaping the future of global tourism, and the Agoda-Busan partnership will likely serve as a model for similar initiatives in other cities worldwide.
As more international travelers seek meaningful travel experiences, Busan stands out as an ideal destination to offer a blend of natural beauty, cultural richness, and vibrant local life. This strategic partnership will help the city tap into new and emerging markets, creating a more accessible and attractive destination for tourists globally.
Conclusion: A New Era for Busan’s Global Tourism
In conclusion, the strategic partnership between Agoda and Busan City marks a major step forward in positioning Busan as a global tourism destination. By leveraging Agoda’s advanced marketing insights and the city’s unique attractions, this partnership aims to increase international awareness, enhance the tourism experience, and contribute to the city’s long-term growth in the competitive global tourism market.
Through effective use of digital marketing and collaboration with local businesses, Busan will be able to offer visitors an enriched and seamless travel experience, all while supporting its growing reputation as an exciting destination for global travelers.
The post Agoda and Busan City Sign Landmark MOU to Drive Tourism Growth, Positioning Busan as a Leading International Destination appeared first on Travel And Tour World.Explore Luxury Travel: French Riviera, Mykonos, Santorini, and Tivat Lead Mediterranean Tourism Surge in 2025

As Mediterranean tourism continues to thrive in 2025, French Riviera, Mykonos, Santorini, and Tivat are seeing significant increases in visitors, thanks to a rise in private jet bookings. Travelers looking for exclusive experiences have made these destinations the top choice for their summer getaways. According to AXIS Aviation, a leading European charter company, the summer months of June through September saw an uptick in demand for these high-end locales, signaling a promising future for Mediterranean tourism.
The French Riviera, long a favorite of the rich and famous, has once again proven to be a major draw. Known for its glamorous Nice, Toulon-Hyères, and Saint-Tropez, the region attracts those seeking luxury, culture, and history. Despite challenges such as new taxes, the region’s appeal remains intact. The French Riviera has earned its reputation as an ultimate hotspot, offering stunning views of the Mediterranean Sea, exclusive shopping, and world-class culinary experiences. This influx of high-end travelers reinforces its position as a key player in the luxury tourism sector.
Further east, Mykonos and Santorini continue to dominate the Greek Islands tourism scene. With their iconic white-washed buildings, blue waters, and rich cultural heritage, these islands never lose their charm. Mykonos, famous for its vibrant nightlife, draws party-goers and those seeking an energetic holiday. Santorini, on the other hand, attracts those looking for more peaceful, romantic getaways, with its breathtaking sunsets and quiet charm. The demand for private jets to these two destinations has surged, underscoring their strong hold on the luxury tourism market. The ability to bypass crowded airports and enjoy a seamless travel experience further elevates the allure of these idyllic islands.
On the Adriatic coast, Tivat, Montenegro’s burgeoning tourism gem, has also seen a rise in visitors. With its pristine beaches and growing infrastructure, Tivat is gaining recognition as an up-and-coming destination for travelers looking for less crowded alternatives to the more traditional Mediterranean spots. Located in the stunning Bay of Kotor, Tivat combines natural beauty with historical significance, making it an increasingly popular choice among private jet passengers. This rise in demand is helping boost Tivat’s tourism and position it as a luxury destination in its own right.
The AXIS Aviation report highlights a growing trend towards one-way charter bookings, especially for transatlantic flights to destinations like New York, Miami, and the Bahamas. The flexibility these options offer travelers shows a shift in the way people approach luxury vacations. Instead of round-trip travel, people are increasingly looking for bespoke travel experiences that can be tailored to their personal preferences. This trend is not only reshaping the aviation industry but also driving growth in the tourism sector as destinations like French Riviera, Mykonos, Santorini, and Tivat cater to these needs.
Private jet passengers have shown a clear preference for long-range jets such as the Gulfstream G650 and Gulfstream G550. These jets offer the comfort and convenience required for long flights to far-flung locations. As a result, high-net-worth individuals are more inclined to book trips to destinations that provide a high level of service, beauty, and exclusivity. This directly benefits Mediterranean tourism, as these travelers tend to spend significantly more on accommodations, dining, and local experiences.
Despite the global challenges posed by political and economic factors, charter demand for these Mediterranean destinations remains strong. The growing trend of customized, high-end travel experiences shows no sign of slowing down. People are prioritizing unique and memorable vacations, leading to an economic boost for the tourism sector. Both well-established destinations like the French Riviera and newer entrants like Tivat are benefiting from this shift in traveler behavior.
Looking ahead, the future of Mediterranean tourism appears bright, with Mykonos, Santorini, Tivat, and the French Riviera continuing to draw attention from affluent travelers around the world. As private jet traffic remains on the rise, these locations are well-positioned to maintain their status as key hubs for luxury travel. The rise in tourism brought about by the surge in private jet bookings shows just how influential this segment of the travel industry is in shaping the future of Mediterranean tourism.
The Mediterranean’s allure remains as strong as ever, and destinations like French Riviera, Mykonos, Santorini, and Tivat are reaping the benefits of this new era in luxury tourism. As more travelers seek exclusive, customized experiences, these spots will continue to be top choices for those looking to enjoy the best the Mediterranean has to offer. The ongoing growth in private aviation and tourism highlights the importance of offering not just a destination, but a truly unforgettable experience.
The post Explore Luxury Travel: French Riviera, Mykonos, Santorini, and Tivat Lead Mediterranean Tourism Surge in 2025 appeared first on Travel And Tour World.Game Music Festival Details Unveiled, Drawing Global Enthusiasts To London For A Month Of Iconic Diablo, Hades And Persona Concert Tributes

A truly magnificent occasion has been confirmed for enthusiasts of video game music, as the sixth edition of the Game Music Festival 2026 has been formally announced by the Game Music Foundation. This landmark event is scheduled to take place throughout the entire month of June 2026, transforming London, UK, into the epicenter of orchestral and contemporary tributes to the artistry of gaming soundscapes. This forthcoming festival is being structured as a one-month-long extravaganza, an unprecedented scale of celebration that will be witnessed across two of the capital’s most distinguished artistic spaces: the Southbank Centre’s Royal Festival Hall and Fairfield Halls. This dedication to the profound impact and artistic merit of video game soundtracks ensures that the music itself is elevated to a level of prestige usually reserved for classical masters. Great care has been taken in the curation of the programming, ensuring that the diverse array of musical achievements within the gaming sphere is properly represented and honored.
A Month of Melodies: The Festival’s Scope and Vision
The Game Music Festival has consistently positioned itself as the premier event globally that is entirely dedicated to the appreciation of video game soundtracks and audio design. Since its inception, the festival has been hosted in the most prestigious venues across London and Wroclaw, regularly featuring world-class performers on its stages. This sixth edition is designed to uphold and advance that reputation, showcasing the profound cultural impact that video game music has achieved. The event is characterized by its immersive approach, where the musical scores are permitted to speak for themselves, unburdened by the usual distractions of screen visuals. This approach is rooted in the philosophy of the Game Music Foundation, an independent group driven by a passion for the music of video games, whose international mission is the promotion of this art form.
The Grand Opening: The Infernal Symphony
The Game Music Festival 2026 is destined to commence with a formidable opening performance, titled The Infernal Symphony. This highly anticipated concert has been scheduled for Saturday, 6th June 2026, and will take place in the magnificent setting of the Royal Festival Hall. The focus of this dark and powerful musical event will be the three decades of soundtracks that have defined the Diablo franchise, a genre-defining series of action role-playing games. Attendees are being invited to take a musical pilgrimage, wherein the iconic soundscapes of the Burning Hells and High Heavens are explored through a monumental sonic opus. The arrangement of the music from the Diablo games into this massive work has been skillfully handled by Ignacy Wojciechowski.
A Dual Tribute: Celebrating Creators and Characters
The middle portion of the Game Music Festival 2026 will be dedicated to two distinct yet equally significant events, both scheduled to take place at the Fairfield Halls. The first, titled The Colors of Harmony: Hitoshi Sakimoto 40th Anniversary Celebration, is slated for 13th June. This event is being established as a dedicated tribute to the four-decade career of the highly influential composer Hitoshi Sakimoto, whose work has spanned multiple classic titles and genres. The details regarding the exact programme and performers for this event are soon to be announced, but the mere recognition of such a distinguished figure in the realm of game music has already generated significant excitement among the community. The sheer volume and quality of work produced by Sakimoto over his career necessitate a major event of this scale to properly commemorate his contributions.
Concluding Crescendos: Underworld and Urban Rhythms
The Game Music Festival 2026 will be brought to a powerful conclusion with a unique double-header of concerts scheduled for a single day, Saturday, 27th June 2026, both of which will be hosted at the Royal Festival Hall. The afternoon will feature the symphonic concert Ballads of the Underworld, which is dedicated to the critically acclaimed soundtracks of Supergiant Games’ immensely successful titles, Hades and its eagerly awaited sequel, Hades II. This musical journey is being planned to place a special spotlight on the vocal masterpieces that have become synonymous with these games: the soulful laments, hymns, and alluring siren songs that have served as the emotional backdrop for the perilous expeditions of Zagreus and Melinoë through the Underworld.
Beyond the Stage: Educational Opportunities and Logistics
It is understood that every Game Music Festival is structured to be comprised of more than just its core concert series; it also features a comprehensive range of educational events. Throughout the month of June 2026, the GMF educational programme will be implemented, hosting various events such as masterclass workshops, detailed panel discussions, and numerous specialized educational sessions. This side of the festival is designed to be an invaluable resource, allowing participants to meet with established industry professionals and acquire essential tips and tricks directly from the field of contemporary game music production. For anyone considering a career in composing or designing sound for video games, attendance at these supplementary events is deemed highly beneficial. Further, detailed information concerning the specific schedule and participants of the educational programme will be unveiled at a later stage, meaning interested parties should continue to monitor official channels for these updates.
The post Game Music Festival Details Unveiled, Drawing Global Enthusiasts To London For A Month Of Iconic Diablo, Hades And Persona Concert Tributes appeared first on Travel And Tour World.Visit Almourol Castle: Portugal’s Stunning Templar Fortress on the Tagus River

Situated on an islet in the Tagus River, Almourol Castle is one of the most beautiful and historically important landmarks in Portugal. The castle is located in the center of Portugal, between Entroncamento and Abrantes, and is an impressive fortress, rising 18 meters above the water. Its strategic location and spectacular views have captured the imagination of many, and it continues to be one of the most popular sites in the country.
Almourol Castle is a medieval castle which was built by the Knights Templar. It is famous for its Templar history as well as its deep connections to the Roman Empire. Almourol Castle is only accessible by boat which adds to its charm as a point of interest. The spectacular combination of history, architecture, and natural beauty makes it an ideal site to visit.
A Journey to Almourol Castle: Boat Trips and Panoramic Views
The Almourol Castle is situated on an islet and hence, its visitors need to do a boat trip on the Tagus River before accessing the centre of the castle from the island. The Tagus offers an adjunct to the boating adventure by providing amazing scenery of the river, the banks, and the castle. At four euros and a little portion of, time tourists get priceless, scenic pleasure boat rides to islands with castles.
The castle is a monument to history and the ride on the boat that pays a river protects him from a distance offers an additional opportunity to relish its glory. For all day, the boat trip an experience that trumps all sense of endless admiration. What makes the castle so beautiful is its isolation and the position, plus the surrounding nature with the river makes the importance of the island cove. The place invokes tenderness.
The Historical Importance of Almourol Castle
The Knights Templar have helped shaped Portuguese history and, importantly, Almourol Castle is something of a monument to that association. It was built as a medieval defensive outpost during the ruthless reconquest of the Iberian peninsular from the Moors. The Templars kept and defended the castle as part of their critical efforts of region and frontier Christianity expansion.
Almourol Castle is also notable for the fact that it, and its history, traces even further back to the Roman Empire. The island was deeply and heavily settled. Roman usage of the island included something as elaborate as fortifications, and complicated as portage of vessels of trade, enriching the area Almourol Castle is located within. With both Roman, and Templar influences, Almourol Castle affords enthusiasts of history to fascinate themselves with the complex, and layered, history of Almourol and Portugal.
The castle was a vital defensive point during the middle ages. Its strategic position on the Tagus made it defensive territory by river, and its sheer, castle walls offered the, to fortress them and defend their high vantages.
Architectural Design and Legacy of the Templar Order
Almourol Castle embodies its medieval roots through its architecture, most notably the embodiment of medieval architecture in the the solid stone walls, lofty towers, and the fortification of the castle which has stood the test of time. The fortification of the castle is interesting in itself, but the castle walls with thin window slits and battlements offer insight into the skills of architecture and construction of the Templars that built the castle.
The single most important feature of the castle is the central defensive keep. The central keep served dually as a defensive stronghold and as a dwelling of the knights which occupied the seignory. The central keep is encased within a set of walls, a gate, and protective towers which offer the idea that the walls and keep do not serve as a final line of defense. In modern times, remnants of a medieval military castle present a faint idea of the strategy deployed in the construction of the castle.
Countless reminders of the Templar Order’s architecture and symbols of the knights are present within the castle, attesting to the the mark the Templars left on the castle. People are able to wander the grounds, discover the Templar’s impact on the history of the castle and visualize the life of the knights and their dominion.
Tourism and Accessibility to Almourol Castle
Both Entroncamento and Abrantes town centers enable easy access to Almourol Castle thanks to their multiple and varied transport systems. Castle-bound ferries dock at both riverside camps which are roughly equidistant from the town. By far the most rewarding part of the castle visit is the inclusive sightseeing walk which reveals the breathtaking beauty of the Takus’ tributaries.
Because the castle is on an island and has basic service facilities, visitors are encouraged to come equipped with sufficient water and sturdy shoes for their short walk on the island. Losing out on such episodes of history combined with stunning island surroundings, should be avoided whenever central Portugal is on your travel itinerary.
A Site of Cultural and Natural Beauty
To visitors’ great pleasure, Almourol Castle is fully surrounded by rich nature, adding to its history. Visitors are welcomed by lush and dense greenery, adding to the serenity provided by the Tagus, which gracefully embraces the castle and its surroundings.
Almourol’s Castle visitors are welcome to several neighboring historical and natural parks within the region. The castle is situated within the core of some of Portugal’s most treasured natural geographies which allows visitors to hike, watch birds or otherwise marvel at the Portugal countryside.
Conclusion: One of the most fascinating historical experiences to have in Portugal
Almourol Castle is a fascinating and overwhelming site for visitors keen to engage and appreciate Portugal’s medieval history and rich heritage. Almourol is usually reached through Tagus River which heighens the surreal anomolous character the castle portrays in comparison to the surroundings. The historical importance and the architectural stature of Almourol turns it to the most captivating of the lot to eastern Portugal. Almourol Castle never disappoints visitors and leaves a lasting tendancy, especially to those keen on the Templar legacy, the Roman history, and captivating sights.
The post Visit Almourol Castle: Portugal’s Stunning Templar Fortress on the Tagus River appeared first on Travel And Tour World.Real Madrid Captain Dani Carvajal Sidelined Following Successful Knee Surgery
Dani Carvajal, Real Madrid’s captain and reliable right-back, had surgery on his right knee today. The operation was an arthroscopy, done by Dr Manuel Leyes with the club’s medical team watching closely, as posted on the club’s official X account. The goal was to remove some loose material in the joint. Carvajal got hurt during Real Madrid’s 2-1 win over Barcelona, as reported by Softfootball.

As Softfootball previously reported, Carvajal’s injury was diagnosed after post-match tests revealed a loose body in the same knee where he suffered a serious ACL and LCL rupture in October 2024. That earlier setback sidelined him for nearly a full season, making this latest issue another unfortunate blow in what has been a turbulent two years for the veteran defender.
Latest Carvajal medical report.
— Real Madrid C.F.https://t.co/sak8pxEqii pic.twitter.com/hYMOyEsXwf
(@realmadriden) October 28, 2025
Now, Real Madrid has to rethink things at right-back. Fede Valverde stepped in during El Clásico, and he might keep that spot for a while. Trent Alexander-Arnold, recently back from injury, is another option. Losing Carvajal hurts, especially with big La Liga matches and Champions League games on the horizon.

Everyone is hoping he bounces back strong. Carvajal brings experience, leadership, and calm at the back—a captain in every sense. His teammates will feel the gap. For now, Madrid must navigate the coming weeks without him. Slowly but surely, though, all eyes will be on his recovery. If all goes well, he will be back stronger, sharper, and ready to lead the defense again.
Garnacho Reveals Why He Joined Chelsea and How Maresca Convinced Him
Alejandro Garnacho has opened up about the reasons behind his move to Chelsea, explaining how a personal video call with manager Enzo Maresca played a major role in his decision. The Argentine winger completed a £40 million transfer from Manchester United in August 2025, a move reported by Softfootball.

Garnacho revealed, in a post shared by Fabrizio Romano on his official X account, that Chelsea’s vision under Maresca was what ultimately convinced him to make the switch. He said:
When I spoke with the club and Maresca, it’s important also the style of play we have. He explained a lot to me in a video call with him.
That conversation gave him clarity on the tactical system Maresca wants to build, one that suits creative, fearless wingers capable of taking on defenders in one-on-one duels. It’s a style that has already been evident in recent games, including Chelsea’s defeat to Sunderland, where the Argentine scored his first Chelsea goal, as reported by Softfootball.

For Garnacho, joining Chelsea represents more than just a change of clubs, as it is a leap in his development. He said, describing the Blues as the best team in the world after watching their Club World Cup triumph:
It’s a big chance to improve as a player in a team like Chelsea.
He praised the club’s winning mentality, the competition for places, and the high standards that now define life at Stamford Bridge.
— Fabrizio Romano (@FabrizioRomano) October 28, 2025
Garnacho on why he joined Chelsea: “When I spoke with the club and Maresca, it’s important also the style of play we have. He explained a lot to me in a video call with him”.
“It’s a big chance to improve as a player in a team like Chelsea”, told Sports Illustrated. pic.twitter.com/OciJaqq2Pg
The winger also admitted that a familiar face helped ease the transition. He said:
I spoke to Enzo Fernández during the summer… he had been asking, ‘When are you coming?’
Since arriving at Cobham, Garnacho has impressed staff with his work ethic and willingness to adapt. Sources close to the club say Maresca has already praised his attitude and commitment in training. The 20-year-old appears determined to repay the faith shown in him not just by Maresca, but by a club that believes he can become one of the Premier League’s most exciting wide players
Bayern Munich Aim to Extend Winning Streak in DFB Pokal Clash Against Cologne
Cologne take on Bayern Munich this Wednesday night at the RheinEnergieStadion, and to be honest, it’s a mountain to climb. The hosts have not beaten Bayern in over a decade, and with the visitors flying under Vincent Kompany, it’s looking like another long evening for the Billy Goats. Still, football’s beauty lies in surprises, and Cologne will cling to that hope.

Bayern, who recently beat Club Brugge 4–0 in the Champions League and edged Monchengladbach’s ten men in a comfortable 3–0 win, as reported by Softfootball, come into this with 16 straight wins across all competitions. They are not just winning; they are steamrolling. Kompany’s system looks balanced, ruthless, and, frankly, terrifying to play against.
For Cologne, it’s been rough lately. They have picked up only four points from their last five Bundesliga games and are still recovering from that gut-wrenching 96th-minute loss at Dortmund. No shots on target, no joy, no luck. And now Bayern. That’s football’s cruel sense of humour.

Team News
Cologne’s injury list remains long. Jan Thielmann, Luca Kilian (ACL), Rav van den Berg, and Timo Hübers are all sidelined, while Cenk Özkacar faces a late fitness test. Kilian’s absence in particular leaves them short of defensive options.
For Bayern, Jamal Musiala and Alphonso Davies remain out, but Kompany confirmed several key returns in his pre-match press conference that was shared on the club’s official X account:
Things are looking good. Raphaël Guerreiro is back to full fitness, with Josip Stanišić and Serge Gnabry also back. The squad is where it needs to be going into the next three games.
Sporting Director Christoph Freund added that young goalkeeper Jonas Urbíg will start, praising his development:
He’s already at a very high level at a young age… He’s on the perfect path right now.

Possible Lineups
Cologne (3-4-2-1): Schwabe; Ozkacar, Martel, Heintz; Lund, Huseinbasic, Johannesson, Sebulonsen; El Mala, Kaminski; Bulter.
Bayern Munich (4-2-3-1): Urbig; Bischof, Kim, Upamecano, Boey; Goretzka, Kimmich; Diaz, Gnabry, Olise; Jackson.
Softfootball’s Prediction
Kompany knows the dangers Cologne pose on the counter. He warned:
They are very alert and quick to close down space… incredibly dangerous on the break.
— FC Bayern (@FCBayernEN) October 28, 2025
𝗪𝗔𝗧𝗖𝗛 𝗟𝗜𝗩𝗘! Vincent Kompany and Christoph Freund's press conference ahead of our DFB Pokal match against 1. FC Köln.
https://t.co/I5A7j9wtuW pic.twitter.com/FKNKm4KKE3
Still, Bayern’s depth and sharpness make them heavy favourites. Freund echoed that ambition:
Everyone wants to come back to Berlin — but we know we must earn it first.
Cologne will fight with spirit, but Bayern’s rhythm and quality should tell. Expect the visitors to control possession and punish defensive lapses late on.
Prediction: Cologne 0–3 Bayern Munich
Arsenal vs Brighton: Gunners Aim to Keep Momentum Despite Injury Woes
Arsenal face Brighton at the Emirates on Tuesday night in the Carabao Cup fourth round, and it’s coming at a tricky time for Mikel Arteta’s side. The Gunners are unbeaten in ten matches and flying high in the Premier League, but the squad’s looking thinner than he’d like right now.
Their recent 1–0 win over Crystal Palace, which Softfootball described as a grind that champions find a way to win, summed up their character this season. Arsenal looked composed, even with several key absentees. Brighton, though, come into this tie licking their wounds after a 4–2 defeat at Old Trafford in a night where Softfootball highlighted Bruno Fernandes’ class in his 300th United appearance.

Team News
Arsenal’s injury list keeps growing. Martin Ødegaard, Kai Havertz, Noni Madueke, and Gabriel Jesus are all out with mostly knee or ligament issues, and Jurriën Timber might not make it either. Truth be told, that’s a big blow for Arteta, but he’s managed worse. His team have kept five clean sheets in a row, showing just how organised they have become.
Expect Kepa Arrizabalaga to stay in goal behind Ben White, Christian Mosquera, Piero Hincapie, and 18-year-old Myles Lewis-Skelly. Norgaard will anchor midfield with Eze and Merino. Up front, Ethan Nwaneri, Leandro Trossard, and Viktor Gyökeres should lead the attack.

Brighton aren’t in perfect shape either. Adam Webster, Solly March, and Jack Hinshelwood are long-term absentees, while doubts remain over Kaoru Mitoma, Joel Veltman, and Diego Gómez. Fabian Hurzeler might stick with Simon Adingra, Georginio Rutter, and Danny Welbeck, who’s always up for a big night in North London.
Possible Lineups
Arsenal (4-3-3): Kepa; White, Mosquera, Hincapie, Lewis-Skelly; Eze, Norgaard, Merino; Nwaneri, Gyokeres, Trossard.
Brighton (4-2-3-1): Steele; Wieffer, Dunk, Boscagli, De Cuyper; Milner, Ayari; Gomez, Rutter, Minteh; Welbeck.

Arsenal, via their official X account, posted Eberechi Eze’s first Premier League goal for Arsenal, a stunning volley against his former club Crystal Palace which marked a significant moment in Arsenal’s 1-0 victory, extending their unbeaten run to seven matches and securing their 700th Premier League win.
Watch the video below:
Ebere Eze's first Premier League goal for The Arsenal: The Director's Cut
— Arsenal (@Arsenal) October 27, 2025pic.twitter.com/ZOJDYclWnZ
Softfootball’s Prediction
There’s a sense this could go either way. Brighton have hit some wild form in the cup—those back-to-back 6–0 wins show their depth—but Arsenal at home are a different animal. They have got structure, patience, and that bit of swagger you only get from an unbeaten run.
Prediction: Arsenal 2–1 Brighton.
PayPal to Become First Wallet in ChatGPT Thanks to New Deal With OpenAI
Morning Crypto Report: $1 Billion XRP Secured, Litecoin Price Spikes Ahead of ETF Launch, Zcash (ZEC) Overbought: Warning
Anthony Scaramucci Reacts to Major Hedera ETF Update
Ripple CTO Reveals Stunning XRP Escrow Fact as Rights May Be Sold
Nasdaq-listed AgriFORCE eyes $700M Avalanche treasury bet; AVAX price outlook
- Avalanche price is looking to hold the $20 level.
- Nasdaq-listed AgriFORCE has shareholder approval to roll out an Avalanche treasury strategy.
- The company says it’s eyeing a $700m AVAX treasury strategy.
Avalanche price holds above the $20 mark amid news that Nasdaq-listed company AgriFORCE Growing Systems has secured shareholder support for a bold pivot into the Avalanche ecosystem.
The AVAX token, which has bounced off lows of $18 in the past week, shows notable resilience amid broader market optimism around a potential altcoin explosion.
AgriFORCE eyes $700 million AVAX treasury bet
Nasdaq-listed AgriFORCE, a company traditionally rooted in sustainable agriculture technologies, is eyeing an aggressive pivot into the crypto treasury strategy ecosystem.
Specifically, the company wants to become the first publicly traded entity on Nasdaq dedicated exclusively to the Avalanche blockchain network. AVAX One is the new company.
On October 27, AgriFORCE revealed it had secured special shareholder approval for the initiative .
A $300 million capital infusion and a further $250 million offering are set to fund an aggressive AVAX treasury strategy.
In the process of acquiring and holding AVAX tokens, AgriFORCE is poised to commit up to $700 million in exposure through direct purchases, staking, and ecosystem participation.
Matt Zhang, founder of Hivemind and nominated chairman of the AgriFORCE board, commented:
“With this mandate from shareholders, we can now proceed to close the transaction and begin the focused work of accumulating AVAX strategically and creating the Berkshire Hathaway of the on-chain financial economy.”
AVAX price holds above $20: Is $40 next?
Amid the corporate enthusiasm, the Avalanche native token shows resilience.
While the price of AVAX fell from highs of $21 this week, bulls managed to recover from lows of $18. Maintaining stability above the critical $20 psychological level signals a potential bullish momentum that will align with the broader cryptocurrency market.
If bulls break above $30, the altcoin could target prices above $40. As well as tokenization, catalysts such as institutional inflows and narrative shifts around spot exchange-traded funds are critical.
AgriFORCE’s corporate strategy and market performance also point to what investors may want to look out for in the coming weeks. In its announcement, the company said it will put its plans into action in the coming days.
“The completion of this transaction will position the Company as the first Nasdaq-listed entity with a primary mission centered on the Avalanche ecosystem. The transaction is expected to close on or about October 30, 2025,” it wrote.
AVAX price reached its all-time high of $146 in November 2021.
The current price is well off this peak.
However, bulls have managed to bounce by an impressive 630% since the Avalanche price fell to its all-time low of $2.79 in 2020.
The post Nasdaq-listed AgriFORCE eyes $700M Avalanche treasury bet; AVAX price outlook appeared first on CoinJournal.

Hedera price forecast: HBAR eyes $0.23 amid ETF listing
TL;DR
- HBAR is up 16% in the last 24 hours, the best performer among the top 20 cryptocurrencies by market cap.
- The coin rallied ahead of the Hedera ETF listing on the NYSE.
HBAR outperforms other major cryptocurrencies
HBAR, the native coin of the Hedera blockchain, is the best performer among the top 20 cryptocurrencies by market cap. It added 16% to its value in the last 24 hours, allowing it to cross the $0.20 mark.
The rally comes as the Canary HBAR ETF is set to commence trading on the New York Stock Exchange today. According to Bloomberg’s senior ETF analyst Eric Balchunas, several altcoin-focused crypto ETFs are set to begin trading, including the HBAR Fund by Canary.
The new ETFs will allow institutions to gain more exposure to the cryptocurrency market, with most of them trading Bitcoin and Ethereum-focused funds since the start of the year.
The listing comes as a surprise due to the ongoing U.S. government shutdown, with the Securities and Exchange Commission only retaining a few essential staff during this period.
However, HBAR’s price could rally higher in the near term thanks to this latest development.
HBAR eyes $0.23
The HBAR/USD 4-hour chart is bullish and efficient thanks to the ongoing rally, with the technical indicators suggesting a further upward rally. The MACD lines are within the positive territory, suggesting a bullish bias.

Furthermore, the RSI of 80 means that HBAR is close to entering the overbought region. If the bullish trend continues, HBAR could rally towards the next resistance level at $0.23400 over the coming hours. An extended rally would allow the coin to touch the $0.26 mark for the first time since August 22.
However, if the market undergoes a correction following this rally, HBAR could drop to the $0.18 level to cover the FVG left by the massive push. The low of $0.16 will provide support in the near to medium term to allow the coin to surge higher.
The post Hedera price forecast: HBAR eyes $0.23 amid ETF listing appeared first on CoinJournal.

First Solana ETFs approved: bulls regain control with eyes on $230
- Solana ETFs’ launch has boosted institutional interest and market optimism.
- Bulls target $230 as SOL holds strong above the key $200 support zone.
- Technical analysis shows rising momentum with resistance near $216–$227.
The long-awaited Solana ETFs have finally been approved, sparking renewed optimism across the crypto market.
The ETFs’ approval has reignited bullish momentum, with analysts believing that the Solana price could soon rally toward $230 and beyond.
Solana ETFs debut fuels optimism
Bitwise and Canary Capital have confirmed that their individual Solana ETFs officially begin trading on October 28 after weeks of regulatory uncertainty.
Bitwise’s product, launched under the ticker BSOL, serves as a gateway for institutional exposure to Solana, featuring staking powered by Helius Labs and a temporary management fee waiver.
Introducing $BSOL — the Bitwise Solana Staking ETF. Starts trading tomorrow.
– First U.S. ETP to have 100% direct exposure to spot SOL
– Maximizing Solana’s 7%+ average staking reward rate*
– Targeting 100% of assets staked
– Staking through Bitwise Onchain Solutions, powered by… pic.twitter.com/Vo8Ko0qOCn— Bitwise (@BitwiseInvest) October 27, 2025
Grayscale has also moved swiftly, converting its Solana Trust (GSOL) into an ETF holding over $105 million worth of SOL.
Meanwhile, VanEck has also filed its sixth S-1/A amendment, with its Solana ETF status officially changed to “effective” and a 0.3% management fee established.
Adding to the growing momentum, Hong Kong’s first Solana ETF also began trading on Monday, marking Asia’s initial entry into the Solana ETF landscape.
Despite this wave of institutional activity, retail demand for Solana remains subdued.
Futures open interest sits near $9.75 billion — up slightly from the previous day but still below the $10 billion mark — indicating that traders are cautious amid market volatility.
Even so, analysts believe the ETF launches signal a critical turning point for Solana, reinforcing its legitimacy as an institutional-grade digital asset and providing the foundation for its steady hold above $200.
Bulls take charge as momentum builds
While retail demand for Solana remains unresponsive, the Solana price has been climbing steadily from $190 to $205, with short positions fading quickly.
Analysts note that bearish volume profiles are weakening while liquidity accumulates at higher price levels.
This shift has tilted momentum firmly in favour of buyers, with several technical indicators confirming the strength of the ongoing rally.
On the 4-hour chart, Solana trades above both its 50-day and 200-day moving averages, reinforcing the bullish setup.
The Ichimoku Cloud analysis shows a clear breakout, with price holding above key support between $197 and $201 — a signal that often precedes extended upward moves.
The Relative Strength Index (RSI) also hovers near 62, leaving room for additional gains before overbought conditions emerge.

Analysts now eye resistance zones between $204 and $208, followed by key hurdles at $216, $227, and $230.
Notably, a confirmed close above $205 could trigger a sustained rally toward these upper levels.
If momentum continues, higher targets around $237 and $253 come into view, aligning with Fibonacci retracement levels that mark previous swing highs.
Technical patterns hint at a repeat of 2023
Market observers have compared the current structure of Solana’s price chart to its 2023 breakout phase.
Analysts such as GalaxyBTC point to an ascending triangle pattern forming on the weekly chart, defined by a series of higher lows that indicate strong accumulation.
Same pattern as October 2023.
This Q4 we should break-out from the consolidation into new all-time-highs. pic.twitter.com/pIURlH1YUu
— Galaxy (@galaxyBTC) October 25, 2025
The critical support at $188 remains intact, representing the network’s largest volume cluster where many long-term holders entered the market.
A successful breakout above $200 would confirm the pattern and potentially lead to a test of $215 and $225, echoing the bullish behaviour seen two years ago.
The broader macro picture also appears supportive.
Some traders suggest that if the US Federal Reserve signals an end to quantitative tightening, it could inject much-needed liquidity into the market — providing another tailwind for Solana’s next leg higher.
Long-term outlook stays bullish
Even as short-term traders monitor resistance near $230, long-term analysts remain optimistic about Solana’s broader trajectory.
The asset has maintained a pattern of higher lows since early 2023, and its market structure mirrors the accumulation phase that preceded its previous bull run.
Projections place potential mid- to long-term targets around $300, $390, and even $520 if momentum and institutional demand persist.
In the near term, maintaining support between $198 and $200 is crucial.
If buyers continue to defend this zone, the Solana price could strengthen further, confirming its leadership among major altcoins.
As the first wave of Solana ETFs begins trading, the market’s sentiment has clearly shifted — bears are losing ground, and bulls now have their eyes fixed firmly on the $230 milestone.
The post First Solana ETFs approved: bulls regain control with eyes on $230 appeared first on CoinJournal.

Chainlink expands into $240B property tokenization with Balcony; check price forecast
- Chainlink (LINK) price hovers at $18.50 as cryptocurrencies eye gains.
- Big news as Chainlink and Balcony team up to power over $240 billion on the on-chain property assets market.
- Price catalysts could include tokenization and spot exchange-traded funds.
Chainlink’s traction in the crypto and blockchain ecosystem sees the oracle network rank as a global standard for decentralized finance and capital markets on-chain.
Part of the growth now has the platform teaming up with Balcony, a leading real estate tokenization firm, to bring more than $240 billion in government-sourced property assets on-chain.
As the market eyes an overall bounce amid other tailwinds, could Chainlink’s native token, LINK, gain further amid the rising institutional adoption?
Chainlink and Balcony team up, eye $240 billion market
Among crypto news today is the announcement that Balcony, recognized as the premier platform for government-sourced real estate tokenization, has forged a pivotal alliance with Chainlink.
The latter is the gold-standard oracle network in the blockchain ecosystem, and the partnership points to growing adoption of Chainlink solutions.
In this case, the two platforms are collaborating via Chainlink’s Runtime Environment (CRE), which is now integrated into Balcony’s Keystone platform.
Chainlink and Balcony will tap into CRE to secure and digitize over $240 billion in on-chain property assets.
With Chainlink, Balcony has the blockchain solution to consolidate fragmented government-sourced property data into a unified, verifiable system.
The move lays the groundwork for compliant and programmable tokenized real estate, the firms said in an announcement.
What does Chainlink’s CRE offer?
At its core, CRE facilitates the seamless on-chain deployment of authenticated parcel data, fostering unparalleled transparency in an asset class that has long been hampered by opaque records and manual processes.
By embedding CRE within Keystone, Balcony unlocks new avenues for liquidity and accessibility, enabling fractional ownership, automated compliance checks, and real-time data verification.
The goal is to address longstanding challenges in real estate, such as fraud risks and inefficient transfers. It also elevates trust in tokenized markets, currently an asset category witnessing staggering growth.
Balcony’s integration of CRE is a clear example of how Chainlink’s industry-standard oracle platform is unlocking the next generation of real-world assets. By bringing government-sourced property data on-chain, Balcony is setting a new standard for transparency and efficiency in real estate. This partnership reflects an accelerating movement to redefine how institutions and market participants interact with tokenized assets in a compliant and verifiable way,” said Colin Cunningham, head of tokenized asset sales at Chainlink Labs.
LINK price outlook
Chainlink’s native token has surged in recent months amid broader market gains.
However, ecosystem developments have buoyed investor sentiment, helping bulls to hold prices above key support levels during profit taking events.
At the time of writing, LINK traded around $18.50, just in the red on the day but up nearly 4% as bulls continue to hold above $18.
Chainlink token’s resilience in the market and platform appeal in a maturing crypto landscape are two factors likely to help bulls eye new highs.
If LINK retests the $20 resistance level, a successful breakout could allow buyers to push for $30 and multi-year highs of $40.
RWA sector traction, DeFi resilience, and spot exchange-traded funds hype may prove key catalysts.
The post Chainlink expands into $240B property tokenization with Balcony; check price forecast appeared first on CoinJournal.

First Hedera and Litecoin ETFs approved: HBAR and LTC prices take off
- Canary Capital’s HBAR and LTC ETFs approved for launch on Nasdaq.
- The ETF approvals have sparked bullish momentum for Hedera and Litecoin prices.
- Institutional interest in Hedera has also grown significantly with new global partnerships.
The long-awaited approval of the Hedera ETF and Litecoin ETF has arrived, marking a pivotal moment for both assets.
With trading set to begin on the Nasdaq, investor enthusiasm has driven renewed interest in HBAR and LTC, sending prices higher as markets react to the historic development.
A breakthrough amid a US government shutdown
In a surprising turn of events, Canary Capital confirmed that its spot ETFs tracking Hedera and Litecoin will launch tomorrow on the Nasdaq.
The approval comes despite the ongoing US government shutdown, which many assumed would halt all Securities and Exchange Commission (SEC) operations.
However, a recent procedural shift allowed issuers to bypass direct SEC intervention by letting their filings automatically go effective after 20 days.
According to Canary Capital CEO Steven McClurg, both ETFs have met all legal requirements and are ready to trade.
Bloomberg ETF analysts Eleanor Terrett and Eric Balchunas confirmed that the NYSE and Nasdaq have certified the required 8-A filings, the final step before shares can begin trading.
This development follows the model used for previous spot crypto ETFs, including those for Bitcoin and Ethereum, but with an even more dramatic twist, given the timing during a government shutdown.
🚨NEW: @CanaryFunds spot $HBAR and $LTC ETFs are now effective and will begin trading on the NASDAQ tomorrow, according to CEO @stevenmcclurg.
“Litecoin and Hedera are the next two token ETFs to go effective after Ethereum,” McClurg told me in a statement. “We look forward to… https://t.co/tPjsjLEE3R
— Eleanor Terrett (@EleanorTerrett) October 27, 2025
Hedera and Litecoin ETFs ignite market excitement
The approval of the Hedera and Litecoin ETFs has energised the crypto market, sparking fresh optimism among investors who view it as another major step toward mainstream adoption.
Hedera’s native token, HBAR, has rebounded strongly, climbing to around $0.21 at press time and reclaiming critical technical levels.
Notably, HBAR’s rise above its 20, 50, 100, and 200 exponential moving averages signals a decisive bullish shift.
At the same time, the Litecoin price is attempting to break through its stubborn $100 resistance level.
LTC price briefly spiked above the $100 mark following the ETF announcement, reflecting heightened investor interest, though it has yet to confirm a full breakout.
Technical indicators, including the Relative Strength Index (RSI) and Moving Average Convergence/Divergence (MACD), suggest that a sustained move above $100 could mark the start of a broader bullish reversal for Litecoin.
Market data also shows a shift in trading behaviour.
Hedera’s open interest has declined from over $500 million earlier this year to roughly $163 million, indicating reduced speculative leverage.
This suggests that HBAR’s latest rally is being driven more by genuine spot demand than by leveraged futures trading — often a sign of healthier market growth.
Institutional momentum grows for Hedera
Beyond the ETF launch, Hedera’s recent institutional partnerships have strengthened its long-term outlook.
The network has been selected to participate in the Reserve Bank of Australia’s Project Acacia, exploring the use of distributed ledger technology (DLT) in tokenised financial markets.
It has also been chosen by the Bank of England for its DLT Challenge, further cementing Hedera’s position among credible blockchain platforms with real-world use cases.
Meanwhile, asset management giant T. Rowe Price has filed for an actively managed crypto ETF that may include both HBAR and LTC, signalling rising institutional confidence in these networks.
These developments are viewed as reinforcing the credibility of both assets at a time when regulated exposure through ETFs is gaining traction.
What traders should expect
If current momentum holds, Hedera price could test higher resistance zones near $0.25 and even $0.28 in the coming weeks, while Litecoin price may finally break through the $100 ceiling that has capped its rallies for months.
However, analysts maintain that Hedera (HBAR) must stay above $0.21, which has been established as the immediate support, for the bullish momentum to build.
At the same time, Litecoin (LTC) must stay above $99.67 for the $100 to come to effect.
The post First Hedera and Litecoin ETFs approved: HBAR and LTC prices take off appeared first on CoinJournal.

Tu mieszkał Balcerek z Aniołem. Gdzie w Warszawie jest blok, w którym kręcono ten legendarny serial?
Tyle PiS zapłacił za kongres w Katowicach. Kwota robi wrażenie
Legenda Barcelony zaskakuje. Tym zajął się po opuszczeniu więzienia
Próbne matury i egzaminy ósmoklasisty w 2026 r. Znamy harmonogram
Szok w Czarnobylu. Psy zmieniają kolor na niebieski
Afera z działką pod CPK. Kaczyński zawiesza kolejnego polityka PiS
Już nie Egipt! Polacy coraz chętniej wybierają ten kraj na wczasy. Zimą jest tam 25 st. C
Rogale świętomarcińskie już w sklepach. Wyprzedzili konkurencję
Gorzkie słowa generała NATO. Ujawnia błędy Zachodu
Niedosyt po komisji badającej rosyjskie wpływy w Polsce. "Nie rozumiem dlaczego"
Z kont klientów Santandera zniknęły miliony złotych. Policja ujawnia nowe szczegóły
Atak psów na 14-latka w Brennej. Po okolicy rozeszła się szokująca plotka. Policja reaguje
Orlen idzie na wojnę z Obajtkiem. Gigant będzie dochodził roszczeń
Przyniosła synowi książkę. Jedna rzecz wzbudziła podejrzenia
Wielkie nieszczęście w Korycinach. Właściciel znanej firmy łamiącym się głosem: dotknęła nas tragedia
Nocny dramat w gdyńskim wieżowcu. Nie żyje kobieta, ewakuowano 24 osoby
Polki wściekłe na Tuska za te słowa w zagranicznych mediach. "Wolałam słyszeć, że daję w szyję"
Pokazała monstrualną kolejkę w warszawskiej Arkadii. Ludzie w komentarzach nie wytrzymali
Skandal w Ekstraklasie. Jagiellonia reaguje po meczu z Górnikiem i nie odpuszcza Podolskiemu
Udostępniają nagranie z żoną ministra. Poszło o to, co znajduje się w tle. Polityk reaguje
Pierwsze ofiary śmiertelne jeszcze przed uderzeniem huraganu Melissa
Rzucił się z widelcem na pasażerów. 28-latek aresztowany
"Nie popełniliśmy żadnego przestępstwa". Prezydent i jego zastępca o zatrzymaniu i zarzutach
Burza stulecia coraz bliżej. "Spodziewamy się katastrofy"
Zabójstwo Lizy w centrum Warszawy. Trwa proces apelacyjny Doriana S. z wyłączeniem jawności
W fosie znaleziono ciało mężczyzny
Melissa zbliża się do Jamajki. Apel do Polaków na wyspie
Tusk: na kilometry widać, że mamy do czynienia ze skandalem
Dziewczynka urodziła się martwa. Wyrok dla lekarza
Ziemia za połowę ceny dla osób przed 40-tką. Sprzedano tak już 33 działki
"Niewykluczone, że już w listopadzie". Głos z RPP
Policja zatrzymała pijanego rowerzystę. Miał blisko cztery promile alkoholu
Szklana wizytówka Portu Czerniakowskiego. Miasto szuka wykonawcy
Nielegalne wypłaty na "analogowe" sposoby. Ekspert o tym, co trzeba powiedzieć klientom
Ulewy w Polsce. Straż wypompowywała wodę z ulic
Co z wynagrodzeniami medyków? Padła propozycja maksymalnej stawki
"Założył i kierował zorganizowaną grupą przestępczą". Jest wniosek wobec Ziobry
Wielka wyprzedaż rosyjskiego giganta. Efekt decyzji Trumpa
Dyrektorka podstawówki z zarzutami i w areszcie. W tle gang narkotykowy
Stracili telefony w barze, to był dopiero początek ich problemów
Taksówkarz bez prawa jazdy i z łysymi oponami. Wpadł, bo przekroczył prędkość
Auto na boku i potężny korek na ważnej arterii
Dwóch 15-latków z mefedronem. "Zwrócili uwagę nerwowym zachowaniem"
W katastrofie na S7 zginęło pięć osób. Kierowca nie przyznaje się do winy
Separatyści wycofują poparcie dla mniejszościowego rządu Hiszpanii
Melissa. Huragan zmierza na Jamajkę - kamera na żywo
Sydney Sweeney miała 16 lat, gdy zalecono jej "poprawienie" twarzy botoksem
What scientists found when they analyzed 187 of Donald Trump’s shrugs
A new study indicates that Donald Trump’s frequent shrugging is a deliberate communication tool used to establish common ground with his audience and express negative evaluations of his opponents and their policies. The research, published in the journal Visual Communication, suggests these gestures are a key component of his populist performance style, helping him appear both ordinary and larger-than-life.
Researchers have become increasingly interested in the communication style of right-wing populism, which extends beyond spoken words to include physical performance. While a significant amount of analysis has focused on Donald Trump’s language, particularly on social media platforms, his live performances at rallies have received less systematic attention. The body is widely recognized as being important to political performance, but the specific gestures used are not always well understood.
This new research on shrugging builds on a previous study by one of the authors that examined Trump’s use of pointing gestures. That analysis found that Trump uses different kinds of points to serve distinct functions, such as pointing outwards to single out opponents, pointing inwards to emphasize his personal commitment, and pointing downwards to connect his message to the immediate location of his audience. The current study continues this investigation into his non-verbal communication by focusing on another of his signature moves, the shrug.
“The study was motivated by several factors,” explained Christopher Hart, a professor of linguistics at Lancaster University and the author of Language, Image, Gesture: The Cognitive Semiotics of Politics.
(1) Political scientists frequently refer to the more animated bodily performance of right wing populist politicians like Trump compared to non-populist leaders. We wanted to study one gesture – the shrug – that seemed to be implicated here. (2) Trump’s shrug gestures have been noted by the media previously and described as his “signature move”. We wanted to study this gesture in more detail to examine its precise forms and the way he uses it to fulfil rhetorical goals.”
“(3) To meet a gap: while a great deal has been written about Donald Trump’s speech and his use of language online, much less has been written about the gestures that accompany his speech in live settings. This is despite the known importance of gesture in political communication.”
To conduct their analysis, the researchers examined video footage of two of Trump’s campaign rallies from the 2016 primary season. The events, one in Dayton, Ohio, and the other in Buffalo, New York, amounted to approximately 110 minutes of data. The researchers adopted a conservative approach, identifying 187 clear instances of shrugging gestures across the two events.
Each shrug was coded based on its physical form and its communicative function. For the form, they classified shrugs based on the orientation of the forearms and the position of the hands relative to the body. They also noted whether the shrug was performed with one or two hands and whether it was a simple gesture or a more complex, animated movement. To understand the function, they analyzed the spoken words accompanying each shrug to determine the meaning being conveyed.
Hart was surprised “just how often Trump shrugs – 1.7 times per minute in the campaign rallies analyzed. Trump is a prolific shrugger and this is one way his communication style breaks with traditional forms of political communication.”
The analysis of the physical forms of the shrugs provided evidence for what has been described as a strong “corporeal presence.” Trump tended to favor expansive shrugs, with his hands positioned outside his shoulder width, a form that physically occupies more space.
The second most frequent type was the “lateral” shrug, where his arms extend out to his sides, sometimes in a highly theatrical, showman-like manner. This use of large, exaggerated gestures appears to contribute to a performance style more commonly associated with live entertainment than with traditional politics.
The researchers also noted that nearly a third of his shrugs were complex, meaning they involved animated, oscillating movements. These gestures create a dynamic and sometimes caricatured performance. While these expansive and animated shrugs help create an extraordinary, entertaining persona, the very act of shrugging is an informal, everyday gesture. This combination seems to allow Trump to simultaneously signal both his ordinariness and his exceptionalism.
When examining the functions of the shrugs, the researchers found that the most common meaning was not what many people might expect. While shrugs are often associated with expressing ignorance (“I don’t know”) or indifference (“I don’t care”), these were not their primary uses in Trump’s speeches. Instead, the most frequent function, accounting for over 44 percent of instances, was to signal common ground or obviousness. Trump often uses a shrug to present a statement as a self-evident truth that he and his audience already share.
For example, he would shrug when asking rhetorical questions like “We love our police. Do we love our police?” The gesture suggests the answer is obvious and that everyone in the room is in agreement. He also used these shrugs to present his own political skills as a given fact or to frame the shortcomings of his opponents as plainly evident to all. This use of shrugging appears to be a powerful tool for building a sense of shared knowledge and values with his supporters.
“Most people think of shrugs as conveying ‘I don’t know’ or ‘I don’t care,” Hart told PsyPost. “While Trump uses shrugs to convey these meanings, more often he uses shrugs to indicate that something is known to everyone or obviously the case. This is one of the ways he establishes common ground and aligns himself with his audience, indicating that he and they hold a shared worldview.”
The second most common function was to express what the researchers term “affective distance.” This involves conveying negative emotions like disapproval, dissatisfaction, or dismay towards a particular state of affairs. When discussing trade deals he considered terrible or military situations he found lacking, a shrug would often accompany his words. In these cases, the gesture itself, rather than the explicit language, carried the negative emotional evaluation of the topic.
Shrugs that conveyed “epistemic distance,” meaning ignorance, doubt, or disbelief, accounted for about 17 percent of the total. A notable use of this function occurred during what is known as “constructed dialogue,” where Trump would re-enact conversations. In one instance, he used a mocking shrug while impersonating a political opponent to portray them as clueless and incompetent, a performance that drew laughter from the crowd.
The least common function was indifference, or the classic “I don’t care” meaning. Though infrequent, these shrugs served a strategic purpose. When shrugging alongside a phrase like “I understand that it might not be presidential. Who cares?,” Trump used the gesture to dismiss the conventions of traditional politics. This helps him position himself as an outsider who is not bound by the same rules as the political establishment.
The findings highlight that “what politicians do with their hands and other body parts is an important part of their message and their brand,” Hart told PsyPost. However, he emphasizes that “gestures are not ‘body language.’ They do not accidentally give away one’s emotional state. Gestures are built in to the language system and are part of the way we communicate. They carry part of the information speakers intend to convey and that information forms part of the message audiences take away.”
The study does have some limitations. Its analysis is focused exclusively on Donald Trump, so it remains unclear whether this pattern of shrugging is unique to his style or a broader feature of right-wing populist communication. Future research could compare his gestural profile to that of other populist and non-populist leaders.
Additionally, the study centered on one specific gesture, and a more complete picture would require analyzing the full range of a politician’s non-verbal repertoire. The authors also suggest that future work could examine other elements, like facial expressions and the timing of gestures, in greater detail.
Despite these limitations, the research provides a detailed look at how a seemingly simple gesture can be a sophisticated and versatile rhetorical tool. Trump’s shrugs appear to be a central part of a performance style that transgresses political norms, creates entertainment value, and forges a strong connection with his base. The findings indicate the importance of looking beyond a politician’s words to understand the full, embodied performance through which they communicate their message.
“We hope to look at other gestures of Trump to build a bigger picture of how he uses his body to distinguish himself from other politicians and to imbue his performances with entertainment value,” Hart said. This might include, for example, his use of chopping or slicing gestures. I also hope to explore the gestural performances of other right wing populist politicians in Europe to see how their gestures compare. ”
The study, “A shrug of the shoulders is a stance-taking act: The form-function interface of shrugs in the multimodal performance of Donald Trump,” was authored by Christopher Hart and Steve Strudwick.

World's Tiniest Pixel Shatters Records… But There's a Catch
A full HD display on the tip of your finger.
F2Pool co-founder refuses BIP-444 Bitcoin soft fork, says it’s ’a bad idea’

F2Pool co-founder Chun Wang criticized Bitcoin’s BIP-444 soft fork — seeking to curb arbitrary onchain data — as a “bad idea” that he will not support.
How high can SOL price go as the first Solana ETF goes live?

SOL analysts highlighted the potential of its price to surge to $400 and beyond, fueled by the launch of the first Solana ETF in the United States.
A16z leads $12.9M round for ZAR to bring stablecoins to Pakistan’s unbanked

Fintech startup ZAR aims to use Pakistan’s corner stores and kiosks to make stablecoins accessible to millions of unbanked citizens.
Bitcoin analysts say this must happen for BTC price to take out $115K

A pickup in Bitcoin price momentum and trading activity could push BTC above the next significant hurdle at $115,000 and secure a sustained recovery.
Bitcoin ‘too expensive’ for retail, threatens to end bull market cycle

Bitcoin’s diminishing returns and growing inaccessibility for average retail investors are threatening the predicted extension of the crypto market cycle, according to 10x Research.
Ripple-backed Evernorth nears launch of publicly traded XRP treasury

Evernorth Holdings is progressing with its plan to launch a publicly traded XRP treasury vehicle on the Nasdaq by accumulating 388.7 million XRP.
Bitcoin price $111K support retest 'in progress' as RSI points higher

Bitcoin put in a lower high while consolidating gains as favorable RSI signals combined with an expected Federal Reserve interest-rate cut.
Solana ETFs may attract $6B in first year as SOL joins ‘big league’

Solana is stepping up to the “big league” thanks to the approval of the first Solana staking ETF, which may bring wider altcoin adoption among yield-seeking institutions, an analyst said.
Metaplanet turns to Bitcoin leverage for $500M buyback after stock value slips below BTC stash

Metaplanet’s market-based net asset value (mNAV) fell to 0.88 last week, prompting the Tokyo-listed Bitcoin treasury company to launch the Bitcoin-backed share buyback.
The technology behind trust: Inside Nobitex’s blueprint for responsible crypto
XRP price tests pivotal resistance, is a breakout to $3 on the horizon?
Can Solana price recover back above $250 on ETF launch hype?
“სასამართლოს კონკრეტული პარტიების აკრძალვის მოთხოვნით მივმართავთ”- შალვა პაპუაშვილი
“დღეს ვიწყებთ დაპირების სამართლებრივი ნაწილის შესრულებას… პარლამენტის დროებითი საგამოძიებო კომისიის მიგნებების საფუძველზე ფრაქცია ქართული ოცნების, პოლიტიკური ჯგუფების – ხალხის ძალა და ევროპელი სოციალისტების წევრები, ერთობლივი კონსტიტუციური სარჩელით მივმართავთ საკონსტიტუციო სასამართლოს კონკრეტული პოლიტიკური პარტიების არაკონსტიტუციურად ცნობისა და მათი აკრძალვის მოთხოვნით” ,_ თქვა შალვა პაპუაშვილმა ბრიფინგზე.
ცნობისთვის, “ოცნების” ხელისუფლება “ნაციონალური მოძრაობის” და სხვა ოპოზიციური პარტიების აკრძალვის შესახებ უკვე რამდენიმე თვეა საუბრობს.
როგორც შალვა პაპუაშვილი აცხადებს, სარჩელით სამი პარტიის აკრძალვას, “ნაციონალური მოძრაობა”, კოალიცია “ცვლილებებისთვის”, “ლელო- ძლიერი საქართველო” ითხოვენ.
The post “სასამართლოს კონკრეტული პარტიების აკრძალვის მოთხოვნით მივმართავთ”- შალვა პაპუაშვილი appeared first on გურია ნიუსი.
პროკურატურამ ნარკოტიკული საშუალების უკანონო შეძენა, შენახვის და რეალიზაციის ხელშეწყობის ფაქტზე ერთ პირს ბრალდება წარუდგინა
პროკურატურამ ნარკოტიკული საშუალების უკანონო შეძენა, შენახვის და რეალიზაციის ხელშეწყობის ფაქტზე ერთ პირს ბრალდება წარუდგინა.
“საქართველოს პროკურატურამ ნარკოტიკული საშუალების უკანონო შეძენა, შენახვის და რეალიზაციის ხელშეწყობის ფაქტზე ერთ პირს ბრალდება წარუდგინა.
შინაგან საქმეთა სამინისტროს მიერ ჩატარებული გამოძიებით დადგინდა, რომ ბრალდებულმა უკანონოდ შეიძინა და ინახავდა ნარკოტიკულ საშუალებას 5ფ-მდმბ-პინაკა. აღნიშნული ნარკოტიკული საშუალება რეალიზაციის მიზნით საჯაროდ ხელმისაწვდომ ადგილას ფარულად განთავსება და ადგილსამყოფელის შესახებ ინფორმაცია გაავრცელა. სამართალდამცველებმა ამოიღეს უკანონო რეალიზაციის მიზნით სხვადასხვა ლოკაციებზე განთავსებული, ასევე პირადად შენახული ნარკოტიკული საშუალება.
სამართალდამცავებმა ბრალდებული თბილისში დააკავეს. დაკავებულს ბრალდება საქართველოს სისხლის სამართლის კოდექსის 260-ე მუხლის მე-2 ნაწილის „დ” ქვეპუნქტით და 260-ე კვარტა მუხლის მე-5 ნაწილის „ე” ქვეპუნქტით წარედგინა, რაც სასჯელის სახედ და ზომად 14 -დან 20 წლამდე ან უვადო თავისუფლების აღკვეთას ითვალისწინებს.
პროკურატურის შუამდგომლობის საფუძველზე სასამართლომ ბრალდებულს აღკვეთის ღონისძიების სახით პატიმრობა შეუფარდა”,_ აცხადებს პროკურატურა.
The post პროკურატურამ ნარკოტიკული საშუალების უკანონო შეძენა, შენახვის და რეალიზაციის ხელშეწყობის ფაქტზე ერთ პირს ბრალდება წარუდგინა appeared first on გურია ნიუსი.
მოიპოვე საქართველოს ბანკის სტიპენდია 21 ადგილობრივ უნივერსიტეტში- საქართველოს ბანკი, განათლების მთავარი მხარდამჭერი ბანკი
მოტივირებული და მიზანდასახული ახალგაზრდებისთვის განათლების შესაძლებლობების შესაქმნელად, საქართველოს ბანკის სასტიპენდიო პროგრამას ახორციელებს, რომლის ფარგლებშიც 21 ადგილობრივ უნივერსიტეტში სწავლის სრული ან ნაწილობრივი დაფინანსების მიღების შესაძლებლობას აძლევს.
სასტიპენდიო პროგრამაზე განაცხადების მიღება დაიწყო. დეტალური ინფორმაციის მისაღებად ეწვიეთ ვებგვერდს: stipendia.bog.ge
ინიციატივის ფარგლებში უკვე გამოვლინდა საქართველოს ბანკის 350-ზე მეტი სტიპენდიატი. შეავსე განაცხადი და გახდი შემდეგი შენ.
რა უნდა იცოდე, საქართველოს ბანკის სასტიპენდიო პროგრამის შესახებ?
აღსანიშნავია, რომ საქართველოს ბანკის სტიპენდია ერთწლიანია, თუმცა, შესაძლებლობას აძლევს ახალგაზრდებს ყოველწლიურად შეავსონ განაცხადი და კვლავ მოიპოვონ დაფინანსება.
- სასტიპენდიო პროგრამაში მონაწილეობა ბაკალავრიატის ნებისმიერ საფეხურზე მყოფ სტუდენტს შეუძლია; მათ შორის მათაც, ვისაც მიღებული აქვს სახელმწიფო გრანტი, თუმცა, კერძო უნივერსიტეტში სწავლის გასაგრძელებლად დამატებითი ფინანსები სჭირდება;
- საქართველოს ბანკის სტიპენდიების პროექტის ფარგლებში, სტიპენდიატების შერჩევა მათი აკადემიური მოსწრების (GPA) და სამოტივაციო წერილის მიხედვით ხდება;
- საქართველოს ბანკის სტიპენდიების პროექტში 21 ადგილობრივი უნივერსიტეტია ჩართული, რომელთა ნახვა ვებგვერდზე არის შესაძლებელი.
გამოგზავნე განაცხადი 30 ნოემბრამდე და განათლების გზაზე არ გაჩერდე.
ინფორმაციისთვის, ეს საქართველოს ბანკის მიერ, კორპორაციული სოციალური პასუხისმგებლობის (CSR) ფარგლებში განხორციელებული ინიციატივების მხოლოდ ნაწილია. ფინანსური ინსტიტუტი 40-ზე მეტ საგანმანათლებლო პროექტის ახორციელებს და უჭერს მხარს, რომელთა მეშვეობით 500 000-ზე მეტი მოსწავლისთვის, სტუდენტისა და ახალგაზრდა პროფესიონალისთვის ქმნის განათლების, საკუთარი პოტენციალის გამოვლენისა და განვითარების შესაძლებლობას. საქართველოს ბანკის CSR მიმართულების პორტფელი მოიცავს ისეთ საგანმანათლებლო პროექტებს, როგორებიც არის: საქართველოს ბანკის სტიპენდიები; გიორგი ჩახავას სახელობის სტიპენდია; დიდ ბრიტანეთში, აშშ–სა და გერმანიაში სწავლის სრული დაფინანსება; იდეათეკები – საქართველოს ბანკის ბიბლიოთეკების პროექტი; საქართველოს ბანკისა და კომაროვის ერთობლივი პროექტი – STEM სკოლა; საქართველოს ბანკის ოლიმპიადები მოსწავლეებისთვის: STEM ოლიმპიადა, ეკონომიკის ოლიმპიადა, Kings-ის ფინანსური განათლების ოლიმპიადა, ევერესტი. ამასთან, საჯარო მეტყველების კონკურსი, და სხვა.
საქართველოს ბანკის მიერ განხორციელებული საგანმანათლებლო პროექტების შესახებ დეტალური ინფორმაციის მისაღებად ეწვიეთ ვებგვერდს ganatleba.bog.ge
(R)
The post მოიპოვე საქართველოს ბანკის სტიპენდია 21 ადგილობრივ უნივერსიტეტში- საქართველოს ბანკი, განათლების მთავარი მხარდამჭერი ბანკი appeared first on გურია ნიუსი.
AI და მომავლის უნარები – GAIA Meetups Horizons -ის პირველი შეხვედრა გაიმართა
თიბისის მხარდაჭერით, საქართველოს ხელოვნური ინტელექტის ასოციაციამ (GAIA) D ბლოკთან პარტნიორობით, შეხვედრების სერია – GAIA Meetup დაიწყო. რომლის ფარგლებში 25 ოქტომბერს Meetups Horizons-ის პირველი შეხვედრა გაიმართა.
Meetups შეხვედრები რეგულარულად იმართება და შეკრებების მიზანია მონაწილეების ცნობიერების ამაღლება, ინსპირაცია და პრაქტიკული იდეების გაცვლა იმის შესახებ, თუ როგორ შეიძლება დაინერგოს AI ტექნოლოგიები ბიზნესში, ადამიანებმა კი შეძლონ სწორი კომპტენეციების განვითარება სწრაფად ცვალებად პერიოდში.
GAIA-ს მითაფები ორ ფორმატში ტარდება – Tech და Horizons. Horizons-ის ყოველთვიურ მითაფებზე სხვადასხვა სფეროს პროფესიონალები განიხილავენ, როგორ ცვლის AI მათ ინდუსტრიებს, როგორ გამოიყენონ ხელოვნური ინტელექტი უკეთესად თავის საქმეში და რა სიახლეებია AI-ის მიმართულებით.
GAIA Meetups Horizons პირველ შეხვედრაზე InSource-ის მმართველი პარტნიორი, მედეა ტაბატაძემ ისაუბრა AI-ის როლზე თანამედროვე სამყაროში, შრომის ბაზარზე და პროფესიებში და იმ უნარებზე, რომელიც მომავალში კარიერული თუ პიროვნული წარმატებისთვისაა საჭირო.
„ხელოვნური ინტელექტი არ არის მხოლოდ ტექნოლოგიური ინსტრუმენტი – ეს არის ცვლილება და შესაძლებლობა, რომელიც გავლენას ახდენს ყველა სფეროზე. მნიშვნელოვანია, ადამიანები იყვნენ ღია ახალი ცოდნისადმი და შეძლონ სწორი უნარების განვითარება, რათა AI-ის შესაძლებლობები პირად და პროფესიულ განვითარებაში გამოიყენონ. Meetups Horizons სწორედ ამ მიზანს ემსახურება – გააღვიძოს ინტერესი, გაზარდოს ცნობიერება და მისცეს მონაწილეებს პრაქტიკული ხედვა მომავლისკენ“ – მედეა ტაბატაძე.
GAIA-სთან თანამშრომლობით, თიბისი აგრძელებს იმ ინიციატივების მხარდაჭერას, რომლებიც ხელს უწყობს AI-ისა და მონაცემთა მეცნიერების სფეროში განათლების ხელმისაწვდომობას, ცოდნის გაზიარებას და პროფესიული ეკოსისტემის გაძლიერებას. ხელოვნური ინტელექტის სფეროში მთავარია გჯეროდეს, იკვლიო, ისწავლო და შექმნა ახალი.
(R)
The post AI და მომავლის უნარები – GAIA Meetups Horizons -ის პირველი შეხვედრა გაიმართა appeared first on გურია ნიუსი.
საქართველოს ბანკის მხარდაჭერით, ქალი მეწარმეებისთვის ელ. კომერციის თემაზე ვორკშოპი გაიმართა
საქართველოს ბანკის ორგანიზებითა და მხარდაჭერით, ბიზნეს 360˚-ის შეხვედრების სერიის ფარგლებში, მეწარმე ქალებისთვის ვორკშოპი — „პროდუქტის განთავსების მნიშვნელობა მარკეტფლეისზე“ გაიმართა. ღონისძიებას EXTRA-ს მარკეტინგის დირექტორი, მარიშა გოგოლაური უძღვებოდა.
ვორკშოპის მონაწილეებმა პრაქტიკული გამოცდილების საფუძველზე გაიგეს, თუ როგორ ეხმარება მარკეტფლეისი მცირე და საშუალო ბიზნესს ოპერაციული პროცესების გამარტივებაში, დროისა და ხარჯების დაზოგვაში, გაყიდვების ეფექტიანად ზრდაში და ბრენდის სწორი პოზიციონირების უზრუნველყოფაში.
შეხვედრაზე განსაკუთრებული აქცენტი გაკეთდა Buy Box-ის მნიშვნელობაზე ელექტრონულ კომერციაში, გაყიდვების მრავალფეროვან არხებსა და პროდუქტის როგორც ფიზიკურ, ასევე ონლაინ სივრცეებში სწორად წარმოჩენის მნიშვნელობაზე.
ღონისძიება ინტერაქციული ფორმატით წარიმართა, რის შედეგადაც მონაწილე მეწარმეებს შესაძლებლობა ჰქონდათ, ექსპერტთან ერთად საკუთარ საქმიანობასთან დაკავშირებული საკითხები გაეზიარებინათ და პრაქტიკული რჩევები მიეღოთ.
აღსანიშნავია, რომ ვორკშოპი ბიზნეს განათლებისა და ბიზნეს 360° პლატფორმის შემადგენელი ნაწილია. ბიზნეს 360° აერთიანებს ყველა იმ რესურსს, რომელსაც საქართველოს ბანკი მცირე და საშუალო ბიზნესის გაძლიერების მიზნით ქმნის — მათ შორის საგანმანათლებლო პროგრამებს, შეთავაზებებს, სექტორულ ანალიზებსა და შეხვედრებს.
(R)
The post საქართველოს ბანკის მხარდაჭერით, ქალი მეწარმეებისთვის ელ. კომერციის თემაზე ვორკშოპი გაიმართა appeared first on გურია ნიუსი.
სიახლე მათთვის, ვინც მუნიციპალური ტრანსპორტით მგზავრობს
პირველი ნოემბრიდან საზოგადოებრივი ტრანსპორტის მიმართულებით ცვლილებები განხორციელდება – N306 მარშრუტზე ახალი, 18-მეტრიანი ავტობუსები იმოძრავებენ, – განაცხადა თბილისის მერმა კახა კალაძემ მუნიციპალიტეტის მთავრობის დღევანდელ სხდომაზე.
მისი თქმით, N306 მარშრუტი, რომელიც აქამდე მხოლოდ აკაკი ბელიაშვილის ქუჩიდან ნიკოლოზ ბარათაშვილის ქუჩამდე არსებულ მონაკვეთს მოიცავდა, დაგრძელდება და დაფარვის არეალი გაფართოვდება.
„აქამდე აღნიშნულ მარშრუტზე რვა ერთეული 12-მეტრიანი ავტობუსი მოძრაობდა, ხოლო განახლებულ მარშრუტზე მგზავრებს 20 ერთეული 18-მეტრიანი ავტობუსი მოემსახურება, რაც გაზრდის ტევადობასა და ბევრად მეტ მგზავრს მოემსახურება. ასევე, შემცირდება მოლოდინის დრო. ახალი სქემის მიხედვით, მარშრუტი ნიკოლოზ ბარათაშვილის ქუჩიდან ქეთევან დედოფლის გამზირამდე გაგრძელდება, შემდეგ კი ავტობუსი ბერი გაბრიელ სალოსის გამზირსა და ემირ ბურჯანაძის ქუჩას დაუკავშირდება. მეორე მხრივ, მარშრუტი აკაკი ბელიაშვილის ქუჩიდან დიდ დიღმამდე გაგრძელდება. შესაბამისად, N306 ავტობუსი იმოძრავებს ფარნავაზ მეფის გამზირისა და დემეტრე თავდადებულის ქუჩის გავლით“, – განაცხადა კახა კალაძემ.
მისივე თქმით, აღნიშნული ცვლილება განსაკუთრებით მნიშვნელოვანია ბერი გაბრიელ სალოსის გამზირის და ემირ ბურჯანაძის ქუჩაზე მცხოვრები მოსახლეობისთვის, რომელთაც წლების განმავლობაში ავლაბრის მიმართულებით გადაადგილების პრობლემა ჰქონდათ.
გარდა ამისა, კახა კალაძის განცხადებით, ბელიაშვილის ქუჩისა და რობაქიძის გამზირის კვეთაზე, ახალი სატრანსპორტო კვანძიც მოეწყო. შესაბამისად, პირველი ნოემბრიდან N306 მარშრუტის ავტობუსები ამ კვანძზე შუქნიშნის რეგულირების საშუალებით, მარცხნივ მოხვევით, მეტროსადგურ „დიდუბის“ მიმართულებით გადაადგილდებიან.
The post სიახლე მათთვის, ვინც მუნიციპალური ტრანსპორტით მგზავრობს appeared first on გურია ნიუსი.
Spalletti opens up about Juventus job: ‘Whoever replaces Tudor is lucky’
Luciano Spalletti opens up about rumours linking him with the Juventus job, saying that ‘whoever will replace Igor Tudor will be lucky.’
Spalletti is the leading candidate for the Juventus job, as multiple sources in Italy claim that he and Bianconeri director Damien Comolli will sit down today to discuss contract details with him today.
Ironically, Spalletti had already planned a meeting with the media on Tuesday morning to unveil a new advertisement in which he features alongside his former Roma star Francesco Totti.
Spalletti comments on possible Juventus appointment

The ad was released earlier this week, and Spalletti didn’t only talk about his latest sponsorship commitment.
“I feel well, I wait with serenity. I have the ambition to set things right,” the ex-Italy coach told Sky Sport via Gazzetta.

“I can only speak highly of Tudor, a serious and passionate person. Whoever will replace him will be lucky because he’ll find a well-trained team.”
Juventus confirmed Tudor’s sacking on Monday after the team lost three consecutive matches and failed to score in the last four.
Spalletti on the reunion with Totti

Spalletti also spoke about his reunion with Totti, which has made headlines in Italy because of their public dispute during the coach’s second spell at the Stadio Olimpico.
“It feels so good to sit next to Totti,” Spalletti said.
“There were some risky choices, but we spent some marvellous years together, so when Ramazzotti put us back together, I was very happy and he was quite relaxed.”
Inter goalkeeper Josep Martinez involved in car accident that killed 81-year-old in a weelchair
An 81-year-old man in an electric wheelchair was fatally struck this morning by a car driven by Inter‘s second-choice goalkeeper Josep Martinez, reports in Italy claim.
There’s tragic news from Italy this morning, as according to several sources, including Gazzetta, Inter’s second-choice keeper Josep Martinez was involved in a car accident that killed an 81-year-old man in an electric wheelchair.
Inter goalkeeper Martinez involved in car accident that killed 81-year-old man

It happened at around 9:40 am local time on Via Bergamo in Fenegrò, in the province of Como, near Inter’s training centre Appiano Gentile.
The man was pronounced dead at the scene despite the prompt arrival of an ambulance and an air ambulance.
The Italian Police is carrying out investigations to reconstruct the dynamics of the accident.
Inter cancel Chivu’s press conference

According to Gazzetta, the initial hypothesis is that the elderly man may have suffered a sudden illness and veered into the lane where Martinez was driving.
The Nerazzurri goalkeeper immediately stopped and provided first aid to the man.
Following the tragic news and as a sign of mourning, Inter decided to cancel Cristian Chivu’s press conference, which was scheduled for 14:00 CET today.
Napoli star De Bruyne to undergo surgery and return in 2026
Multiple sources in Italy claim that Kevin De Bruyne will undergo surgery in Antwerp tomorrow and will only return to action in February 2026.
Napoli star De Bruyne is set to miss several months of action after suffering a severe lesion to the thigh muscle in a Serie A game against Inter on Saturday.
De Bruyne set to undergo surgery after latest injury

Corriere dello Sport, Gazzetta and Tuttosport report that the Belgium international will be forced to undergo surgery in Antwerp. The operation will be carried out tomorrow, Wednesday, October 29.
According to reports, De Bruyne will miss from three to four months of action, returning on the pitch around February 2026.
According to Corriere dello Sport, the ex-Manchester City star has already landed in Belgium to prepare for the surgery.
De Bruyne suffered the same injury with Manchester City in 2023

De Bruyne sustained an injury to the same muscle in August 2023, which sidelined him for five months. During that period, he missed 28 matches for Manchester City and one for the Belgium national team.
De Bruyne underwent surgery two years ago as well, while his teammate and compatriot Romelu Lukaku, who sustained a similar injury this past August, has opted for conservative therapy.
Three reasons behind frosty relationship between Juventus director Comolli and Tudor
Juventus sacked Igor Tudor because of poor results and performances in recent games, but the frosty relationship between the Croat and club director Damien Comolli also played a role in the coach’s dismissal.
Juventus announced Tudor’s sacking on Monday and Juventus General Manager Comolli is set to meet Luciano Spalletti today to offer him the job at the Allianz Stadium.
Juventus have been winless since September 13, they’ve lost three games in a row and have not scored in the last four.
Naturally, results and performances in recent weeks led to Tudor’s dismissal, but there’s more behind Juventus’ decision to part ways with the Croatian tactician.

Behind Tudor and Comolli’s frosty relationship
Juventus’ transfer activity surely affected the relationship between Comolli and Tudor, given that the coach’s requests were largely ignored by the Old Lady’s general manager. Juventus didn’t sign a new central midfielder over the summer but signed instead two attacking players, Lois Openda and Edon Zhegrova, on deadline day. Furthermore, Tudor was eager to keep Alberto Costa in the team, especially after some positive performances in the Club World Cup, but Juventus still decided to swap the Portuguese right-back with his compatriot Joao Mario, who has only collected 330 minutes on the pitch across all competitions since moving to Turin.

Director of Performance
The appointment of a new Director of Performance, Darren Burgess, in September, was another decision that the club did not share with the coach. The welcome from Tudor surely wasn’t a warm one, as the Croat said “This gentleman hasn’t yet arrived at the club” when asked about Burgess’ appointment last month. Juventus had welcomed Burgess, stating that the ex-Arsenal and Liverpool staff member would “work closely with Damien Comolli, Giorgio Chiellini, François Modesto, Igor Tudor and across all the technical areas and every age group of the Club to form a high-level team dedicated to promoting excellence in performance, innovation and athlete wellbeing.” Furthermore, as first reported by Tuttosport, in recent weeks, club directors also discussed Tudor’s tactics, suggesting in one-on-one meetings that he should have considered switching to a four-man defence, a step into Tudor’s territory that the coach didn’t particularly appreciate.
Communication
Aside from results, Juventus were also not impressed by Tudor’s communication, including frequent protests towards referees. Tudor’s first complaint came after a 1-1 draw at Hellas Verona, in which the Bianconeri protested for a penalty kick in favour of their opponents and a potential red card for the Gialloblu striker Gift Orban. On that occasion, Tudor labelled the penalty kick decision as “shameful.” Tudor’s communication strategy didn’t change in the following weeks as he kept complaining about referees, and even the fixture list, before a Champions League game against Real Madrid last week, with Giorgio Chiellini, Comolli and François Modesto sitting in front of him in the first row of the press room of the Estadio Bernabeu. Ultimately, on and off-the-field issues led to the coach’s dismissal, and Juventus are now on the verge of starting a new era, with their third coach in seven months.
Serie A: Atalanta vs. Milan – probable line-ups and where to watch on TV
Santiago Gimenez will partner with Rafael Leao in Milan’s away game at Atalanta this evening, while Ivan Juric will look to Charles De Ketelaere and Ademola Lookman.
It kicks off at 20:45 CET (19:45 GMT) at the New Balance Stadium in Bergamo.

It’s a mid-week Serie A round, and the game will kick off after Lecce-Napoli.
Atalanta are the only unbeaten team in Serie A this season, but have also collected six draws in eight matches.
They host Milan without the injured Giorgio Scalvini, while the Rossoneri have travelled to Bergamo without Adrien Rabiot, Ardon Jashari, Christian Pulisic and Pervis Estupinan.

Multiple sources, including Gazzetta, claim that Atalanta coach Juric will pick Lookman and De Ketelaere in attack, with Mario Pasalic playing as an attacking midfielder.
Massimiliano Allegri is expected to reply with Leao and Gimenez up front. The Mexico international has yet to score a goal in Serie A this season.
Davide Bartesaghi will replace Estupinan on the left wing, and Fikayo Tomori will return to the starting XI after resting against Pisa in the previous round.
Atalanta vs. Milan – where to watch on TV
The game will be broadcast live on TNT Sports 1 in the UK and Ireland, but is also available to stream on DAZN. Fans in the USA can stream it live on Paramount+.
Atalanta vs. Milan – probable line-ups
Atalanta (3-4-2-1): Carnesecchi; Kossounou, Hien, Djimsiti; Zappacosta, De Roon, Ederson, Zalewski; Pasalic; De Ketelaere, Lookman.
Milan (3-5-2): Maignan; Tomori, Gabbia, Pavlovic; Saelemaekers, Fofana, Modric, Ricci, Bartesaghi; Gimenez, Leao.
Serie A: Lecce vs. Napoli – probable line-ups and where to watch on TV
Lorenzo Lucca is expected to return to the Napoli XI against Lecce today, but Scott McTominay might start on the bench.
It kicks off at 18:30 CET (17:30 GMT) at the Stadio Via del Mare in Lecce.

Napoli see Rasmus Hojlund and Amir Rrahmani return to action, but neither is fit to start, so Antonio Conte is expected to pick Lucca in attack, Sam Beukema and Juan Jesus at centre-back.
Lucca was benched against Inter on Saturday and had received a red card in his latest game as a starter against PSV last week.
Romelu Lukaku, Kevin De Bruyne, Alex Meret and Stanislav Lobotka are injured.

Several sources, including Gazzetta and Corriere dello Sport, report that Scotland international McTominay is expected to rest so Eljif Elmas will join Billy Gilmour and Zambo Anguissa in the middle of the park.
Noa Lang is expected to start for the first time in Serie A this season, completing a three-man attack with Lucca and Matteo Politano.
Milan loanee Francesco Camarda is expected to start for Lecce.
Lecce vs. Napoli – where to watch on TV
The match is available on TNT Sports 1 and DAZN in the UK and Paramount+ in the USA.
Lecce vs. Napoli – probable line-ups
Lecce (4-3-3): Falcone, Veiga, Gaspar, Tiago Gabriel, Gallo; Coulibaly, Ramadani, Maleh; Pierotti, Stulic, Banda.
Napoli (4-3-3): Milinkovic-Savic, Di Lorenzo, Beukema, Juan Jesus, Olivera; Anguissa, Gilmour, Elmas; Politano, Lucca, Lang.
Juventus set to meet Spalletti today
Juventus director Damien Comolli is set to meet with ex-Italy coach Luciano Spalletti today to offer him a contract as a replacement for Igor Tudor.
Multiple sources in Italy, including Gazzetta, claim that Juventus will meet with Spalletti today to discuss the contract details and the technical project following Tudor’s dismissal.
Juventus to meet Spalletti today

Football Italia exclusively reported on Monday that Juventus had established contact with Spalletti right after Tudor’s departure.
The Bianconeri have gone eight consecutive games without victories and have not scored a goal in the last four matches.
Spalletti, a Napoli Scudetto winner in 2022-23, has been without a team since June, when he was sacked by the Italian federation.
Juventus to offer Spalletti a contract until June 2026

According to Tuttosport, Spalletti will be offered a contract until the end of the season, with an option to extend in case of Champions League qualification.
Gazzetta claims that Spalletti has rejected offers from Saudi and Turkish clubs and is eager to accept the Juventus job. However, if the two parties fail to reach an agreement, Roberto Mancini and Raffaele Palladino remain possible candidates for the Old Lady.
Today’s Papers – Juventus meet Spalletti, De Bruyne set for long layoff
La Gazzetta dello Sport

Juventus sack Tudor
Spalletti ahead
Comolli meets the ex-CT today. Green light expected. Eight months and renewal in case of Champions League. Palladino and Mancini the alternatives. Brambilla on the bench tomorrow.
Lookman-Leao full speed
De Bruyne has to undergo surgery, Napoli for the sprint
Inter, with three defeats in eight games, the Scudetto is a feat.
Corriere dello Sport

Tudor sacked
Yesterday the dismissal and negotiations with the ex-CT
Juve to Lucio
Spalletti is ready to say yes, today the meeting for the signature.
Buffon: ‘This is the ideal solution.’ If he doesn’t sign, Mancini is the alternative. Fatal defeat against Lazio for Tudor. Brambilla on the bench against Udinese tomorrow.
Napoli want to win for KDB
Allegri: ‘Leao is worth 25 goals.’
Tuttosport

Juve, why Spalletti
Tudor out! Today the meeting with the ex-CT
Comolli has gone all the way for Luciano, already contacted in June: all the reasons. A missed agreement would reopen other options, from Mancini to Palladino. Igor sacked after the last outburst in Rome: he pays for results, communication and dislikes in the dressing room. Tomorrow Brambilla on the bench.
Baroni knows how to change and improve Toro
Leao on fire. Allegri’s push: ‘He can score 20 goals.0
De Bruyne choc, Conte will welcome him back in February
Mason Greenwood set to be offered Premier League return by Man United rivals
Tottenham Hotspur have reportedly entered the race to sign Mason Greenwood from Marseille, according to a report from TeamTalk.
The North London club are believed to be seeking a “dynamic player” to strengthen their attacking options ahead of next season, and Greenwood has emerged as a serious candidate.
The former Manchester United forward has rediscovered his form in Ligue 1, becoming one of the best performers in French football.
However, Tottenham face competition from several major clubs, with Barcelona, Atletico Madrid, and West Ham United all expressing interest in the 24-year-old.
Mason Greenwood has excelled in the Ligue 1
Greenwood’s career has experienced a dramatic turnaround since his move to Marseille.
After leaving Man United in 2024, the English forward has rebuilt his reputation and confidence through consistent performances in France.
So far this season, Greenwood has scored eight goals in 12 appearances across all competitions, continuing the fine form that saw him notch 22 goals in 36 games last campaign.
For Tottenham, Greenwood represents a potential game-changer. Manager Thomas Frank has made no secret of his desire to add pace, versatility, and unpredictability to his frontline.
Greenwood’s capacity to play across the front three, as a right winger, left forward, or even a secondary striker, matches perfectly with Frank’s tactical ideas.
Tottenham face competition to sign former Man United star

However, Tottenham’s pursuit will not be easy. Barcelona and Atletico Madrid are both monitoring Greenwood’s progress, with the Spanish giants attracted by his age, adaptability, and proven productivity.
Meanwhile, West Ham United have also joined the chase. Some of the top clubs in the world are taking notice of his consistent performances and goal scoring record.
Greenwood could get the opportunity to prove himself in the Premier League after his Man United spell was cut short due to his controversial off the field activities.
Spurs could now give him another chance to play in the Premier League.
Report: Tottenham tracking 23-year-old attacker who finds their interest “very flattering”
The post Mason Greenwood set to be offered Premier League return by Man United rivals appeared first on CaughtOffside.
Thomas Frank unimpressed with 28-year-old Tottenham ace with replacement being lined up
Tottenham could be heading for a change at the top of their attack when the January transfer window opens.
According to Football Insider, the club are considering replacing Dominic Solanke, who has struggled to find his form and fitness under manager Thomas Frank.
The England international was signed with big expectations following an impressive spell at Bournemouth, but injuries and inconsistency have prevented him from making the desired impact.
With Tottenham eager to stay competitive in both domestic and European competitions, the board are reportedly exploring forward options, with former Brentford star Ivan Toney among the top names linked.
Dominic Solanke has struggled at Tottenham
Solanke’s move to Tottenham was intended to provide a focal point for the Spurs attack.
However, things haven’t gone as planned. Since joining the North London side, the 28-year-old striker has faced multiple fitness setbacks, limiting his rhythm and confidence in front of goal.
Even when available, Solanke has struggled to replicate his Bournemouth form, where his movement, pressing, and ability to bring teammates into play made him one of the Premier League’s most underrated forwards.
Frank has grown frustrated with the lack of consistency. The Dane has made it clear to Tottenham’s recruitment team that the squad needs a striker who can deliver immediately and adapt seamlessly to his high-intensity demands.
Could Ivan Toney replace Solanke at Spurs?

In that regard, Toney has emerged as a natural target. The Al Ahli attacker has played previously under Frank at Brentford and the manager and the attacker enjoyed a strong relationship.
Frank was able to get the best out of Toney and he feels that the attacker should return to England from the Middle East.
Should Tottenham bring in a new forward, it could pave the way for Solanke to seek regular playing time elsewhere.
With January fast approaching, Spurs will need to act decisively to strengthen their frontline and keep pace with their Premier League rivals.
Report: Chelsea to battle Spurs for midfielder causing “excitement” across Europe
The post Thomas Frank unimpressed with 28-year-old Tottenham ace with replacement being lined up appeared first on CaughtOffside.
Champions League club eyeing move for Chelsea star struggling for playing time under Maresca
Italian giants Juventus are eyeing a move for Chelsea right-back Malo Gusto, according to Calciomercato.
The French international, still only 22, has impressed in flashes since joining Chelsea from Lyon, but his limited game time and the resurgence of Reece James could open the door to a transfer.
The Juventus hierarchy are said to be long-time admirers of the young defender and see him as a potential solution to the club’s right-back dilemma, particularly after the Bianconeri missed out on signing Atlético Madrid’s Nahuel Molina last summer.
Juventus are looking for an attacking full-back
The Serie A side had been close to agreeing a deal for Molina during the last transfer window but were ultimately unable to complete the move due to financial and timing constraints.
Since then, the need for a dynamic full-back capable of contributing both defensively and offensively has remained a key priority.
Gusto, who is known for his explosive pace and overlapping runs, is exactly the kind of player Juventus are looking to sign.
At Chelsea, Gusto’s development has been somewhat stifled by the continued presence of club captain James, whose return to full fitness has reduced the Frenchman’s opportunities in the starting lineup.
His performances have not gone unnoticed in Europe, and Juventus are reportedly monitoring the situation closely, aware that Chelsea could be open to selling if the right offer arrives.
Malo Gusto has struggled for playing time at Chelsea

Juventus are also planning for the long term, seeking to lower the squad’s average age while maintaining quality.
The Turin-based club’s sporting directors are understood to have initiated contact with Gusto’s representatives to gauge his openness to a move, though no formal bid has yet been lodged.
Juventus’ admiration for the French defender is genuine, and with Molina still on Atlético Madrid’s books, Gusto represents a realistic and affordable alternative.
If James stays fit and Gusto continues to find minutes hard to come by, a move to Turin could appeal to all parties.
Report: Chelsea to battle Spurs for midfielder causing “excitement” across Europe
The post Champions League club eyeing move for Chelsea star struggling for playing time under Maresca appeared first on CaughtOffside.
Are Manchester United planning to bolster their midfield options with a pair of English starlets?
While there might have been plenty of speculation during October’s international break that Ruben Amorim could be removed from his position in the Old Trafford dugout, Manchester United have certainly claimed a recent boost. Last seen over the weekend securing an action-packed 4-2 victory at home against Brighton, the former Sporting Lisbon boss has seen […]
The post Are Manchester United planning to bolster their midfield options with a pair of English starlets? appeared first on Soccer News.
The post Are Manchester United planning to bolster their midfield options with a pair of English starlets? appeared first on Soccer News.
Liverpool ready to pay big money for Ibrahima Konate replacement: report
Quiz! Can you name every club to have won the League Cup?
Carabao Cup TV guide: How to watch every EFL Cup game live around the world
The 20 biggest players out of contact next summer
The Debate: Should the number of Championship play-off spot be increased from four to six?
Fedora Linux 43 Now Available For Download
Apple Silicon USB3 Support Queued Ahead Of Linux 6.19
DM-VERITY Change For Linux 6.19: "On Some CPUs This Nearly Doubles Hashing Performance"
59 Patches Allow Finally Building Glibc With LLVM's Clang Compiler
Stride 4.2.1.2485 Game Engine Brings Vulkan Compute Shader Support, Better Performance
Windows 11 Will Start Memory Scans After BSOD to Prevent Future Issues
Microsoft notes that this first wave flags every bug check so they can watch how memory glitches turn into blue screens, and they will refine targeting of these issues in the later updates. At the moment the preview will not run on Arm64 PCs, machines that have Administrator Protection turned on, or any BitLocker setup that boots without Secure Boot enabled. Users that are part of the Windows Insiders Dev and Beta channels will be able to access this feature. Windows 11 Insider Preview Build 26220.6982 (KB5067109) and Windows 11 Insider Preview Build 26120.6982 (KB5067109) are the first in the rollout, so they can beta test the feature before it hits the main stable Windows 11 branch.
NVIDIA DGX Spark Reportedly Runs at Half the Power and Performance
After facing multiple delays, NVIDIA's DGX Spark has finally reached developers. However, many are reporting software and firmware issues on NVIDIA's end. There may also be thermal throttling problems, causing the chip to reduce frequency and voltage to prevent overheating. In some cases, the system has rebooted, potentially due to inadequate cooling. The GB10 SoC is rated for a 140 W TDP, and the 128 GB configuration of LPDDR5X could add several dozen additional watts. Therefore, a 100 W power draw doesn't seem feasible for the DGX Spark. It remains to be seen whether a software or firmware update will address these issues, or if NVIDIA will provide an aftermarket cooling solution for its $3,999 machine if it continues to overheat.
(PR) Samsung Launches New microSD Express Card P9 Express
transfer performance compared to UHS-I cards, making it ideal for environments that demand high-capacity processing and fast data transmission.
The P9 Express is especially valuable for hardcore console gamers who frequently enjoy a diverse range of games and Downloadable Content (DLC), often demanding additional storage capacity beyond the internal storage. To meet different gaming needs, it is available in both 256 GB and 512 GB options. It also provides an ideal solution for multiple users sharing a single console, where ample capacity is required for several different game installations, helping gamers overcome limited internal storage and enjoy a wide variety of titles without compromise. When used with a dedicated SD Express interface, the P9 Express delivers sequential read speeds up to four times faster than UHS-I, enabling creators and professionals to efficiently move large volumes of data from devices to PCs, laptops, or workstations.
(PR) ASUS Launches XA NB3I-E12 AI Server Built with NVIDIA HGX B300
(PR) Klevv Expands Urbane V RGB DDR5 Gaming/OC Memory Series With an All-New Jet Black Edition
The URBANE V RGB Gaming/OC series is designed with both style and function in mind, featuring a 2 mm-thick aluminium heatsink with refined, curved edges and precision linear grooves that ensure durability and efficient cooling. With a low-profile height of just 42.5 mm, the modules fit seamlessly into diverse builds while maintaining optimal thermal performance. A distinctive dual-beam RGB light guide delivers smooth, customizable illumination across 16 million colors, fully compatible with major motherboard lighting software. This proven design, recognized with the prestigious iF Design Award, is now available in an elegant Jet Black finish that complements today's modern gaming and creator setups.
Samsung’s Mysterious Tri-Fold Phone Just Made Its First Public Appearance
Samsung has just shown off its first tri-fold smartphone ahead of its launch. Sounds confusing? Well, it kind of is. The company showed off the device sitting under glass during the K-Tech Showcase in Korea.
The K-Tech Showcase is kind of a side event of the APEC Summit, which is taking place October 31-November 1. The phone is tipped to get a full reveal during the APEC Summit, so we could be only days away from that happening. This appearance at the K-Tech Showcase certainly points in that direction.
Samsung’s first tri-fold phone just made its first public appearance
In any case, the device is shown here, but only its front side, it could be reflective of a device that is coming soon. It’s shown in full unfolded, and fully folded formats. Several sources shared these images, and that includes Ice Universe and The Chosun. You can see the device in the gallery below.
When fully folded, the phone will feature a 6.5-inch display, allegedly, as shown above. When completely extended, you’ll get a 10-inch display to use. You’ll notice that a display camera hole is all unfolding levels, basically.
The phone will have a middle-of-the-road unfold state, too. It is expected to offer an 8-inch display in that state. So it’ll essentially be a tiny table when unfolded once.
The device is expected to launch soon, possibly later this week
This is what Samsung said to SamMobile, in a statement: “Samsung continues to advance innovative technologies, including next-generation form factors in the era of mobile AI, to deliver meaningful user experiences. The recent showcase reflects ongoing R&D efforts, and we plan to bring this next generation device to users within this year.”
From that statement, one might think Samsung is saying this is just a prototype, not the real thing. Well, it could be, though if the device is coming in only a couple of days, that doesn’t make much sense. Either way, Samsung once again confirmed that the real tri-fold announcement is right around the corner.
The post Samsung’s Mysterious Tri-Fold Phone Just Made Its First Public Appearance appeared first on Android Headlines.
3 Altcoins That Let You Spend Stablecoins Anywhere Visa is Accepted

The post 3 Altcoins That Let You Spend Stablecoins Anywhere Visa is Accepted appeared first on Coinpedia Fintech News
Most crypto cards sound great until the moment they don’t work at the checkout. That’s the problem this new wave of altcoins is finally solving. Digitap ($TAP), BNB, and CRO have each created systems that let users pay with stablecoins anywhere Visa is accepted. Their goal is simple: make digital money work as easily as cash.
These altcoins turn wallets into spending tools and give holders a reason to use their crypto, not just hold it. And leading this new wave is Digitap, which has already passed $1 million in its presale – a rare milestone for a project that’s still early but already has a live app.
Digitap Leads the $1M Presale with a Live Visa Card
Digitap is one of the newest names in crypto, but it already looks far ahead of most projects in the space. One of the world’s first omni-banks – a single app where people can hold, send, and spend both crypto and cash. The app is already live on the Apple App Store and Google Play Store, which makes it easy for anyone to download and start using today.
What makes Digitap stand out is that the Visa card connects directly to the user’s balance. There is no need to swap tokens first. Users can shop online or tap in-store just like they would with any regular debit card. The card also connects to Apple Pay and Google Pay, so payments are instant, contactless, and hassle-free.

At the center of the Digitap app is its token, $TAP. It’s what keeps everything running. Holders can stake it to earn rewards, get lower fees, and unlock special perks like higher card limits or concierge services.
What really sets it apart is the way Digitap manages value. Half of all platform profits go toward buying back and burning $TAP, which permanently reduces supply. That means every bit of growth in the app helps make the token more scarce over time. It’s a simple idea — real use creates real demand — and it gives $TAP a reason to exist beyond trading.
The presale has already passed $1 million, which is a strong sign of early support from investors who see real progress. The token is priced at $0.0194 for now, with the next round set to rise to $0.0268. That climb feels well earned — most presale projects never make it this far.
Digitap already has a live, working app in people’s hands, which gives the presale more weight than promises on a roadmap.

BNB Shows How a Top Altcoin Stays Useful
BNB sits comfortably among the top five cryptocurrencies in the world. It trades at around $1,167 and has a market cap of more than $150 billion — proof of how deeply it’s rooted in the market. Even after years of ups and downs, BNB stays at the center of the crypto economy.
The token fuels everything inside the Binance ecosystem — trading, staking, DeFi, and payments. One of its most practical features is the Binance Visa Card, which lets users spend their crypto almost anywhere.
At checkout, the card automatically turns crypto into local currency, so payments feel instant and simple. On top of that, users earn cashback in BNB, giving real value back every time they spend.
BNB’s strength comes from its scale. Binance has tens of millions of users and some of the highest daily trading volumes in the world. The token’s steady value and strong use inside the exchange help it stay resilient even during market slowdowns.

Source: CoinMarketCap/BNB
CRO Builds Steady Value in a Volatile Market
CRO, the native token of Crypto.com, currently trades around $0.15. The token has held steady through recent market swings, supported by the brand’s large user base and active card program.
The Crypto.com Visa Card remains one of the best-known crypto cards in the world. It lets users pay with crypto or stablecoins anywhere Visa is accepted. The app automatically converts digital assets into fiat at the point of sale. Cashback rewards are paid in CRO, and users who stake more CRO receive higher cashback and extra benefits such as airport lounge access.
Crypto.com has built one of the most complete ecosystems in the industry, combining an exchange, NFT marketplace, and DeFi tools. The CRO token sits at the center of it all. It connects users to products and rewards. Its stability and strong branding have helped it keep a loyal following even through volatile market periods.

Source: CoinMarketCap/CRO
What Is the Best Altcoin for 2025?
All three tokens — $TAP, BNB, and CRO — connect crypto to real-world spending. Each has a Visa-backed card that lets users pay at millions of locations. Yet one project clearly leads in innovation and accessibility.
Digitap already runs a live app, not just a website promise. Its card works now, and users can join without complex KYC steps if they choose the privacy tier. The project also burns half of its profits, which supports long-term value for holders.
BNB and CRO are strong, established players, but they serve users mainly inside their own exchange ecosystems. Digitap stands apart as a full financial app built for both fiat and crypto. For anyone looking for the next altcoin that brings stablecoins into everyday life, Digitap looks ready to take that role.
Discover the future of crypto cards with Digitap by checking out their live Visa card project here:
Presale https://presale.digitap.app
Website: https://digitap.app
Social: https://linktr.ee/digitap.app
PayPal Partners with OpenAI to Power Instant Checkout, AI Commerce in ChatGPT

The post PayPal Partners with OpenAI to Power Instant Checkout, AI Commerce in ChatGPT appeared first on Coinpedia Fintech News
PayPal has teamed up with OpenAI in a major move that could change how people shop and pay online.
Announced on October 28, the partnership will bring instant checkout and agentic commerce to ChatGPT, allowing users to discover and buy products directly through the chatbot, powered by PayPal’s trusted payment network.
Here’s why this is exciting.
ChatGPT Becomes a Marketplace
According to a press release today, PayPal will adopt OpenAI’s Agentic Commerce Protocol (ACP), a new system designed to make online shopping faster and more interactive. Soon, ChatGPT users will be able to find products, choose payment methods, and check out instantly using PayPal without even leaving the chat.
For merchants, the change could be massive. PayPal plans to connect tens of millions of businesses, from small shops to global brands, to ChatGPT’s growing user base.
“Hundreds of millions of people turn to ChatGPT each week for help with everyday tasks, including finding products they love, and over 400 million use PayPal to shop,” said Alex Chriss, President and CEO of PayPal. “By partnering with OpenAI and adopting the Agentic Commerce Protocol, PayPal will power payments and commerce experiences that help people go from chat to checkout in just a few taps.”
What It Means for PayPal, and Possibly for Crypto
This partnership reflects PayPal’s broader shift toward AI-powered commerce and digital innovation. The company has already launched its PYUSD stablecoin and built crypto custody services, showing its growing focus on the digital asset space.
While the announcement didn’t directly mention crypto, this kind of AI-driven payments system could easily become a bridge between fiat and digital currencies in the future.
If PayPal’s ACP platform eventually supports blockchain-based settlements, it could boost the use of PYUSD and other regulated stablecoins in real-world transactions.
Also Read: What Can You Actually Buy With Crypto in 2025?
The Bigger Picture: When AI Meets Payments
“Agentic Commerce” or AI-powered buying and selling could eventually go beyond simple checkouts. With time, it might connect with smart contracts, tokenized assets, or digital identity systems.
And as history shows, every major AI and payments announcement tends to boost interest in related crypto sectors.
Tokens tied to AI, payments, and stablecoins – like FET, AGIX, OCEAN, XRP, XLM, and PYUSD – could all see renewed investor attention.
PayPal’s latest move with OpenAI is exciting and a strong signal that shows us where digital commerce is headed.
Cardano Price Prediction 2025, 2026 – 2030: Will ADA Price Hit $2?

The post Cardano Price Prediction 2025, 2026 – 2030: Will ADA Price Hit $2? appeared first on Coinpedia Fintech News
Story Highlights
- The live price of the Cardano token is $ 0.66412299.
- ADA Price prediction suggests potential to reach $2.05 by year-end 2025.
- Long-term forecasts indicate ADA could hit $10.25 by 2030.
The Cardano price prediction for 2025 is generating significant buzz in the crypto market, particularly as we have entered Q3 2025 with July. The transformative Plomin Hard Fork, implemented in Q1, has played a crucial role in this momentum, especially with the announcement of full decentralized governance.
This landmark upgrade has reinforced Cardano’s commitment to community-driven innovation, leading to a strengthening of its internal ecosystem. Even bigger institutions like Grayscale have been applauding the project’s vision and gave 1/5th allocation in its fund.
Industry leaders like IOHK and EMURGO are also actively advancing the Cardano ecosystem. EMURGO’s partnership with Ctrl Wallet on July 2, 2025, has enhanced Cardano’s interoperability, enabling connections to over 2,300 blockchains.
Moreover, community-driven initiatives focusing on scalability, privacy through the Midnight chain, and integration with Bitcoin DeFi are paving the way for substantial growth.
Additionally, Bloomberg analysts have raised odds of potential spot ADA ETF approvals, and strong technical indicators signaling positive trends, investor enthusiasm is at an all-time high. Questions abound: “Will Cardano spearhead the altcoin movement?” and “What heights can ADA reach by 2050?” Explore this Cardano price prediction for 2025 and beyond, filled with expert insights and ambitious forecasts.
Coinpedia’s Cardano Price Prediction 2025
Cardano (ADA) is predicted to reach a potential high of $2.05 in 2025, driven by hopes of ETF approval, full decentralization after the Plomin Hard Fork, and increasing institutional interest. However, if ADA fails to hold above key support, it may range between $0.85 and $1.25.
Table of Contents
Cardano Price Today
| Cryptocurrency | Cardano |
| Token | ADA |
| Price | $0.6641
|
| Market Cap | $ 23,811,770,669.51 |
| 24h Volume | $ 878,152,462.6427 |
| Circulating Supply | 35,854,459,397.4189 |
| Total Supply | 44,994,478,516.77 |
| All-Time High | $ 3.0992 on 02 September 2021 |
| All-Time Low | $ 0.0174 on 01 October 2017 |
Cardano Price Prediction November 2025

ADA’s strong 2025 expectations faltered, with Q1-Q3 dominated by a sustained correction that wiped out most prior gains. This decline has forced price action back to a critical juncture. The recent volatility kicked off in Q4, even pushing ADA sharply down to the crucial $0.60 support level.
Despite this, the optimism remains high due to the technical structure as evidenced on ADA price chart the price action has perfectly performed a retest of the support line of a multi-month symmetrical triangle pattern
This consolidation suggests that the momentum is coiling for a major move. ADA’s immediate fate rests entirely on defending the $0.60 support floor.
That said, a sustained defence of the $0.60 floor and a subsequent breakout above the triangle’s upper resistance could validate the bullish thesis, which could target a significant recovery rally.
For now, November is predicted to be an important month, and $0.85 could be retested; there is also a chance that it might even close above $0.85 on a daily basis in November.
However, if the ADA price dips below the $0.60 level, the symmetrical triangle setup will be invalidated, likely paving the way for a decline toward the long-term low of $0.27.

| Price Prediction | Potential Low ($) | Average Price ($) | Potential High ($) |
| November 2025 | $0.25 | $0.92 | $1.32 |
Cardano AI Price Prediction For October 2025
| Source | Low Price | Average Price | High Price |
| Gemini | $0.85 – $0.95 | $1.00 – $1.20 | $1.30 – $1.50+ |
| BlackBox | $0.65 | $1.00 | $1.50 |
| ChatGPT | $0.75 | $0.95 | $1.25 |
ADA Price Prediction 2025
Cardano has long prioritized decentralization, and the Q1 2025 Plomin hard fork pushed it even further. Unlike many blockchains, Cardano places control in the hands of users rather than central entities. This is evident in CoinCarp’s rich list, where the top 100 addresses hold just 22% of the mainnet supply, which is far less than most altcoins.

Technically, if ADA price intends for a long-term rally, then a break above the $1.10–$1.20 range, strong retail participation will be key. A major catalyst could be the approval of an ADA ETF, expected by year-end, which could attract billions in inflows. Another would be a global attraction in the sector with BTC continuing northward moves.
Therefore, if ADA holds above its Q1 2025 high, it has a strong chance of retesting the $2.05 mark before the year ends.
| Scenario | Potential Low | Average Price | Potential High |
| Without ETF Approval | $0.85 | $1.10 | $1.25 |
| With ETF Approval + Retail Surge | $1.20 | $1.65 | $2.05 |
| Bullish Breakout (with ETF & macro support) | $1.50 | $2.05 | $2.80 |
Cardano (ADA) Price Prediction 2026 – 2030
| Price Prediction | Potential Low ($) | Average Price ($) | Potential High ($) |
| 2026 | 2.75 | 3.00 | 3.25 |
| 2027 | 4.50 | 4.75 | 5.00 |
| 2028 | 5.25 | 5.50 | 5.75 |
| 2029 | 6.75 | 7.25 | 7.75 |
| 2030 | 9.00 | 9.75 | 10.25 |
This table, based on historical movements, shows ADA prices to reach $10.25 by 2030 based on compounding market cap each year. This table provides a framework for understanding the potential Cardano price movements. Yet, the actual price will depend on a combination of market dynamics, investor behavior, and external factors influencing the cryptocurrency landscape.
Cardano Price Prediction 2031, 2032, 2033, 2040, 2050
| Year | Potential Low ($) | Potential Average ($) | Potential High ($) |
| 2031 | 10.50 | 11.00 | 11.25 |
| 2032 | 13.75 | 14.25 | 14.75 |
| 2033 | 17.50 | 18.50 | 19.75 |
| 2040 | 34.25 | 51.75 | 69.25 |
| 2050 | 128.25 | 228.75 | 329.50 |
Based on the historic market sentiments and trend analysis of the altcoin, here are the possible Cardano price targets for the longer time frames.
Market Analysis
| Firm Name | 2025 | 2026 | 2030 |
| Changelly | $0.752 | $1.18 | $6.05 |
| Coincodex | $0.79 | $0.53 | $0.89 |
| Binance | $0.79 | $0.83 | $1.01 |
*The aforementioned targets are the average targets set by the respective firms.
Coinpedia’s Price Analysis provides you with the latest content on the recent market trend that enables you to get closer to the price movements & actions of the various cryptocurrencies.
Never Miss a Beat in the Crypto World!
Stay ahead with breaking news, expert analysis, and real-time updates on the latest trends in Bitcoin, altcoins, DeFi, NFTs, and more.
FAQs
According to our Cardano price prediction, the altcoin’s price could hit a maximum of $2.05 in 2025.
At the time of writing, the price of 1 Cardano ADA token was $ 0.66412299
Cardano is an underrated investment and has a high chance of performing in the next couple of years, considering the plethora of applications.
Cardano is not dead, as it is witnessing major developmental upgrades, which could boost ADA’s price in the near future.
Even the most bullish of Cardano supporters acknowledge that Cardano will only potentially surpass Ethereum within 18 to 20 years.
As per our latest ADA price analysis, Cardano could reach a maximum price of $69.33.
By 2050, a single Cardano price could go as high as $329.56.
At the time of press, the Cardano price CAD is $0.9141.
Polygon (MATIC) Price Prediction 2025, 2026 – 2030: Will MATIC Price Surge to $1?

The post Polygon (MATIC) Price Prediction 2025, 2026 – 2030: Will MATIC Price Surge to $1? appeared first on Coinpedia Fintech News
Story Highlights
- The live price of the Polygon coin is $ 0.21819891.
- POL price predictions for 2025 suggest potential highs of $0.7655.
- Long-term forecasts indicate POL could reach $4.94 by 2030.
Polygon (POL) has a mind-blowing Layer-2 scaling solution project for Ethereum, which is primarily designed to address slow speeds and the network’s high transaction fees.
As a result, Polygon is seen as a revolutionary framework for developers and users, as it attracts by offering a more efficient Ethereum experience, which is the reason contributing to POL’s price value, too.
Through, POL, which is its native token (formerly MATIC), is utilized for transaction fees and network governance, in the framework of interconnected Ethereum-compatible blockchain networks.
Its use case makes it an attractive altcoin, and even its token POL price is attracting attention. The coin is expected to show a surge in the coming sessions, but it would require a technical eye to understand.
Therefore, if you are curious about whether the POL price can rebound to $1. Will Polygon go up? And is Polygon a good investment? We bring our Polygon Price Prediction for 2025 – 2030 to explore the POL price prediction.
Table of contents
Polygon Price Today
| Cryptocurrency | Polygon |
| Token | MATIC |
| Price | $0.2182
|
| Market Cap | $ 402,374,198.74 |
| 24h Volume | $ 1,217,344.7306 |
| Circulating Supply | 0.00 |
| Total Supply | 10,000,000,000.00 |
| All-Time High | $ 2.92 on 27 December 2021 |
| All-Time Low | $ 0.0030 on 10 May 2019 |
Polygon Price Prediction November 2025
Polygon price prediction for November 2025 (POL) suggests that a reversal rally could occur soon, as most of the price action seen in 2025 was a consolidation movement within a range-bound border between $0.16 and $0.26.

Since it has been coiling for many months, price action is critical. The larger the coil, the greater the rally, so November is crucial as it will determine how the year concludes.
Additionally, the $0.26 hurdle is a critical juncture; retesting and breaching it is a key prediction for November. As long as it sustains above $0.26, the target for November would be $0.42.
However, if it fails to retest due to a lack of bullish demand, the consolidation may continue for the remainder of the month.

| Month | Potential Low ($) | Potential Average ($) | Potential High ($) |
| Polygon Price Action November 2025 | $0.10 | $0.20 | $0.40 |
POL Token Analysis 2025
Throughout 2025, the POL token (formerly MATIC) has experienced a significant downfall, with its price declining by more than 60% from an annual high of $0.76.
This fall was largely influenced by broader macroeconomic shifts, as a result saw its steepest losses in the first half of the year. But the second half of 2025 has marked a change in momentum, as the token has stopped forming new lows.
The bullish hopes for the third quarter are rising as POL is inching higher with a key pattern’s assistance.
Polygon Price Prediction 2025
The majority of 2025 saw Polygon (POL) consolidate within a defined range. Although a bullish awakening occurred in Q3, pushing the price to a high of $0.29 in mid-September, this moment proved brief. As aggressive profit-taking accelerated from mid-September onward, completely reversing the rally and smashing the price down to the range’s lower border by mid-October. This move places POL at a critical juncture, facing a decisive retest of multi-month support.
This is the third time POL has revisited this support block, following successful bounces in both April and June. The established pattern suggests that every previous touch of this lower border has been met with significant demand, pushing the price back toward the upper range boundary at $0.26.
Based on this compelling historical examples of this year, the odds are high that POL will stage another reversal in the remaining days of October, aiming to revisit the $0.26 level. Flipping and sustaining a daily close above this upper border would give the bulls the upper hand and allow POL to target higher resistance levels at $0.4220 and potentially $0.5386 before the end of the quarter.
While the probability of a reversal from this historically strong support is high, the market risk cannot be ignored. The current retest represents a high-stakes scenario. Should the critical support fail and the price mark a new swing low, it would invalidate the current consolidation pattern. In this bearish event, the price could accelerate downward, leading to a new yearly low forming well below the $0.1500 mark.

| Year | Potential Low ($) | Potential Average ($) | Potential High ($) |
| Polygon Price Action 2025 | $0.15 | $0.26 | $0.53 |
Polygon Price Prediction 2026 – 2030
| Year | Potential Low ($) | Potential Average ($) | Potential High ($) |
| Polygon Price Action 2026 | $0.18870 | $0.47179 | $0.75488 |
| POL Price Prediction 2027 | $0.30194 | $0.75488 | $1.20782 |
| Polygon Crypto Price Forecast 2028 | $0.48311 | $1.20782 | $1.93252 |
| POL Coin Price Projection 2029 | $0.77297 | $1.93252 | $3.09205 |
| Polygon Price Prediction 2030 | $1.23676 | $3.09205 | $4.94729 |
This table, based on historical movements, shows POL price to reach $4.94 by 2030 based on compounding market cap each year. This table provides a framework for understanding the potential POL price movements. Yet, the actual price will depend on a combination of market dynamics, investor behavior, and external factors influencing the cryptocurrency landscape.
Polygon Price Action 2026
Anticipating further expansion, MATIC’s potential high for 2026 is projected to be $0.75488, while the potential low is estimated at $0.18870, resulting in an average price of $0.47179.
POL Price Prediction 2027
MATIC crypto can make a potential high of $1.20782 in 2027, with a potential low of $0.30194, leading to an average price of $0.75488.
Polygon Crypto Price Forecast 2028
As the POL price progresses, the potential high price for 2028 is projected to be $1.93252, with a potential low of $0.48311, resulting in an average price of $1.20782.
MATIC Coin Price Projection 2029
Polygon coin price potential high for 2029 could be $3.09205, while a potential low of $0.77297, with an average price of $1.93252.
Polygon Price Prediction 2030
With an established position in the market, POL’s potential high for 2030 is projected to be $4.94729. On the flip side, a potential low of $1.23676 will result in an average price of $3.09205.
Market Analysis
| Firm Name | 2025 | 2026 | 2030 |
| CoinCodex | $ 0.71 | $ 0.50 | $ 0.90 |
| Binance | $0.24 | $0.26 | $0.31 |
| Flitpay | $6.25 | $4 | $10.4 |
CoinPedia’s MATIC Price Prediction
Coinpedia’s price prediction for Polygon is bullish, suggesting the MATIC crypto price may reach new swing highs and possibly surpass its all-time high in the near future.
The Polygon Price Forecast 2025 predicts a swing high of $0.47181, with an average price of $0.29488.
| Year | Potential Low | Potential Average | Potential High |
| 2025 | $0.11795 | $0.29488 | $0.47181 |
Never Miss a Beat in the Crypto World!
Stay ahead with breaking news, expert analysis, and real-time updates on the latest trends in Bitcoin, altcoins, DeFi, NFTs, and more.
FAQs
Yes, it is a profitable investment, but the digital asset should be under due consideration for the long term.
According to our MATIC price prediction, the altcoin could reach a maximum of $0.47181 by 2025. With a potential surge, the price could go as high as $4.94731 by 2030.
While it is not a direct apples-to-apples comparison, as one is a layer-2 and the other is a layer-1.
At its best, it can process 65,000 transactions per second.
The major functionality of this altcoin is to enable the multichain Ethereum ecosystem. It provides a network that offers interoperability between previous and present infrastructure scenarios of Ethereum.
As per our MATIC price prediction, $100 dollars target is possible over the next 18 years.
Yes, MATIC has been upgraded to POL as the network token for Polygon.
MATIC
BINANCE
Hedera Price Prediction 2025, 2026 – 2030: Will HBAR Price Hit $0.5?

The post Hedera Price Prediction 2025, 2026 – 2030: Will HBAR Price Hit $0.5? appeared first on Coinpedia Fintech News
Story Highlights
- The live price of Hedera crypto is $ 0.20506791.
- Hedera Price prediction highlights HBAR could reach $0.750 by the end of 2025 if bullish trends continue.
- The Long-term forecasts suggest HBAR could hit $2.20 by 2030, indicating stable growth potential.
Hedera has been making waves in the cryptocurrency space, with a fast and secure blockchain that offers a distinct approach to transaction processing compared to Ethereum and other smart contract chains. It’s permission-only, meaning the blockchain is managed by private companies. Limiting what types of decentralised applications are allowed is what makes Hedera stand out from the rest.
Having entered the top 20 digital assets by market cap in 2024, it is now eyeing a potential leap into the top 10 by the end of 2025. Hedera has also recently ramped up its development activities for its ecosystem. Its ecosystem is strengthening, despite its capped price action. With increasing real-world use cases, institutional interest, and strategic partnerships, many are closely tracking HBAR price chart 2025 to gauge how high the token can rise.
With major companies like Google, IBM, and Chainlink Labs backing the project, and discussions about SEC approved HBAR ETF would flood string liquidity. Many are intrigued that: Will the HBAR Price Reach $1? Let’s discuss this in our Hedera price prediction 2025 article.
Table of Contents
- Story Highlights
- Hedera Price Analysis 2025: A Look Back at HBAR’s Volatile First Half
- Hedera Price Prediction 2025
- HBAR Price Prediction November 2025: What’s Next for Hedera?
- HBAR Price Prediction 2026 – 2030
- HBAR Price Prediction 2026
- HBAR Price Forecast 2027
- Hedera Price Forecast 2028
- HBAR Price Target 2029
- Hedera Price Prediction 2030
- Market Analysis
- Coinpedia’s Hedera Price Prediction
- FAQs
Hedera Price Today
| Cryptocurrency | Hedera |
| Token | HBAR |
| Price | $0.2051
|
| Market Cap | $ 8,710,306,730.66 |
| 24h Volume | $ 906,994,647.9130 |
| Circulating Supply | 42,475,229,929.1494 |
| Total Supply | 50,000,000,000.00 |
| All-Time High | $ 0.5701 on 16 September 2021 |
| All-Time Low | $ 0.0100 on 02 January 2020 |
Hedera Price Analysis 2025: A Look Back at HBAR’s Volatile First Half
Hedera price USD began the year on a high note, peaking at $0.40 in mid-January before a steady decline took it to a low of $0.125 in early April. This downturn was caused by external factors and waning investor interest, reflected in a decrease in the Total Value Locked (TVL).
But this tide turned in the second week of April. As a broader crypto market rally helped HBAR price break free from the wedge, it bounced off a significant support zone that had previously fueled a late 2024 rally. This support, confirmed by the Fixed Range Volume Profile (FRVP) indicator, suggested strong institutional buying interest. The momentum propelled HBAR on a remarkable surge of nearly 80%, from $0.125 to $0.228 by mid-May
Unfortunately, this rebound was cut short by escalating geopolitical tensions, which pushed HBAR back to its April lows by the end of June. During this time, the price formed another parallel declining wedge.
Hedera Price Prediction 2025

The second half of the year started strong, with HBAR posting a significant rally in July from the $0.12 to $0.14 demand zone up to $0.30.
However, this upward move was firmly rejected at a critical resistance point, which strongly aligned with the upper boundary of a descending triangle established since early 2025.
This rejection fueled a sharp decline throughout August and September, which worsened further with a critical liquidation event on October 10th, momentarily pushing the price below the demand zone to $0.10.
This dip was quickly absorbed by institutional buyers, leading to a recovery attempt that failed to flip $0.20 psychological resistance, but after a decent consolidation below this hurdle buyers accumulated it and on October 28th it saw an near 20% rise that pushed its price to $0.22, this occurred as the much-anticipated launch of the Canary HBAR ETF (HBR) on Nasdaq opened the doors for institutional investors.
Now, it’s approaching once again the upper border of this multi-month pattern, and odds suggest that if sustained bullish momentum continues, a breakout could occur this time, and November could be the biggest month.
For price to rally, HBAR/USD needs to clear the short-term resistance at $0.24 and aim for $0.30. Once it sustains above $0.30 with a daily close, then the year-end target could be near $0.40.
Conversely, losing the $0.19 recently formed support would indicate that the major demand is present in the $0.12-$0.13 area. However, losing that support level would also confirm a deeper bearish trend, potentially leading to retreats toward $0.07 and, ultimately, the $0.04 support level.
HBAR Price Prediction November 2025: What’s Next for Hedera?
The HBAR price is rising to test the upper border of the multi-month descending triangle after receiving positive news about the HBAR ETF from Canary. It is retreating in October to the key $0.12–$0.14 demand area after its rally stalled at the multi-month descending triangle resistance near $0.30 in July.
This upcoming retest is critical because a successful hold could launch a short-term move to $0.30 in November and potentially $0.40 by year-end. Failure to hold the demand $0.19 could pull its price back to $0.12-$0.13 demand area.

| Month | Potential Low | Potential Average | Potential High |
| HBAR Price Prediction November 2025 | $0.125 | $0.27 | $0.40 |
HBAR Price Prediction 2026 – 2030
| Year | Potential Low | Potential Average | Potential High |
| 2026 | $0.45 | $0.80 | $1.05 |
| 2027 | $0.60 | $0.95 | $1.20 |
| 2028 | $0.65 | $1.10 | $1.40 |
| 2029 | $0.70 | $1.35 | $1.60 |
| 2030 | $0.95 | $1.70 | $2.20 |
HBAR Price Prediction 2026
Moving forward to 2026, forecast prices and technical analysis project that Hedera’s price is expected to reach a minimum of $0.45. The price could escalate to $1.05 on the higher end, with an average trading price hovering around $0.80.
HBAR Price Forecast 2027
Looking ahead to 2027, the optimism around Hedera will lead to steady growth. Hence, the HBAR price is forecasted to reach a low of $0.60, with a potential high touching $1.20 and an average forecast price of $0.95.
Hedera Price Forecast 2028
As we advance to 2028, with moderate gains, the HBAR predictions indicate that the price of a single HBAR could reach a minimum of $0.65, with the ceiling potentially rising to $1.40. Within the range, the average price will be $1.10.
HBAR Price Target 2029
By the time 2029 rolls around, it’s predicted that Hedera’s price will maintain its upward trajectory, reaching a minimum of $0.70, with the maximum price possibly reaching $1.60 and an average of $1.35, reflecting cautious optimism.
Hedera Price Prediction 2030
By the end of this decade, HBAR is predicted to touch its lowest price at $0.95, aiming for a high of $1.70 and an average price of $2.20. Hence, the prediction suggests stable long-term growth for Hedera’s market value.
Market Analysis
| Firm | 2025 | 2026 | 2030 |
| Changelly | $0.259 | $0.370 | $1.74 |
| priceprediction.net | $0.27 | $0.40 | $1.99 |
| DigitalCoinPrice | $0.43 | $0.50 | $1.07 |
Coinpedia’s Hedera Price Prediction
By the end of 2025, the recovery run in HBAR prices is expected to continue with a gradual rise in momentum. Hence, by the end of 2025, Coinpedia’s HBAR price forecast expects a potential high of $0.80 with a solid support at $0.40, making an average of $0.60.
| Year | Potential Low | Potential Average | Potential High |
| 2025 | $0.40 | $0.60 | $0.80 |
Never Miss a Beat in the Crypto World!
Stay ahead with breaking news, expert analysis, and real-time updates on the latest trends in Bitcoin, altcoins, DeFi, NFTs, and more.
FAQs
Yes, the stout fundamentals of the network make HBAR a good investment, but for the long term.
Analysts forecast HBAR could peak at $0.75 by the end of 2025, with averages near $0.40 and lows at $0.15.
The network can process over 10,000 transactions in one second.
By 2030, HBAR is forecast to reach highs of $2.20, averaging around $1.70 with lows near $0.95.
HBAR is available for trade across leading cryptocurrency exchange platforms such as Binance, Coinbase, Zebpay, etc…
Metaplanet Announces ¥75B Share Repurchase Program to Strengthen Bitcoin Strategy

The post Metaplanet Announces ¥75B Share Repurchase Program to Strengthen Bitcoin Strategy appeared first on Coinpedia Fintech News
Metaplanet, widely known as “Japan’s MicroStrategy”, has taken a major step forward in its long-term strategy by launching a 75 billion JPY share repurchase program.
This comes after the company faced a setback with a decline in its mNAV, and aims to make better use of capital and boost returns for shareholders.
Metaplanet has established a share repurchase program to enhance capital efficiency and maximize BTC Yield. The Board also approved a credit facility to enable flexible execution as part of the company’s capital allocation strategy. https://t.co/zucPBrIqOQ
— Simon Gerovich (@gerovich) October 28, 2025
Why Metaplanet Is Buying Back Its Own Shares
In its latest disclosure, Metaplanet noted that recent market volatility and a decline in its mNAV have led to its stock being undervalued.
The mNAV compares the company’s enterprise value to the market value of its Bitcoin holdings. When it falls below 1.0x, the company’s shares are seen as trading below their fair value based on BTC reserves.
To address this, Metaplanet launched a capital management plan designed to maximize BTC yield and improve capital efficiency.
Metaplanet’s stock is currently trading at 499 JPY, up 2.5% over the past day and roughly 18% over the last five days. Its mNAV has also recovered to 1.03 as of the time of writing.
The buyback program will cover up to 150 million common shares, representing about 13.13% of its total outstanding shares, excluding treasury shares. It will run from October 29, 2025, to October 28, 2026 and buybacks will be conducted through purchases on the Tokyo Stock Exchange under a discretionary trading agreement.
$500M Credit Line Announced
In order to give the company more flexibility in carrying out the repurchase program, the board has also approved a credit facility with a borrowing limit of up to USD 500 million (around JPY 76.4 billion).
This allows the company to secure funds using its Bitcoin holdings as collateral whenever needed. The funds raised could be used for additional Bitcoin purchases, investments in its Bitcoin Income business, or share buybacks.
The credit line also plays a major role in the Company’s financial strategy and is expected to serve as bridge financing ahead of its planned issuance of preference shares.
Metaplanet’s Capital Allocation Policy
Metaplanet has also created a new Capital Allocation Policy designed to maximize sustainable value creation. It will be guided by three fundamental principles.
Metaplanet plans to actively utilize preferred shares, to strengthen BTC yield and enhance long-term shareholder value. It will avoid new issuances when mNAV is below 1.0x, and pursue them only when mNAV exceeds 1.0x and valuations and strategic conditions clearly support long-term shareholder value.
And if mNAV falls below 1.0x, the Company will actively consider share buybacks to enhance BTC yield and shareholder value.
It also noted that the funding sources for share repurchases may include cash reserves, funds raised from preferred share issuances, credit facilities, or income generated by its Bitcoin-related business operations.
Since April 2025, the company has expanded its Bitcoin Treasury Strategy, now holding 30,823 BTC, making it the fourth-largest public Bitcoin holder globally and the largest in Asia.
The company is also committed to its long-term goal of acquiring 210,000 BTC by the end of 2027.
Despite what appears to have been a setback, Metaplanet continues to show strong conviction in Bitcoin’s long-term potential.
Japan’s Metaplanet Plan $500M Share Buyback Program, Stock Jumps 2.3%

The post Japan’s Metaplanet Plan $500M Share Buyback Program, Stock Jumps 2.3% appeared first on Coinpedia Fintech News
Japan’s leading Bitcoin treasury company, Metaplanet, has announced a bold plan to buy back 13.15% of its outstanding shares. The firm has also secured a massive $500 million credit facility backed by Bitcoin, signaling a deep commitment to integrating digital assets into its corporate growth strategy.
Metaplanet’s 13% Share Buyback Plan
According to the company’s official filing, it will buy back up to 150 million common shares, equal to 13.13% of its total shares (excluding treasury stock). The program will run through October 28, 2026, and the company can use its new credit facility for both share repurchases and additional Bitcoin purchases.
The buyback, supported by a $500 million credit line, shows the company’s confidence in its long-term growth and strong balance sheet.
*Notice Regarding the Establishment of Share Repurchase Program* pic.twitter.com/GBNY8fJfv4
— Metaplanet Inc. (@Metaplanet_JP) October 28, 2025
The company said the goal is to make capital use more efficient and respond to the recent drop in its market-to-net-asset value (mNAV), which compares the market value of the company’s Bitcoin holdings to its overall value.
Bitcoin at the Core of Its Growth Strategy
Metaplanet’s aggressive Bitcoin-focused strategy stands out in the Japanese and global investment landscape. Currently, Metaplanet holds 30,823 BTC, valued at approximately $3.5 billion.
The firm noted that its stock price often trades below the actual value of its Bitcoin holdings, creating an opportunity to increase its “BTC yield per share.”
The company has highlighted its commitment to increasing its Bitcoin holdings, aiming for an ultimate target of holding 210,000 BTC, equal to 1% of the eventual 21 million Bitcoin supply, by 2027.
Metaplanet’s Stock Climbed 2.3%
Following the announcement, Metaplanet’s stock climbed 2.3%, closing at 499 yen. The rally reflects renewed investor optimism fueled by expectations that reduced share supply and an injection of financial flexibility will lift per-share value.
Metaplanet’s buyback initiative signals a broader shift: public companies are increasingly viewing digital assets not just as speculative holdings, but as foundational drivers for capital strategy and market positioning
Noomez ($NNZ) Review – Is It the Next Meme Coin to Explode?

The post Noomez ($NNZ) Review – Is It the Next Meme Coin to Explode? appeared first on Coinpedia Fintech News
Noomez ($NNZ) review discussions are starting to dominate crypto forums as traders look for structured alternatives to hype-driven meme coins.
In a market where transparency and real mechanics matter more than marketing, Noomez features a deflationary model, measurable presale stages, and on-chain accountability.
Built on a transparent smart-contract framework, the project introduces a 28-stage presale with automatic burns, live tracking, and a fixed supply designed for scarcity.
Rather than chasing speculation, Noomez focuses on verifiable growth, a possible reason many consider it one of the most structured meme coin launches of 2025.
What Is Noomez ($NNZ)?
Noomez ($NNZ) is a deflationary meme coin built on the Binance Smart Chain, designed to combine entertainment value with measurable token mechanics.
It operates through a 28-stage presale model that allocates 50% of its 280 billion total supply to structured sales rounds.
During these stages, prices begin at $0.00001 in Stage 1 and gradually rise to $0.0028 by Stage 28. They create a clear, verifiable curve that might reward early participation.
Each stage ends with automatic burns of any unsold tokens, permanently reducing circulation before public trading.
Also, progress is displayed through the Noom Gauge, an on-chain tracker that verifies presale milestones in real time.
With KYC-verified founders, 15% locked liquidity, and 6-12-month team vesting, Noomez offers greater transparency than some other meme coins.
The features position it as a structured alternative in a category often ruled by speculation.
Pro Tip: Before joining any presale, verify on-chain proofs for token burns, liquidity locks, and team vesting. Noomez publishes all of these openly, giving buyers real data instead of promises.
Noomez Core Mechanics and Tokenomics
The Noomez ($NNZ) tokenomics are built around fixed supply, stage-based scarcity, and verifiable deflation.
The total supply is 280 billion $NNZ, with 140 billion (50%) reserved for the 28-stage presale.
Each stage lasts up to seven days, starting at $0.00001 and increasing to $0.0028 by the final stage.
To further reward participants, two major Vault Events mark the presale’s progression:
- Stage 14 Vault: A 14 million $NNZ airdrop plus a strategic burn.
- Stage 28 Vault: A 28 million $NNZ airdrop and NFT minting access before launch.
Unsold tokens at each stage are automatically burned, while supply metrics and stage completions are displayed live through the Noom Gauge.
Beyond the presale, 15 % of tokens remain locked for liquidity, and the core team follows a 612-month vesting schedule.
Why Noomez Stands Out in the Meme Coin Market
The meme coin market has been dominated by viral launches and short-term hype, but Noomez ($NNZ) approaches growth through structure.
Each presale milestone is tracked by the Noom Gauge, allowing investors the ability to monitor token burns, vault airdrops, and total circulation.
Unlike meme coins that rely heavily on post-launch marketing, Noomez integrates accountability from day one through automatic burns, audited contracts, and a deflationary vault system.
Such a design allows value to form from supply logic and participation, not speculation.
Post-Presale Outlook for Noomez (Function, Not Forecast)

After the presale concludes, Noomez ($NNZ) transitions into the Noom Engine, a post-launch framework designed to sustain utility and engagement.
Holders can stake tokens to earn up to 66% APY, with rewards scaling based on early participation. Partner projects will also deposit portions of their supply into the Engine, which are then automatically distributed to NNZ holders as ongoing rewards.
Meanwhile, deflation continues through scheduled burns tied to Vault milestones and the 5% Burn Vault outlined in the whitepaper.
Together, these mechanisms maintain scarcity while supporting active rewards and NFT integrations.
Instead of relying on market hype, Noomez’s function is based on transparent token flows, automated participation, and measurable outcomes.
For More Information:
Website: Visit the Official Noomez Website
Telegram: Join the Noomez Telegram Channel
Bitcoin Price Extends Gains, But Technical Signals Hint at a Pullback Below $110K—What’s Next?

The post Bitcoin Price Extends Gains, But Technical Signals Hint at a Pullback Below $110K—What’s Next? appeared first on Coinpedia Fintech News
Bitcoin (BTC) price continues to trade with upward momentum, recently reclaiming levels above $113,000 as market sentiment leans cautiously optimistic. The market has followed suit, with speculation of whether this momentum can be sustained amid tightening liquidity and rising volatility. However, several technical indicators now suggest a potential cool-off phase. This raises concerns of a short-term correction below the $110,000 support zone.
Is BTC Price Heading for a Pullback?
After rebounding sharply from lows near $107,800 earlier this week, Bitcoin has steadily reclaimed lost ground, climbing back above the $113,000 mark. This recovery reflects renewed buying pressure around key demand zones, supported by improving market liquidity and increased spot trading activity. However, BTC now faces a crucial test near the $114,500–$115,000 resistance area, where profit-taking has historically intensified. Momentum indicators hint at potential exhaustion, suggesting that if Bitcoin fails to secure a daily close above this range, a corrective drop toward $110,000—or even lower—could soon follow.
Another major reason to be bearish on Bitcoin is the recently formed CME gap with the lower range close to $110,000.

Bitcoin’s rebound from the $107,800 lows has lifted prices toward $114,600, yet the move now encounters a key CME gap between $110,700 and $113,500, as highlighted on the chart. This unfilled gap has become a focal point for traders, as Bitcoin often revisits these levels before establishing a sustained trend. The Ichimoku Cloud currently acts as dynamic resistance, with the upper boundary near $115,700 aligning with the gap’s top.
Historically, BTC has tended to “fill” such CME gaps before reversing direction, suggesting a possible short-term rejection if momentum weakens. Meanwhile, the RSI around 51 signals a neutral bias, indicating potential consolidation before the next major move.
Wrapping it Up
The recent rebound in Bitcoin (BTC) price underscores improving short-term sentiment, but the broader market remains cautious amid low volatility and mixed macro cues. A decisive move beyond the $115,700 cloud resistance could reignite bullish momentum across major altcoins, fueling renewed inflows into risk assets. However, failure to clear this zone may keep BTC range-bound, with traders eyeing $110,000 as a key defensive level. With upcoming macro events and ETF flows influencing liquidity, Bitcoin’s next move could set the tone for the entire crypto market heading into November.
XRP Rallying to $3, but Ozak AI Could 100x from Its $0.012 Presale

The post XRP Rallying to $3, but Ozak AI Could 100x from Its $0.012 Presale appeared first on Coinpedia Fintech News
XRP is showing strong bullish momentum as it pushes toward a key breakout zone, supported by a solid technical structure and growing market confidence. A decisive move beyond critical resistance levels could pave the way for further gains, reinforcing its position as one of the more stable large-cap plays in this rally.
However, while XRP’s upside remains promising, its potential returns may be more moderate compared to early-stage opportunities like Ozak AI, which is still in presale and positioned at a much earlier growth stage. Ozak AI’s AI-driven ecosystem and strategic partnerships give it an asymmetrical edge, attracting investors looking for higher-risk, higher-reward plays.
Backed by partnerships with Perceptron Network and SINT, Ozak AI blends AI-driven predictive infrastructure with blockchain utility, positioning itself for exponential growth. While XRP might deliver solid gains, Ozak AI’s early entry point gives it a realistic pathway to 100x returns if adoption and listings align with market momentum, making it one of the standout opportunities of this cycle.
XRP’s Rally Toward $3
XRP is trading at $2.Fifty four, building momentum after weeks of sustained shopping for pressure and renewed investor confidence. The token has been moving regularly inside a robust uptrend, with key resistance stages forming around $2.72, $three.10, and $three.50. On the disadvantage, solid support zones are keeping at $2.30, $2.05, and $1.82, helping to hold a bullish structure no matter periodic profit-taking.

A clear breakout above $2.72 could set the stage for a rapid push to $3.50—a level not seen since the peak of previous bull cycles. XRP’s rally is being fueled by renewed optimism surrounding its institutional use cases and the growing likelihood of expanded adoption in global payment systems, making it one of the top-performing large-cap assets in this cycle.
Ozak AI’s Early Positioning Offers 100x Potential
While XRP is drawing headlines for its price action, Ozak AI is positioning itself as one of the most explosive early-stage opportunities in the market. Priced at just $0.012 in its sixth OZ presale stage, Ozak AI has already raised over $4.1 million and sold 975 million tokens, reflecting growing confidence from retail and early-stage investors.
Unlike many speculative tokens, Ozak AI has a clear utility layer—it integrates AI-powered predictive intelligence, autonomous agent systems, and real-time data sharing through its partnership with Perceptron Network. This partnership connects the project to over 700,000 active nodes, unlocking large-scale intelligence aggregation that can power on-chain predictive markets.
Partnerships That Strengthen Ozak AI’s Core Narrative
Another major catalyst behind Ozak AI’s rising attention is its strategic alliance with SINT, which brings voice-driven interfaces, cross-chain bridges, SDK toolkits, and over 60K active users into the ecosystem.
This integration aligns perfectly with the continuing narrative of AI-meets-blockchain, a zone projected to dominate innovation cycles in the coming years. Where XRP represents balance and mainstream adoption, Ozak AI represents velocity, agility, and early positioning—presenting retail investors a ground-floor entry into a story that is just starting to boost up.
Youtube embed:
Why Ozak AI’s $1 Target Looks Attainable
For XRP, transferring from $2.54 to $5 could mean a kind of 2x return, which is appealing but restrained compared to early-stage initiatives. By contrast, Ozak AI attaining $1 from its $0.012 presale price might represent greater than an 80x to 100x growth—an outcome that turns into increasingly more realistic if the assignment executes its vision, secures important listings, and faucets into the growing AI-blockchain momentum. Investors who struck similar early-level opportunities in previous cycles—whether or not it become meme coins or application tokens—noticed lifestyles-changing returns during breakout runs.

Ozak AI has a compelling mix of low entry price, strong partnerships, and technological utility that positions it well for such a move. XRP may lead this market phase with strength and adoption, but Ozak AI offers the kind of asymmetric upside that traders and early investors often seek when rotating capital from established assets into emerging narratives. As the market matures and liquidity flows deepen, XRP could anchor portfolios while Ozak AI acts as the explosive growth play—making it a powerful combination for those aiming to capitalize on the 2025 bull cycle.
About Ozak AI
Ozak AI is a blockchain-based crypto project that provides a technology platform that specializes in predictive AI and advanced data analytics for financial markets. Through machine learning algorithms and decentralized network technologies, Ozak AI enables real-time, accurate, and actionable insights to help crypto enthusiasts and businesses make the correct decisions.
For more, visit:
Website: https://ozak.ai/
Telegram: https://t.me/OzakAGI
Twitter: https://x.com/ozakagi
Hüseyin Eroğlu Super Liqa klubundan qovuldu
Futbol üzrə Türkiyə Super Liqasında mübarizə aparan “Gənclərbirliyi” baş məşqçisi Hüseyin Eroğlu ilə yollarını ayırıb. Arena.az bu barədə sözügedən klubun mətbuat xidmətinə istinadən xəbər verir. 52 yaşlı mütəxəssislə müqaviləyə qarşılıqlı razılıq əsasında xitam verildiyi diqqətə çatdırılıb. Klub Eroğluna xidmətlərinə görə təşəkkür edib, gələcək karyerasında uğurlar arzulayıb.
Ezekyel Fernandes “Bayer”ə kömək edə bilməyəcək
Almaniyanın “Bayer” klubunun dayaq yarımmüdafiəçisi Ezekyel Fernandes bir neçə həftə yaşıl meydanlardan kənarda qalacaq. Arena.az xəbər verir ki, bu barədə Leverkuzen təmsilçisinin mətbuat xidməti məlumat yayıb. 23 yaşlı argentinalı futbolçu Almaniya Bundesliqasının 8-ci turunda “Frayburq”a qarşı keçirdikləri matçda (2:0) sol dizinin bağlarını zədələyib. Bu üzdən də o…
Kapello “İnter”in “Napoli”yə qarşı oyununu tənqid etdi
Təcrübəli futbol mütəxəssisi Fabio Kapello İtaliya A Seriyası çərçivəsində keçirilmiş “Napoli” – “İnter” oyunu ilə bağlı qənaətini açıqlayıb. Arena.az xatırladır ki, A Seriyasının 8-ci turunun oyunu Neapol təmsilçisinin 3:1 hesablı qələbəsi ilə yekunlaşıb. Kapello oyundan sonra ölkəsinin mətbuatına açıqlamasında bunları söyləyib: “Doğrudan da, olmayan penalti ilə oyunun tarazlığı…
Karreras Yamalı ələ saldı, Rafinya isə onun səhvini açıqladı
“Real”ın müdafiəçisi Alvaro Karreras “Barselona”nın ispaniyalı hücumçusu Lamin Yamalın qarşısını necə ala bildiyi ilə bağlı sualı cavablayıb. Arena.az ispan futbolçunun müvafiq cavabını təqdim edir: “Xüsusilə çalışmağıma gərək olmadı. Bizim məşqçimiz Xabi Alonsonun məşqlərdəki driblinqi ondan daha yaxşıdır”, deyə Karreras gülərək bildirib. “Barselona”nın braziliyalı ulduzu Rafinya…
Prediction Market Kalshi Sues New York Regulator Over Sports Contracts Ban

Crypto Staking Company KR1 Plans to List on the London Stock Exchange: FT

Metaplanet Initiates 13% Share Buyback Program With $500M Credit Facility

Bitcoin Slips Ahead of Fed Week, DOGE, ETH Lead Losses as Traders Price in 4.25% Rate Cut

Kenan Yıldız'a Fenerbahçe'yi reddeden hoca
Juventus'ta Igor Tudor'un görevine son verildi. Milli yıldızımız Kenan Yıldız'ın formasını giydiği Torino ekibinde gözler Luciano Spalletti'ye çevrildi. Mourinho'nun ayrılmasından sonra Fenerbahçe'nin de teklif götürdüğü ancak ikna edemediği 66 yaşındaki İtalyan teknik adam da görüşmeleri doğruladı.
Milli oyuncumuz Kenan Yıldız'ın formasını giydiği Juventus'ta beklenen gelişme yaşandı. Teknik direktör Igor Tudor görevden alındı. İtalyan ekibinde şimdi de gözler yeni teknik direktörün kim olacağına çevrildi. En büyük aday Luciano Spalletti. İtalya Milli Takımından ayrılan 66 yaşındaki İtalyan teknik adam da görüşmeleri doğruladı.

Gelen bilgilere göre de Haziran 2026 sezonu sonuna kadar olacak ve Şampiyonlar Ligi'ne katılınması halinde otomatik olarak uzayacak bir sözleşme üzerinde çalışmalar sürüyor.

Luciano Spalletti
FENERBAHÇE'Yİ REDDETTİ
Sky Sport'un haberine göre de sözleşmenin bir mi yoksa iki yıl mı uzatılacağı henüz belli değil. Bugün önemli gelişmeler olabilir. Tecrübeli teknik adam Mourinho'nun ayrılışından sonra Fenerbahçe'den teklif almıştı ancak reddetti. Ayrıca Katar'dan da teklif almıştı.

Luciano Spalletti
TUDOR'UN KOVULMASININ ARDINDAN OKLAR KENAN YILDIZ'A DÖNDÜ
Bu arada Radio Napoli Centrale'deki "Un calcio alla radio" programında gazeteci ve Rai radyo yorumcusu Francesco Repice, Juventus'un Lazio yenilgisinin ardından Tudor'u görevden almasını şöyle anlattı:
"Tudor'un görevden alınacağı iddiaları zaten havada uçuşuyordu. Bence Hırvat teknik adam biraz yalnız bırakılmıştı. Kenan Yıldız'ın dün Roma'daki tavrı da bir şeylerin ters gittiğini açıkça gösteriyordu. Türk oyuncu şikayet ediyor, kollarını sallıyor ve taraftarlara sesleniyordu.

Torreira baba ocağından döndü
Babasının kalp rahatsızlığı nedeniyle ülkesine giden Torreira, Türkiye'ye döndü.
Galatasaray'ın yıldızıLucas Torreira, Uruguay'dan Türkiye'ye döndü. Babasının kalp rahatsızlığı sebebiyle apar topar ülkesine giden oyuncu, işlerini halledip İstanbul'a geldi.
Bilindiği gibi Torreira, babasının rahatsızlığı nedeniyle Şampiyonlar Ligi'ndeki Bodo/Glimt maçının ardından ülkesi Uruguay'a gitmişti.
TORREIRA İSTANBUL'A DÖNDÜ

Göztepe karşısında takımdaki yerini alamayan Torreira, bu sabah saatlerinde İstanbul'a indi ve evine gitti.
Tecrübeli oyuncu hemen takımının Trabzonspor'la oynayacağı Süper Lig maçı için çalışmalara katılacak.
Galatasaray'da bu sezon 12 maçta süre bulan 29 yaşındaki futbolcu, 1 gol attı ve 2 asist yaptı.

Bir Osimhen kolay yetişmiyor! Ama Galatasaray'ın yıldızı her yere yetişiyor
Dünyanın en iyi forvetlerinden biri olan Victor Osimhen'in başarısının perde arkasında çok çalışma yatıyor. Yeteneklerini sıkı çalışmayla birleştiren golcü oyuncunun başarılı olmaması imkansız.
Futbolda doğuştan gelen yeteneğin yeterli olmadığı bir gerçek. Çok çalışmak şart. Özellikle yeni futbol dünyasında çok çalışmadan yer alabilmek imkansız. Takımla birlikte antrenman yaparak ne bir yerlere gelinebiliyor, ne bir yerlerde kalınabiliyor. Uzun yıllardır Türk oyuncuların takım antrenmanı biter bitmez hemen tesisten ayrıldığı, yabancıların ise kalarak çalışmalarına bireysel olarak devam ettikleri da anlatılır. Doğrudur da.

Artık daha başarılı olabilmek için daha çok çalışmak da yetmiyor. Profesyonel destek almak şart. Bu yüzden bireysel antrenörler artık her futbolcunun bir parçası haline geldi. Her oyuncu, kulübünün çalışma programının haricinde kendisi özel olarak çalışıyor. Hemen her yıldız ismin özel koçları var. Victor Osimhen de bunlardan biri.

OSIMHEN ÇOK ÇALIŞIYOR
Galatasaray'ın yıldız golcüsü durmuyor. Takım antrenmanların haricinde özel olarak da tam gaz çalışmalarına devam ediyor. Havuz çalışması, fitness ve koşunun yanı sıra özel becerilerini yükseltme konularında da profesyonel hocalarla çalışıyor. Kemerburgaz'daki idmanlar dışındaki zamanını da çok iyi kullanıyor Osimhen. Bireysel çalışmalarını hiç aksatmıyor. Maaşlarını kendi cebinden ödediği bireysel koçlarıyla çalışmalarını aksatmadan sürdürüyor.

Barış Alper Yılmaz'ın ihtiyacı olan tek şey! 'Çırpındıkça batıyor'
Galatasaray'ın yıldızı Barış Alper Yılmaz, çalkantılı geçen haftalardan sonra takımdaki yerini aldı. Ancak geri dönüşü tam olarak istediği gibi olmadı. Süreç uzadıkça da taraftarlarla olan bağında sıkıntılar yaşıyor.
Barış Alper Yılmaz, sözleşmesinde düzenlemeler olmayınca takımdan ayrılmak istedi. Kendisine gelen yüksek bütçeli tekliflerin değerlendirilmesi talebinde bulundu. Galatasaray ise kendisini göndermemekte direndi. Barış Alper de rest çekeren antrenmanlara ve sonrasında maçlara çıkmadı. Okan Buruk devreye girdi. İki tarafla da görüştü. Sonunda yapılan zamla Barış Alper Yılmaz takımda kaldı.

BARIŞ ALPER YILMAZ'A TAM DESTEK
Bu süreç doğal olarak taraftarlar arasında hoş karşılanmadı. Milli oyuncuya hem Okan Buruk, hem de futbolcular sahip çıkarak tepkilerin önünü kesti. Hatta Bodø/Glimt maçında oyundan çıkarken ıslıklandığından sonra soyunma odasında Okan Hoca dahil oyuncularının, Barış Alper Yılmaz'a büyük destek verdi.

TEK SORUNU GOL ATAMAMAK
Hem kendisine çok ilgi gösteren, arasının çok iyi olduğu teknik direktörü Okan Buruk, hem de takım arkadaşları, yaşananların geçici olduğunu, birkaç gol attıktan sonra herşeyin düzeleceğini söylüyor. Barış Alper de bunu biliyor. Gol atmak istiyor. Oynanan bir maçı kendi attığı gollerle kazanılması halinde taraftarın kendisine olan kırgınlığının tamamen geçeceğini düşünüyor. Ancak bir türlü gol atamıyor.

OKAN BURUK UYARIYOR
Barış Alper Yılmaz sözleşmesini güncellediğinden beri gol atabilmek için çırpınıyor. Hatta bir çok maçta arkadaşları çok daha iyi pozisyonda olmasına rağmen kendisi atmak istedi. Atamadı. Pozisyon harcandı. Bu da takımda huzursuzluk yarattı. Daha da kötüsü taraftarın tepkisi başladı. Bencillikle suçlandı. Teknik direktör Okan Buruk bunun önüne geçmeye çalışıyor. Oyuncusunun kafasının rahatlaması durumunda istediği golleri fazlasıyla atabileceğini biliyor. Ama takıntı yapması, stresi girmesinin paniğe neden olabileceğini, bu durumun uzamasına yarayacağı uyarısında bulunuyor.

Singo herkese sürpriz yapabilir! Okan Buruk'un Trabzonspor hayali
Galatasaray'da gözler Wilfried Singo'da...24 yaşındaki Fildişi Sahilli oyuncunun Trabzonspor derbisine yetişip yetişmeyeceğinde. Okan Buruk umutlu. Oyuncu da istekli.
Galatasaray'ın Beşiktaş'la oynanan maçında sakatlanan Wilfried Singo'un yeniden oynamaya başlaması için çalışmalar sürüyor. Program dahilinde çalışmalarını sürdüren Singo'nun Trabzonspor maçına yetişmesi planlanıyor. Oyuncunun bu hafta takımla çalışmalara başlaması bekleniyor.

Davinson Sanchez'in cezası nedeniyle forma giyemeyeceği Trabzonspor karşısında Okan Buruk, Wilfried Singo'nun oynaması umudunu koruyor. Galatasaraylı oyuncu da derbide oynayabilmek için hırs yaptı.

Wilfried Singo, bugün takım izinli olmasına rağmen Kemerburgaz'da bireysel çalışmasını yaptı. Gelen bilgilere göre de Singo'nun hafta içinde takımla çalışmalara katılmak için kendisini deneyeceği belirtildi. Trabzonspor maçında oynayabilmek için şartları zorlayacağı ve hocası Okan Buruk'tan forma isteyeceği tahmin ediliyor.

Eğer Sigo planı tutmazsa Buruk, Kaan Ayhan'ı sahaya sürmeyi planlıyor.
Başakşehir maçında da Sanchez’in yerine görev alan Kaan, neredeyse hatasız bir oyun ortaya koymuştu.
Torreira döndüğünde Lemina’nın stopere geçmesi de ihtimaller arasında.

Alperen Şengün coştukça coştu
Amerikan Basketbol Ligi'nde (NBA) milli oyuncu Alperen Şengün'ün 21 sayı attığı maçta Houston Rockets, Brooklyn Nets'i 137-109 yendi.
Nets karşısında ilk çeyrekte çift hane fark yakalayan Rockets, 30 dakika süre alan milli basketbolcu Alperen Şengün'ün 21 sayı, 6 ribaunt, 6 asistlik performans sergilediği maçta sezonun ilk galibiyetini elde etti.
Rockets'ta 22 sayı, 5 ribaunt, 5 asistle Tari Eason en skorer isim olurken, Kevin Durant 19 sayı, 6 ribaunt, Reed Sheppard 15 sayı, 8 asistle oynadı.
Terance Mann'ın 21 sayı attığı Nets'te Day'Ron Sharpe 17 sayı, 12 ribauntla "double double" yaptı.
Thunder, 4'te 4 yaptı
Son şampiyon Oklahoma City Thunder, deplasmanda Dallas Mavericks'i 101-94 yenerek sezona 4'te 4 ile başladı.
Thunder'da Shai Gilgeous-Alexander 23 sayı, 8 asistle en skorer isim olurken, Chet Holmgren 18 sayı, 11 ribaunt, Isaiah Hartenstein 16 sayı, 11 ribauntla "double double" yaptı.
Üçüncü yenilgisini yaşayan Mavericks'te Anthony Davis 26 sayı, 11 ribaunt, PJ Washington 15 sayı, 9 ribauntla oynadı.
Adem Bona 25 dakika parkede kaldı
Milli basketbolcu Adem Bona'nın forma giydiği Philadelphia 76ers, sahasında Orlando Magic'i 136-124 mağlup ederek 3'te 3 yaptı.
25 dakika süre alan Adem Bona'nın 7 sayı, 4 ribaunt, 3 blokla oynadığı 76ers'ta, Tyrese Maxey 43 sayı, 8 asist, VJ Edgecombe 26 sayı, 7 asist, Kelly Oubre 25 sayı, 10 ribauntluk katkıda bulundu.
Magic'te Paolo Banchero'nun 32 sayı, 7 ribaunt, 5 asistlik çabası mağlubiyeti önlemeye yetmedi. Desmond Bane 24 sayı, Franz Wagner 22 sayı attı.
Sonuçlar
Philadelphia 76ers-Orlando Magic: 136-124
Detroit Pistons-Cleveland Cavaliers: 95-116
Chicago Bulls-Atlanta Hawks: 128-123
Houston Rockets-Brooklyn Nets: 137-109
San Antonio Spurs-Toronto Raptors: 121-103
New Orleans Pelicans-Boston Celtics: 90-122
Dallas Mavericks-Oklahoma City Thunder: 94-101
Utah Jazz-Phoenix Suns: 138-134 (uzatmada)
Minnesota Timberwolves-Denver Nuggets: 114-127
Golden State Warriors-Memphis Grizzlies: 131-118
Los Angeles Lakers-Portland Trail Blazers: 108-122

Onana hayattaki tek korkusunu açıkladı
Trabzonspor'un deneyimli kalecisi Andre Onana, "Kramponlarımı ya da eldivenlerimi giydiğim her an kazanmak istiyorum. Çünkü günün sonunda bunun için oynuyoruz. Kazanmak için oynuyoruz ve kimseden korkmuyorum; sahaya çıktığımda ya kazanırım ya da öğrenirim. Kendimi, kaybeden biri olarak görmüyorum." dedi.
Onana, Trabzonspor Dergisi'ndeki röportajında, fakir bir aileden geldiğini belirterek, "Böyle bir ortamdan gelip bugüne kadar yaptıklarımla gurur duyuyorum. Geriye dönüp baktığımda kariyerim gerçekten harika. Bu süreçte çok inişler çıkışlar oldu ama bu aynı zamanda çok fazla öğrenme anı, çok fazla tecrübe demekti. Kamerun'dan çıkıp Barcelona'da, Ajax'ta, Inter'de, Manchester'da ve şimdi de Trabzonspor'da oynamak muhteşem. Oradan gelip bugünlere bakmak, son 10-11 yılda başardıklarımı görmek. Harika, gerçekten harika." ifadesini kullandı.
En büyük motivasyonunun ailesi olduğunu anlatan Onana, kendi ismiyle kurulan vakfında sosyal sorumluluk projelerine de önem verdiğini vurgulayarak, şöyle devam etti:

"Öncelikle vakfımda çalışan ve bana destek olan herkese teşekkür etmek istiyorum. Çünkü onlar olmadan bunları başaramazdık. Vakıf yaklaşık 6-7 yıl önce, daha Ajax'ta oynadığım dönemde kuruldu. Çünkü nereden geldiğimi çok iyi biliyorum, zor bir yerdi. Gençken çok mücadele ettik, yukarıya çıkmak bizim için çok zordu. Toplumu ve şartların ne kadar zor olduğunu biliyoruz. Kamerun'da büyürken, birbirimizi desteklemenin önemini öğrendim. İlk düşüncem daha çok Kamerun'daki görme engelli çocuklara yardım etmekti. Zamanla dezavantajlı topluluklardaki insanlara ücretsiz tıbbi bakım ve ameliyat sağlayan bir vakfa dönüştük. Bu benim için inanılmaz bir şey. Çünkü çok farklı çalışmalar yapıyoruz, görme engelli çocuklarla başladık ama şimdi geriye baktığınızda, sadece son 1-2 yılda binden çok operasyon gerçekleştirdik, bu muazzam. Sağlık hizmetlerinin yanı sıra, yetim çocukların eğitimleri ile ilgili de imkan sağlamaya çalışıyoruz. Yılın en başarılı vakfı ödülünü aldık."
"Kalecilik pozisyonu son 20 yılda değişti"
Topu oyuna sokmaktaki yüksek pas isabeti ile ön plana çıkan bir kaleci olması ve Pep Guardiola'nın, "Pozisyon alıp oyun kurmak için olağanüstü bir kaleci" şeklindeki yorumuna ilişkin de Kamerunlu kaleci, şu değerlendirmede bulundu:

"Kalecilik pozisyonu özellikle son 20 yılda değişti. Bana göre de öyle çünkü kalecilerin bugün nasıl hareket ettiğine baktığınızda, yıllar öncesine kıyasla çok farklı olduğunu görebilirsiniz. Ama oyun kurulumunda en önemli şey fırsat, yani elinizdeki opsiyonlar. Takım arkadaşlarınızın size neler sunduğu. Harika ayağınız olabilir, ama eğer pas seçenekleri kapalıysa, eğer öndeki oyuncular size kolaylık sağlamıyorsa, işiniz çok zor olur. Bence bu her şeyin karışımı. Çünkü eğer topla çok oynamak isteyen bir takıma sahipseniz, kaleci için oyun kurmak daha kolaydır. Tabii ki her zaman uzun top atabilirsiniz, ama bazen takımın buna ihtiyacı olmaz."
Onana, kendisi için önemli olanın takım için en iyisini yapmaya çalışmak olduğunu belirterek, "Benim için çoğu zaman önemli olan takım için en iyisini yapmaya çalışmaktır. Eğer oyun kurmam gerekiyorsa, önce analiz ederim. Rakip baskı yapıyor mu, kanat oyuncusuyla mı baskı yapıyor, santrforla mı baskı yapıyor, yoksa stoperleri mi öne çıkıyor? Bunlar, top ayağımdayken görmem gereken şeyler. Rakibin nasıl hareket ettiğini takip ederim ve seçeneklere bakıp kararımı veririm. Tabii, Pep Guardiola'dan böyle bir yorum duymak her zaman çok güzel. Futbol tarihinin en iyi teknik direktörlerinden biri. Ama her zaman söylediğim gibi, oyun kurulumunda çoğu zaman bana seçenekleri sunan, takım arkadaşlarım oluyor. Eğer bana yardımcı olurlarsa, yapılanlar çok daha iyi görünür." değerlendirmesinde bulundu.
"Kimseden asla korkmam"
Hem takımında hem de rakipleri arasında harika oyuncular bulunduğunu belirten Onana, "Gerçekten muhteşem oyuncular ama kimseden asla korkmam. Çünkü bu hayatta tek tanrıdan korkarım. Bu yüzden dürüst olmak gerekirse kimse beni korkutamaz." dedi.
Onana, Türk futbolu ile ilgili de şunları kaydetti:
"Buradaki kalite, gerçekten yüksek, beklediğimden de iyi. Tabii ki maç temposu farklı ama çok iyi takımlar, çok iyi oyuncular var. Türk kulüpleri Avrupa'da maç kazanıyor, seviye gerçekten orada. Buradaki hakemlerden bahsetmek gerekirse, onlar hakkında konuşmayı pek sevmem çünkü hayatımın çoğunda kontrol edebileceğim şeylere odaklanırım. Ama dürüst olmak gerekirse, buradaki ilk sürecim için hakemlerden yana çok iyi bir tecrübem olmadı. Hepsinin kötü olduğunu söylemiyorum çünkü çok iyileri de var. Bakalım gelecekte nasıl olacak? Ama şunu unutmamalıyız, hakemlik çok zor bir iş. İnsanlar robot değiller, karar vermek zorundalar, bazen doğru bazen de yanlış olabilir."
Birkaç yıl önce Paris'te Ballon d'Or töreninde bulunduğunu anlatan Onana, "Sohbette Alisson şöyle güzel bir yorum yaptı, 'Andre, harika bir sezon geçirdin. Ama bakalım kim kazanacak?' Ben de onlara şunu söyledim, 'Dinleyin arkadaşlar. Ben zaten kazandım. Sonuç ne olursa olsun fark etmez. Buraya bu ödülü almak için gelmedim. Çünkü burada, ilk siyahi kaleci ve ilk Afrikalı kaleci olarak durmak bile benim için bir zafer. Zihnimde şampiyonum. Çünkü geldiğim yerden bakınca, sizinle burada durmak bile bir zafer. Benim bakış açım, asla pes etmemek. Eğer şimdi futbolu bırakmak zorunda kalsam bile her yerde oynadım, her şeyi yaptım. Olumsuzlukta asla pes etmem çünkü hayat geçici."
Onana, "Maça çıkmadan önce iyi geldiğini düşünerek yaptığın bir şey var mı?" sorusuna şu yanıtı verdi:
"Tanrıya inanıyorum, istavroz getiririm her zaman. Ama zaten motivasyonum otomatiktir. Kramponlarımı ya da eldivenlerimi giydiğim her an kazanmak istiyorum. Çünkü günün sonunda bunun için oynuyoruz. Kazanmak için oynuyoruz ve kimseden korkmuyorum, sahaya çıktığımda ya kazanırım ya da öğrenirim. Kendimi kaybeden biri olarak görmüyorum. Kazanamazsam bunu öğrenmek için bir fırsat olarak kabul ediyorum. Bir örnek vereyim, buradaki ilk maçım Fenerbahçe'ye karşı. İyi oynadık ama kazanamadık. Ama bunu kayıp olarak görmüyorum. Yine öğrendim mesela, buradaki hakemlerin nasıl olduğunu öğrendim."

Bir Fenerbahçe Başkanı uzun süre sonra ilk kez alkışlandı
Fenerbahçe Başkanı Sadettin Saran'ın dün akşam tribünler tarafından alkışlanması ve tezahüratlarla desteklenmesi camiada memnunlukla karşılandı.
Fenerbahçe dün akşam Gaziantep karşısında farklı galip gelerek taraftarlarını memnun etti. Youssef En-Nesyri ve Talisca attıkları ikişer golle takımlarını liderlik yarışında tuttu.

Karşılaşmada sarı-lacivertliler açısından başka güzellikler de yaşandı. Uzun süre sonra bir Fenerbahçe başkanı alkışlandı.

Maçın son anlarında deplasman tribünündeki sarı-lacivertli taraftarlar Fenerbahçe Başkanı Sadettin Saran'a tezahürat yaptılar.
Başkan da protokol tribündeki yerinden kalkarak tribünleri selamladı.
Son 2-3 sezondur Fenerbahçe tribünleri sürekli olarak "istifa çağrıları" yapıyordu.

Samsunspor'u ligde Holse, Avrupa'da Musaba taşıyor

Galatasaray Çağdaş Faktoring, Schio deplasmanında

Göztepe'de savunma alarmı

Fenerbahçe Opet, DVTK Huntherm'i ağırlıyor

Bahisten ilk cezalar Nazillispor ve Ankaraspor'a çıkmıştı

Süper Lig'de ayrılık: Hüseyin Eroğlu

Manisa Basket'te Scrubb gitti

Beşiktaş GAİN, Eurocup'ta lider Cosea'yı ağırlıyor









:max_bytes(150000):strip_icc():format(jpeg)/tal-wrinkle-free-blouses-ill-be-pairing-with-my-jeans-all-falltal-tout-4400cdb6f6fc4b99b9ba4d7b30a07ee3.jpg)





































(@realmadriden) 
Garnacho on why he joined Chelsea: “When I spoke with the club and Maresca, it’s important also the style of play we have. He explained a lot to me in a video call with him”.
𝗪𝗔𝗧𝗖𝗛 𝗟𝗜𝗩𝗘! Vincent Kompany and Christoph Freund's press conference ahead of our DFB Pokal match against 1. FC Köln.











